글로리호 금오도 조황입니다

신상품 소개


회원 랭킹


공지사항


NaverBand
점주/선장 > 갯바위 조황
b_hot_activegloat_200x80.gif b_hot_innakmall_200x80_220704.jpg b_hot_ggsusan_hongeu_200x80.gif b_hot_innakmall_200x80_211203.gif

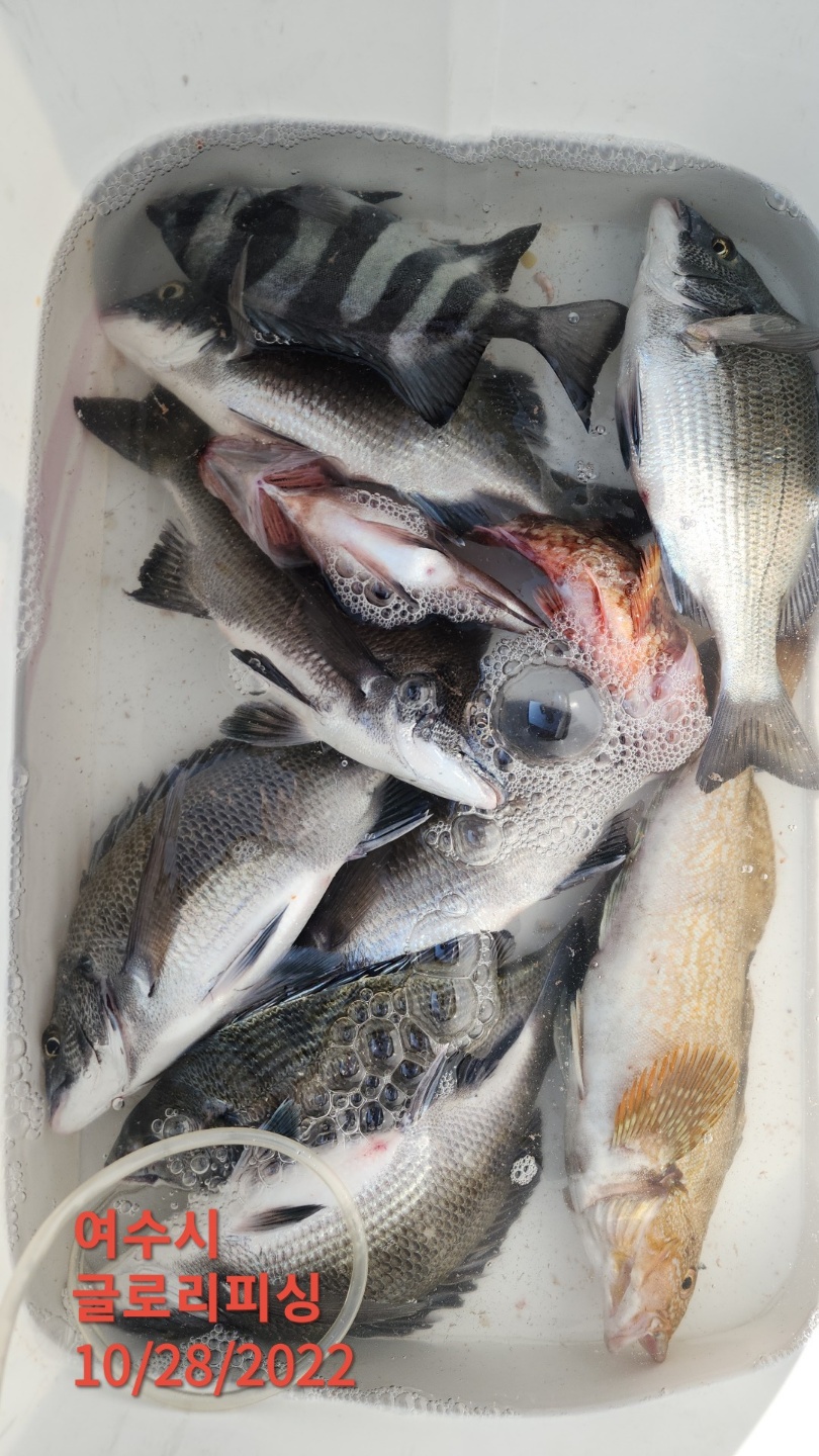
글로리호 금오도 조황입니다

글로리피싱 0 386
● 출항지 : 여수,광양

5c2b71aa95e700804a0809999ae91751_1666935965_9917.jpg


수온이 17~18도에 머물면서 감성돔은 꾸준히 얼굴을 비치지만 아직은 씨알이 조금 아쉽네요.

추운 계절이 올수록 더 굵어 지겠지요~주말도 힘차게 달립니다.





5c2b71aa95e700804a0809999ae91751_1666936274_5322.jpeg



5c2b71aa95e700804a0809999ae91751_1666936274_7926.jpeg



5c2b71aa95e700804a0809999ae91751_1666936275_1106.jpeg



5c2b71aa95e700804a0809999ae91751_1666936275_3774.jpeg


 

1. 출조시간    

  1-1. 출항시간

   10월29일 (토) : 금오열도 새벽 5시 ~ 오후 2시 
   10월30일 (일) : 금오열도 새벽 5시 ~ 오후 2시 
   10월31일 (월) : 금오열도 새벽 5시 ~ 오후 2시 
   11월01일 (화) : 금오열도 새벽 5시 ~ 오후 2시 

1-2. 출조지역, 기상에 따라 출, 입항 시간이 변동됩니다. 
       밴드에 가입하시면 실시간 확인 가능 합니다.


 1-3. 글로리피싱 밴드 안내  



2. 안내사항
  2-1. 신분증은 꼭 지참하시기 바랍니다.

  2-2. 구명복, 갯바위화는 반드시 착용해 주시기 바랍니다.

0 댓글
포토 제목
 
 

인낚 최신글


인낚 최신댓글


온라인 문의 안내


월~금 : 9:00 ~ 18:00
토/일/공휴일 휴무
점심시간 : 12:00 ~ 13:00