
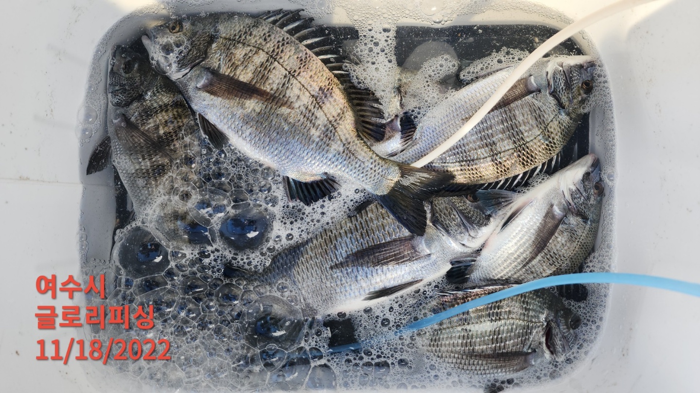
동풍이 잘 불어주는 덕에 금오도와 안도 서편으로 달려보았습니다.
오늘은 30% 밖에 안나오네요.내일은 연도까지 달려 보겠습니다.






1. 출조시간
1-1. 출항시간
11월19일 (토) : 안도,연도 새벽 5시 ~ 오후 2시
11월20일 (일) : 안도,연도 새벽 5시 ~ 오후 2시
11월21일 (월) : 안도,연도 새벽 5시 30분 ~ 오후 2시 30분
11월22일 (화) : 안도,연도 새벽 5시 30분 ~ 오후 2시 30분
11월23일 (수) : 안도,연도 새벽 5시 30분 ~ 오후 2시 30분
11월24일 (금) : 안도,연도 새벽 5시 30분 ~ 오후 2시 30분
11월25일 (토) : 안도,연도 새벽 5시 30분 ~ 오후 2시 30분
1-2. 출조지역, 기상에 따라 출, 입항 시간이 변동됩니다.
밴드에 가입하시면 실시간 확인 가능 합니다.
1-3. 글로리피싱 밴드 안내
2. 안내사항
2-1. 신분증은 꼭 지참하시기 바랍니다.
2-2. 구명복, 갯바위화는 반드시 착용해 주시기 바랍니다.