![]() |
![]() |
![]() |
![]() |
목포 신안 낚시 운영자 김평호입니다.
네비 주소 : 목포시 대양동 270번지
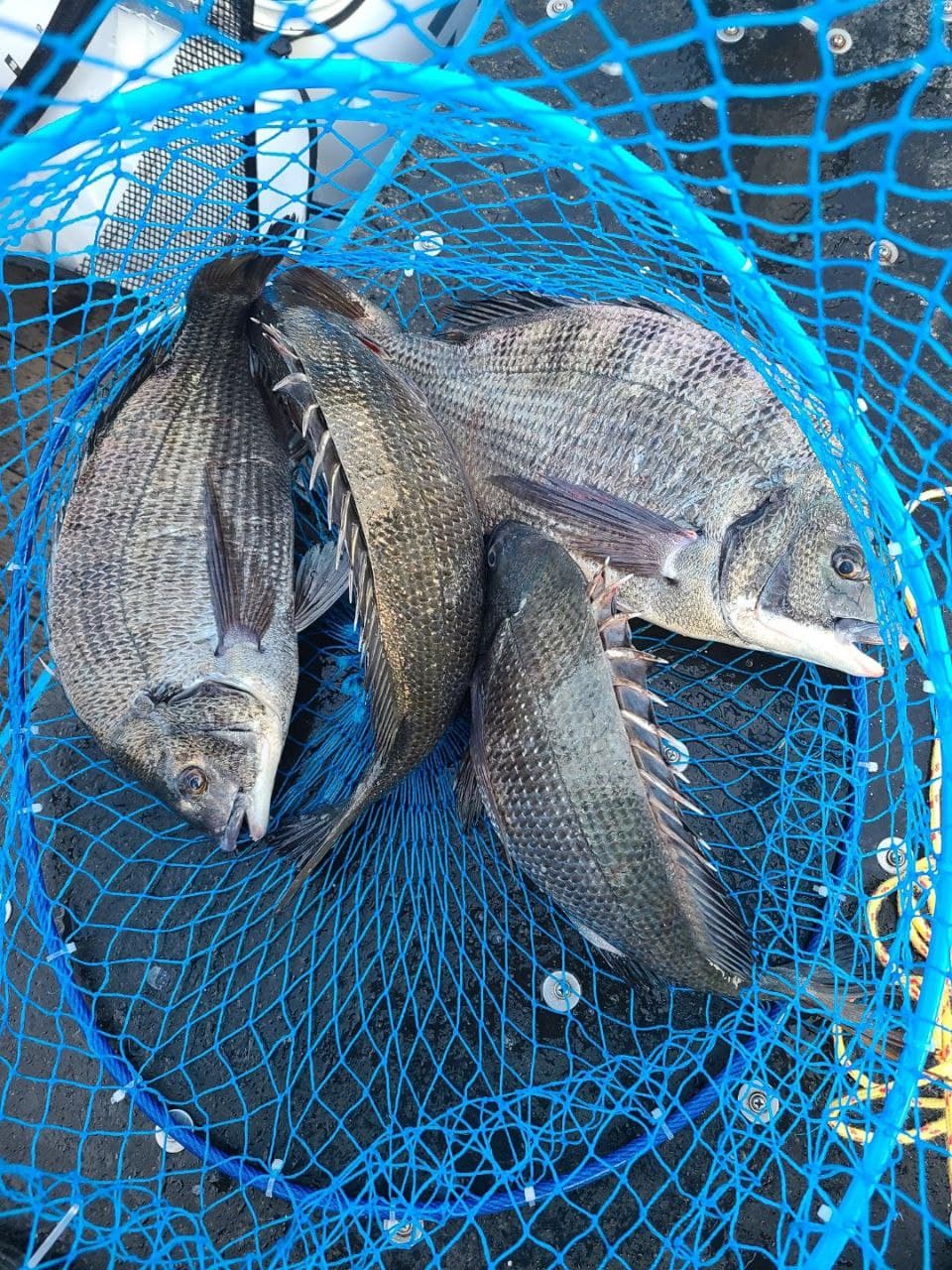
11월 13일 상태도 송철희민박으로 출조하신 바우회 정출팀에서 대부분
겨울 감성돔 소식을 전해주었습니다.
전반적으로 많은 마릿수 보다는 낱마리 조황을 보여주었으며... 점차적으로
더욱 많이 배출될것으로 예상들 했습니다.
주중,주말 기점으로 기상만 좋으면 더욱 많은 감성돔이 배출될것으로 전망합니다.
%% 낚시 전용선으로 겨울 감성돔 태도 시즌으로 들어가면서 기상만 허락하면
매일 출항할려고 노력합니다. 사전 예약 주시면 감사하겠습니다. %%
## 목포신안낚시 신안 원도권 출항 안내!! ##
1. 상 태 도,하 태 도 출항 일정!!
* 16일(화) ~ 17일(수) 1박 2일 출항!!
* 16일(화) ~ 18일(목) 2박 3일 출항!!
* 18일(목) ~ 20일(토) 2박 3일 출항!!
* 19일(금) ~ 21일(일) 2박 3일 출항!!
* 20일(토) ~ 21일(일) 1박 2일 출항!!
2. 가거도,만재도 출항 일정!!
* 16일(화) ~ 18일(목) 2박 3일 출항!!
* 18일(목) ~ 20일(토) 2박 3일 출항!!
* 19일(금) ~ 21일(일) 2박 3일 출항!!
* 20일(토) ~ 21일(일) 1박 2일 출항!!
3. 진도 "맹 골 도" 매일 출항!!.
* 16,17,18,19,20,21일 진도 서망항 새벽 3시 전후 매일 출항!!
* 기상만 허락하면 매일 출항합니다.진도 서망항!!
4. 진도 "관매도" 갯바위,"복사초" 출항 계획!!
* 저희 전용선 "파이넥스호"로 모십니다.
* 18,19,20,21일 출항가능합니다.
## 목포 신안 낚시 전용 밴드 안내!! ##
"가거도,추자도,만재도,태도,복사초,완도권"
서남권 모든 조황 정보와 다양한 출조 안내 소식
알 수 있습니다.
밴드에 방문해주시면 감사하겠습니다.
https://band.us/n/ada1z3E6rcBdt
서남권 출조 문의!!
목포 신 안 낚 시 김평호 : 010 4606 7041
신안 낚시 가이드 김남석 : 010 5066 2982
|
|
|
|










