월요일 마릿수 조황

회원 랭킹


NaverBand
점주/선장 > 갯바위 조황
b_hot_activegloat_200x80.gif b_hot_nios_200x80.gif b_hot_ggsusan_hongeu_200x80.gif b_hot_innakmall_200x80_211203.gif

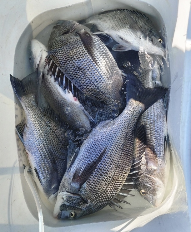
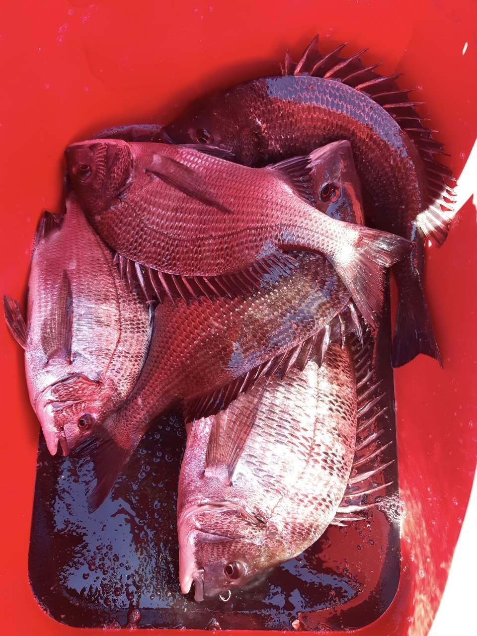
월요일 마릿수 조황

나로도이스크라호 0 561
● 출항지 : 고흥,녹동

월요일 11분 모시고 출조 디녀왔습니다.

5짜 대물은 없었으나 마릿수 손맛을 보았습니다.

목요일 새벽 출조합니다.


010 3671 7737

0 댓글
제목
 
 

인낚 최신글


인낚 최신댓글


온라인 문의 안내


월~금 : 9:00 ~ 18:00
토/일/공휴일 휴무
점심시간 : 12:00 ~ 13:00