![]() |
|
![]() |
![]() |




















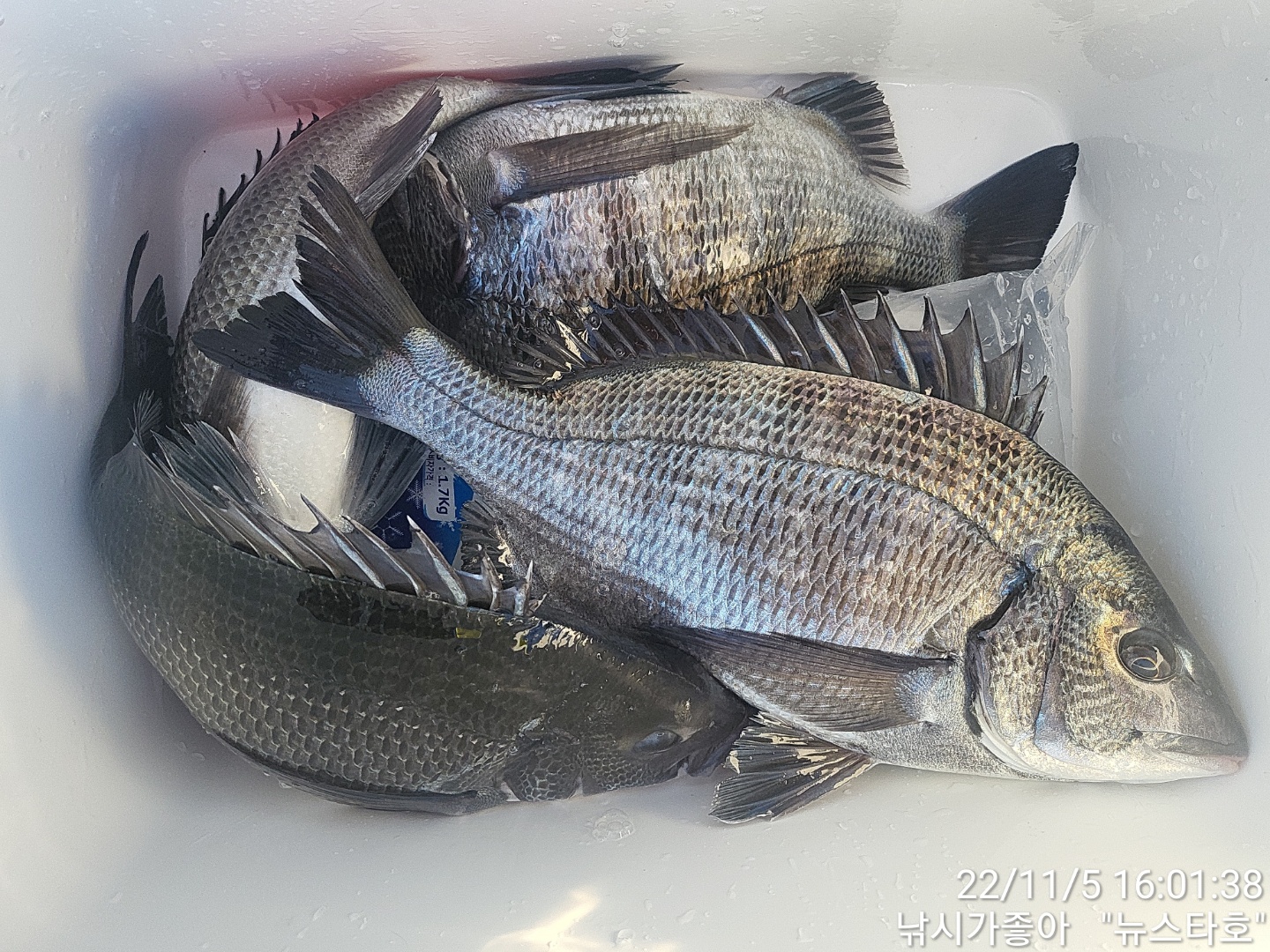
안녕 하십니까 남해 미조에 낚시가좋아(뉴스타호)인사 드립니다 금일 조황 올려 드립니다 오늘도 갯바위에서 감성돔이 엄청 쏟아져 나오네요 여기저기 할것없이 많은 포인트에서 마리수도 가세하여 많이 쏟아져 나왔습니다 사이즈도 갈수록 빵빵 해집니다 오늘 하루도 고생들 많으셨습니다 즐거운 저녁시간들 되시고 오늘 하루도 마무리 잘하시길 바랍니다 감사합니다
*출조시 밑밥및 소품은 준비하여 오셔도 무방하오며 혹여나 준비하시질 못하신 분들을 위하여 최상급 크릴을 준비해 놓도록 하겠습니다 감사합니다*
*출조및 문의사항*
상호:낚시가좋아(뉴스타호)
주소:경남 남해군 미조면 동부대로9
선장님:010-6434-0015
|
|
|
|





