![]() |
|
![]() |
![]() |
1년연중 기상만 허락하면 매일 좌사리 출항을 하는통영탑피싱입니다.
동절기 대상어종: 대물참돔,감성돔,뽈락
하절기 대상어종: 돌돔,참돔,벵에돔,농어,부시리
탑은 좌사리를 기점으로 하여 여름좌사리,겨울내만부터~욕지권전역
★꼭 숙지하시길 바랍니다.★
1.신분증 필히 챙기세요. 미소지시 승선불가
2.구명복 필히 착용하세요. 미착용시 과태료 100만원
3.선내음주금지 적발시 벌금 100만원
**출항시간안내**
☞8월3일(수)00시,12시(야영)
☞8월4일(목)00시,12시(야영)
(출항시간은 변동될수 있으니,사전에 ☎)
반갑습니다. 살빠질 예정인 백곰 박철민입니다.
태풍의 영향으로 선박점검도 하면서 쉬고 있습니다.
조사님들 가정에 큰 비 피해 없으시길 바랍니다.
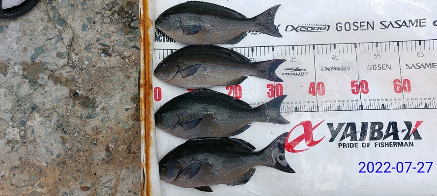
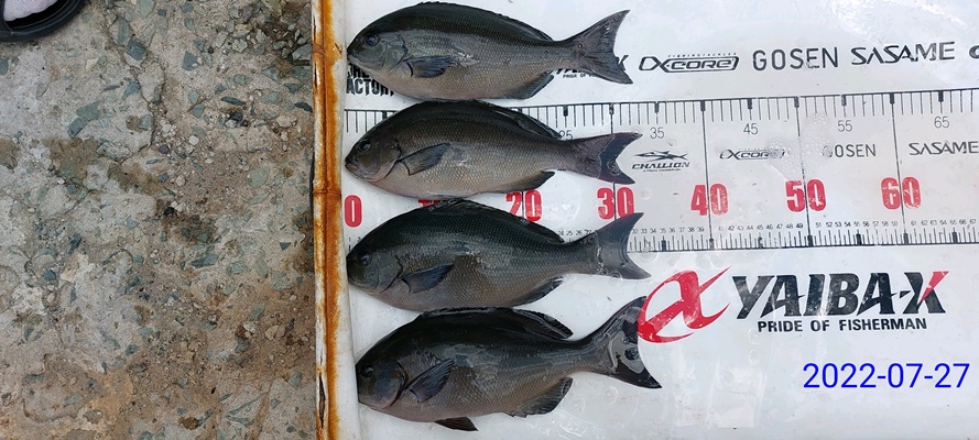
위 조황사진은 지난 금요일 조황입니다.
현재 좌사리에는 전 여름어종이 붙었습니다.
손맛,몸맛 보러 오셔도 되겠습니다.
채비는 튼튼히 하시고~
예약은 미리미리 부탁드리며
폭염에 무척 덥습니다.
얼음물,그늘막은 필수입니다.
많은 조사님들의 문의 전화 바랍니다.
항상 최선을 다하는 탑이 되겠습니다.
☞선비안내☜
▶욕지권:6만원
▶좌사리권:6만5천원
(야영비는 없습니다.)
큰놈들이 움직이기 시작하는지 터지신 분들이 늘어납니다.!!
채비와 목줄관리 잘 하셔야 겠습니다.!!
★잡어가 많으니 대체 미끼 다양하게 준비하시길~★
♣"나 하나쯤 괜찮겠지? 생각마시고"
개개인이 건강관리 신경써시고
마스크는 필히 착용하시기 바랍니다.
사무실과 배에 손세정제 비치되어 있습니다.♣
@조황이 안올라가더라도 주의보 아닌 이상 매일 출항합니다.@
◎위 출항시간 외에도 출조인원이 6명 이상일때는 원하는 시간에 출조.철수가 가능합니다.◎
**출조문의**
010-4544-1141(선장) 010-9311-5220(사모)
**통영탑피싱 위치 안내**
통영시 산양읍 연명길 36번지
다 방생하시고
솨라서는 7짜되는 참돔과 6짜참돔 잡아오셨네요.


벤찌도 작은넘은 방생하셨다 하셨습니다.
벵에채비에 부시리가 ㅠㅠ

긴꼬리들 
큰넘들은 다 터진답니다.
채비 튼튼히
반갑습니다.욕지권,안장덕,좌사리 출조전문점 통영탑피싱입니다. 갯바위 낚시배를 시작한지 벌써 20년이 다 되었네요. 처음 시작한 마음처럼 언제나 조사님들의 목소리 귀담아 들으면서 열심히 하겠습니다.
|
|
|
|









