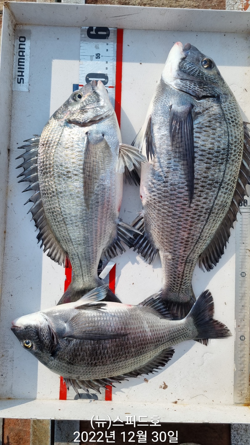
금오열도 꾸준한 감성돔 조황

신상품 소개


회원 랭킹


공지사항


NaverBand
점주/선장 > 갯바위 조황
b_hot_activegloat_200x80.gif b_hot_innakmall_200x80_220704.jpg b_hot_ggsusan_hongeu_200x80.gif b_hot_innakmall_200x80_211203.gif

금오열도 꾸준한 감성돔 조황

여수해변낚시 0 322
● 출항지 : 여수,광양

30일(금요일) 

꾸준한 금오열도 감성돔 조황입니다 

오늘도 금오열도권은 뜨거웠습니다 

오늘도 씨알좋은 감성돔으로 손맛을 볼수가 있었습니다 

아쉽게도 터지고 빠지는 포인트도 많았습니다 

내일은 터뜨리고 빠지는 조사님들이 없었으면 합니다 

오늘도 수고하셨습니다 

또한 다사다난했던 2022년이 저물어 가고 있습니다 

아무쪼록 새해에는 조사님들의 가정에 무탈과 만복이 

함께 하시길 기원합니다 

아울러 함께 하실 조사님들은 연락주시면 정성껏 모시겠습니다 

오늘도 수고하셨습니다 

감사합니다 

금오열도 패키지: 65,000원(선비,밑밥 미끼일체) 

출조예약 010 7587 1172

0 댓글
포토 제목
 
 

인낚 최신글


인낚 최신댓글


온라인 문의 안내


월~금 : 9:00 ~ 18:00
토/일/공휴일 휴무
점심시간 : 12:00 ~ 13:00