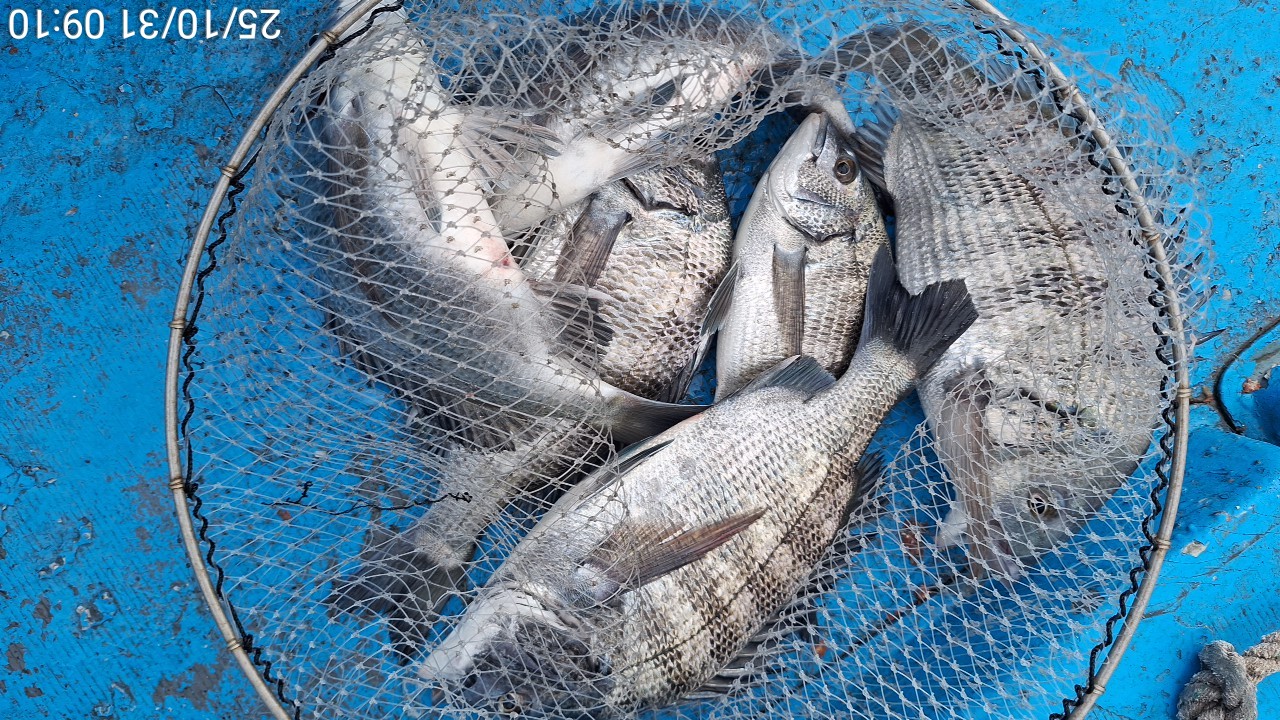
(실시간)어초여밭 감성돔 사냥~4짜 외 마릿수 HIT~가고파호(31일 예약)

신상품 소개


회원 랭킹


공지사항


NaverBand
점주/선장 > 가장 빠른!!  실시간 조황

(실시간)어초여밭 감성돔 사냥~4짜 외 마릿수 HIT~가고파호(31일 예약)

거제가고파 0 57 2025.10.31 09:37
홈페이지 밴드 바로가기
거제도 학산마을 출발, 감성돔 전문 출조점 가고파호입니다.
어초여밭권 씨알급 감성돔들이 진입한 듯 꾸준히 들어간 밑밥에
반응을 보입니다 굵직한 4짜부터 3짜들까지 다양한 씨알로 마릿수
손맛 즐기고 있고 멀리까지 흘러간 찌가 쪽~ 사라지고 시작되는
화끈한 손맛 함께하실 분들 연락주십시오 주말 쭉~ 예약 가능합니다.

11월 1일(토요일)부터 거제 출발 감성돔 흘림낚시 예약 가능합니다.
본격적인 마릿수 시즌 시작되는 것 같습니다.

▣ 가고파호 가을 시즌 감성돔낚시 일정 안내 ▣
☆11월 1일(토요일) 거제 감성돔 종일 흘림낚시 "예약가능"
☆11월 2일(일요일) 거제 감성돔 종일 흘림낚시 "예약가능"
☆11월 3일(월요일) 거제 감성돔 종일 흘림낚시 "예약가능"
- 주중, 주말 예약 가능합니다.

▩ 가고파호(선상) ☎ 010 8553 7868
▩ 가고파호 밴드 http://band.us/@gagopaho
▩ 주소 :거제시 둔덕면 학산3길 81 (舊주소:둔덕면 학산리 109번지)
0

좋은 글이라고 생각되시면 "추천(좋아요)"을 눌러주세요!


, , , , , , , , , , , , , , , , ,

  • 페이스북으로 보내기
  • 트위터로 보내기
  • 구글플러스로 보내기
  • 카카오스토리로 보내기
  • 네이버밴드로 보내기
  • 네이버로 보내기
  • 텀블러로 보내기
  • 핀터레스트로 보내기
0 댓글
 
b_hot_innakmall_200x80_240307.jpg b_hot_nios_200x80.gif b_hot_ggsusan_hongeu_160x100.gif b_hot_innakmall_200x80_211203.gif
포토 제목
 

인낚 최신글


인낚 최신댓글


온라인 문의 안내


월~금 : 9:00 ~ 18:00
토/일/공휴일 휴무
점심시간 : 12:00 ~ 13:00