8일 토요일 '덕우도,황제도' 조황 ^^

신상품 소개


회원 랭킹


공지사항


NaverBand
점주/선장 > 갯바위 조황
b_hot_activegloat_200x80.gif b_hot_innakmall_200x80_220704.jpg b_hot_ggsusan_hongeu_200x80.gif b_hot_innakmall_200x80_211203.gif

8일 토요일 '덕우도,황제도' 조황 ^^

레져아일랜드 0 370
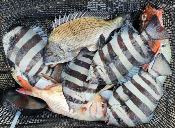
● 출항지 : 완도

e9f64292eef26709410d6522ae8c353c_1665302737_355.png



e9f64292eef26709410d6522ae8c353c_1665302739_7566.png



e9f64292eef26709410d6522ae8c353c_1665302742_1529.jpg



e9f64292eef26709410d6522ae8c353c_1665302761_0169.jpeg



e9f64292eef26709410d6522ae8c353c_1665302766_0483.jpg



e9f64292eef26709410d6522ae8c353c_1665302771_3955.jpg



e9f64292eef26709410d6522ae8c353c_1665302774_9494.jpg



e9f64292eef26709410d6522ae8c353c_1665302777_8244.jpg



e9f64292eef26709410d6522ae8c353c_1665302780_5775.jpg



e9f64292eef26709410d6522ae8c353c_1665302783_2537.jpg



e9f64292eef26709410d6522ae8c353c_1665302788_6143.png



.좋지 않은 예보로 의지 포인트 위주로 하선 하다 보니 아쉬운 포인트도 많았으나


 출조객 대비해서 양호한 조황으로 즐낚하고 철수 하였습니다.


*수요일 좋은 기상속에 '덕우도,황제도권' 돌돔,참돔,감성돔을 대상으로 출조 합니다.


*바쁜 일정으로 조황 자주 게재 못하더라도 양해 바라며,밴드(레져아일랜드)에 들어 오시면 실시간 조황 확인 하실수 있습니다.

0 댓글
포토 제목
 
 

인낚 최신글


인낚 최신댓글


온라인 문의 안내


월~금 : 9:00 ~ 18:00
토/일/공휴일 휴무
점심시간 : 12:00 ~ 13:00