
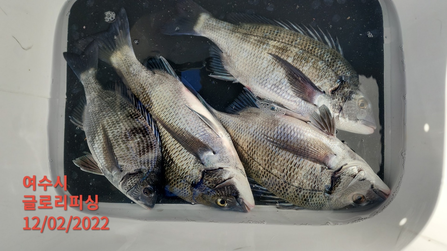
주위보 뒤를 노려라~! 대박이 터져줬습니다.
52, 51, 50, 49, 48... 낱마리도 아니고 떼고기까지~! 오늘 기록고기 잡으신 분도 계시네요~!! 내일 더 좋아보이기까지 합니다!
힘차게 달려봅니다!











1. 출조시간
1-1. 출항시간
12월 2일 (금) : 안도,연도 새벽 5시 30분 ~ 오후 2시 30분
12월 3일 (토) : 1항차 : 새벽 2시 ~ 낮 12시 (연도직항)
2항차 : 새벽 4시 ~ 오후 2시 (안도, 연도)
3항차 : 새벽 6시 ~ 오후 4시 (종일낚시)
12월 4일 (일) : 새벽 6 시 ~ 오후 3 시
12월 5일 (월) : 새벽 6 시 ~ 오후 3 시
12월 6일 (화) : 새벽 6 시 ~ 오후 3 시
12월 7일 (수) : 새벽 6 시 ~ 오후 3 시
12월 8일 (목) : 새벽 6 시 ~ 오후 3 시
12월 9일 (금) : 새벽 6 시 ~ 오후 3 시
1-2. 출조지역, 기상에 따라 출, 입항 시간이 변동됩니다.
밴드에 가입하시면 실시간 확인 가능 합니다.
1-3. 글로리피싱 밴드 안내
2. 안내사항
2-1. 신분증은 꼭 지참하시기 바랍니다.
2-2. 구명복, 갯바위화는 반드시 착용해 주시기 바랍니다.