감성돔 우루루~~
인낚ㅣ인터넷바다낚시
어종별선상
어종별갯바위
낚시인조황
점주선장조황
출조정보
낚시광장
낚시지식인
낚시교실
중고장터
휴게실
인낚도서관
인낚몰
0
홈
어종별선상
어종별갯바위
낚시인조황
점주선장조황
출조정보
낚시광장
낚시지식인
낚시교실
중고장터
휴게실
인낚도서관
인낚몰
어종별선상
어종별갯바위
낚시인조황
점주선장조황
출조정보
낚시광장
낚시지식인
낚시교실
중고장터
휴게실
인낚도서관
인낚몰
어종별선상
어종별 선상조황
4대돔 조황
먹물 조황
갈치 조황
볼락&전갱이
빅게임 지깅&파핑
외줄&외수질
기타 어종
어종별 갯바위조황
4대돔 조황
먹물 조황
갈치 조황
볼락&전갱이
농어&삼치&방어&부시리
기타 어종
어종별갯바위
어종별 선상조황
4대돔 조황
먹물 조황
갈치 조황
볼락&전갱이
빅게임 지깅&파핑
외줄&외수질
기타 어종
어종별 갯바위조황
4대돔 조황
먹물 조황
갈치 조황
볼락&전갱이
농어&삼치&방어&부시리
기타 어종
낚시인조황
낚시인 번개조황
낚시인조행기
스탭조행기
우리낚시동호회이야기
전국낚시동호회소개
동호회갤러리
지난 조황자료보기(년도별 조황 자료)
점주선장조황
전국 실시간 조황
선상(배)+좌대 조황
갯바위+방파제 조황
점주선장전용 공지사항
지난 조황자료보기(년도별 조황 자료)
출조정보
낚시인동행출조
점주선장 갯바위 출조
점주선장 선상출조
기상파고정보(기상청)
해상예보
물때표
파고예보(일본)
실시간해양관측예보
스마트조석예보
낚시광장
낚시계뉴스
대회 및 낚시관련 홍보
제품평가단
신상품소개
낚시지식인
Q&A 묻고 답하기
지식인 베스트
조황/포인트 문의
낚시용품 사용기
낚시투표
토론방
新어류도감
낚시교실
낚시기법소개
어종별 낚시교실
입문자교실
중급자교실
낚시용어사전
중고장터
중고장터 이용후기
더치트 사기피해 검색
팝니다
삽니다
교환합시다
무료로 드립니다
부품팝니다
부품삽니다
일반 생활용품 사고 팔기
휴게실
출석부
낚시갤러리
세상사는 이야기(자유게시판)
낚시이야기 마당
먹고사는 이야기
구인구직
칭찬합니다
어째이런일이
습득물 찾기
인낚도서관
인낚 유튜브
인낚 칼럼
블루, 그것이 알고싶다
더블테일의 두 눈으로 보는 세상
입질의추억의 피싱다이어리
나無의 바다 이야기
전문강좌
海巖의 바다낚시 이야기
이성규의 전유동낚시 강좌
조성민의 금요루어클럽
인낚몰
홈소개
공지사항
자주 묻는 질문
운영진에게
광고/제휴문의
로그인
자동로그인
회원가입
|
정보찾기
신상품 소개
낚시고 미장구레 VIP 대본류 벵에돔 파우더
낚시고 위력 벵에돔 파우더
천류 카모 피싱백
천류 레자 피싱백
zzis 찌스 전자기울찌 호리존탈 전유동전용 출시!
ZZIS 찌스 다이브 에이 (Dive-A) 전자 캐스팅볼 숏타입 출시!
회원 랭킹
27
1
마루미르
15
2
가덕천성진양좌대
14
3
오또다
14
4
긴꼬리벵에돔55
13
5
포항대박이
12
6
울트
11
7
쌩기똥기
11
8
카데바
11
9
앵그리정
11
10
감시밥줄
10
11
백곰
9
12
새벽물때
9
13
여조사
9
14
김갈치
9
15
페드로
9
16
오사마리
9
17
아나구릉
9
18
짱규
8
19
타짜감시
8
20
시그니처latte
8
21
레이아빠
8
22
사하주민
8
23
무릅고배이
8
24
전생엔검사
8
25
6짜긴꼬리
8
26
진해숭어
8
27
부시리우스2022
8
28
띠조
7
29
배부르면졸림
7
30
PROKILLER
7
31
번영
7
32
4계절벵에
7
33
일벌백계
7
34
이무시라
7
35
락찌
7
36
추풍령졸음쉼터
7
37
옥자몽
7
38
망상어전문
7
39
김열정
7
40
감시야
6
41
검은바다
6
42
김해장유아디다스
6
43
감성사자
6
44
단영
6
45
잡어바글바글
6
46
낚시가좋아1100
6
47
모카사랑해
6
48
아직들물안됐나
6
49
도선사
6
50
낚시김
6
51
낑깔라
6
52
감시마을
6
53
시작하는채비와장비
6
54
신용대
6
55
거제그놈
6
56
큰아범
6
57
푸푸헐
6
58
간다이형
6
59
짱가아
6
60
최리무진
5
61
그래서그대는
5
62
리시안
5
63
잡아젖문가
5
64
사냥꾼끝판대장
5
65
거제꾼님
5
66
행주
5
67
emfjaj
5
68
용궁의추억
5
69
dudtnr
5
70
닉초이
5
71
헛탕만
5
72
노화도에산다
5
73
안녕감시야
5
74
복사초등대
5
75
흙운
5
76
남해동부물공
5
77
칼리또
5
78
플레져
5
79
경성피스톨
5
80
감생이냉장고
5
81
미니미래
5
82
메론좋아
5
83
Nike1972
5
84
구을비도
5
85
지누50
5
86
꽝의기운
5
87
윈드스토퍼
5
88
Vora
5
89
리치망고제주
5
90
나무사랑쫑
5
91
센바주루
5
92
요리하는아빠
5
93
헤리티지
4
94
비가되어
4
95
흑푸
4
96
아담스콕
4
97
기나긴기다림
4
98
아티스트rla
4
99
하쿠샘
4
100
계룡산어부
공지사항
09.01
★ 2025년 9월 5일 사이트 리뉴얼 오픈 안내
06.09
★ "Connect Error: No such file or directory" 에러가 발생시
05.29
★ 카이퍼넷 방화벽 차단시 설정방법
07.03
★ 사이트 정상운영 ★ 24.07.03
06.19
★ 사이트 정상운영 ★ 24.06.19
06.17
★ 사이트 정상운영 ★
06.14
★ 서비스 일시정지 - 서버이전작업 ★
07.14
★ 112차 제품평가단 위촉 명단 발표
07.07
★ 112차 제품평가단모집 - 1차
11.01
★ 111차 제품평가단 위촉 명단 발표
점주/선장 >
갯바위 조황
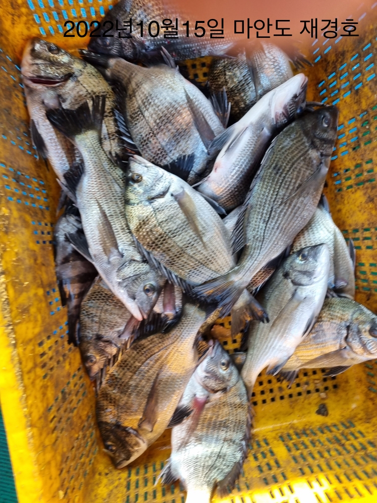
감성돔 우루루~~
남해재경호
0
932
2022.10.16 08:07
● 출항지 : 남해
● 출조인원 : 3~5명
감성돔이 줄줄이 나왔내요
0
남해낚시
,
남해감성돔
,
마안도
,
갯바위
신고
목록
글쓴이
0
0
Lv.1
남해재경호
점주선장
0 (0%)
반갑습니다~
12.26
마안도 재경호 입니다
12.24
마안도 재경호❤️
12.20
마안도 재경호❤️
12.11
미조 마안도 재경호
12.10
미조 마안도 감성돔~
0
댓글
로그인한 회원만 댓글 등록이 가능합니다.
×
Image Upload
로그인한 회원만 등록가능합니다.
포토
제목
이름
날짜
★ 22년 조황게시판 종료 / 2023년 게시판에서 작성 부탁드…
인터넷바다낚시
2023.02.02
[공지] ★ 22년 조황게시판 종료 / 2023년 게시판에서 작성 부탁드…
출항지 : 공지 / 출조지 :
인터넷바다낚시
7434
2023.02.02
인터넷바다낚시
2023.02.02
[제주] ## NO.1피싱호, 퍼스트호 31일 추자도 조황입니다 ##
출항지 : 제주 / 출조지 :
추자퍼스트호
994
2022.12.31
추자퍼스트호
2022.12.31
[제주] ## NO.1피싱호, 퍼스트호 추자도 조황입니다 ##
출항지 : 제주 / 출조지 :
No1피싱호
476
2022.12.31
No1피싱호
2022.12.31
[거제] 다대 조황입니다
출항지 : 거제 / 출조지 :
거제대도낚시
2069
2022.12.31
거제대도낚시
2022.12.31
[거제] "감성돔~53,49.5,48,45,41 외 참돔마리수 조황"
출항지 : 거제 / 출조지 :
거제명성호
2302
2022.12.31
거제명성호
2022.12.31
[남해] 감사하고!!! 고맙습니다!!!
출항지 : 남해 / 출조지 :
조은데이호
1126
2022.12.31
조은데이호
2022.12.31
[여수,광양] 성빈호. 2022년 마지막날 출조 다녀왔습니다.
출항지 : 여수,광양 / 출조지 :
여수성빈호
701
2022.12.31
여수성빈호
2022.12.31
[부산] 가덕대항낚시[감성돔/학꽁치]조황입니다.
출항지 : 부산 / 출조지 :
가덕도대항낚시선장
1421
2022.12.31
가덕도대항낚시선장
2022.12.31
[부산] 가덕자유인낚시 감성돔조황입니다.
출항지 : 부산 / 출조지 :
가덕도자유인낚시
1354
2022.12.31
가덕도자유인낚시
2022.12.31
[고성] 욕지군도 대물감성돔들~섬낚시 31일 조황 (1일 예약)
출항지 : 고성 / 출조지 :
고성섬낚시
1091
2022.12.31
고성섬낚시
2022.12.31
[남해] 미조권 대물 감성돔 잔치로~~한해를 마무리 합니다^^
출항지 : 남해 / 출조지 :
미조낚시천국
1288
2022.12.31
미조낚시천국
2022.12.31
[부산] 가덕도월척낚시 감성돔 조황입니다
출항지 : 부산 / 출조지 :
가덕도월척낚시
928
2022.12.31
가덕도월척낚시
2022.12.31
[부산] 가덕새바지낚시 새해복많이받으세요 ~
출항지 : 부산 / 출조지 :
가덕새바지낚시
1155
2022.12.31
가덕새바지낚시
2022.12.31
[남해] 아구~ 아구~ 아구야~~~
출항지 : 남해 / 출조지 :
낚시가좋아two
1116
2022.12.31
낚시가좋아two
2022.12.31
[부산] 2022 년 정말로 고생 많으셨습니다 낫개 은성호 조황
출항지 : 부산 / 출조지 :
낫개은성Fishin…
780
2022.12.31
낫개은성Fishin…
2022.12.31
[통영] 폴라리스)2022년 마지막 갯바위 감성돔 출조조황입니다
출항지 : 통영 / 출조지 :
폴라리스피싱
812
2022.12.31
폴라리스피싱
2022.12.31
[부산] 가덕한바다낚시조황
출항지 : 부산 / 출조지 :
한바다낚시
744
2022.12.31
한바다낚시
2022.12.31
[남해] 미조 감성돔 53 대물 떳다~~~
출항지 : 남해 / 출조지 :
풍성호
855
2022.12.31
풍성호
2022.12.31
[거제] 거제여차 우진호 조황입니다
출항지 : 거제 / 출조지 :
거제우진호
1730
2022.12.31
거제우진호
2022.12.31
[남해] 미조 노구 마안도 갯바위 조황입니다. 12/31
출항지 : 남해 / 출조지 :
남해금성호
899
2022.12.31
남해금성호
2022.12.31
[거제] 12/31 뉴갈매기호 감성돔 조황입니다.
출항지 : 거제 / 출조지 :
장승포낚시갈매기호
905
2022.12.31
장승포낚시갈매기호
2022.12.31
[거제] 12월 31일 장승포 대성낚시 갯바위 조황(밴드 이벤트 진행중)
출항지 : 거제 / 출조지 :
대성낚시
929
2022.12.31
대성낚시
2022.12.31
[거제] 양지암 갯바위 감성돔 학공치 소식입니다
출항지 : 거제 / 출조지 :
능포나이스낚시
1083
2022.12.31
능포나이스낚시
2022.12.31
[고흥,녹동] 22년(토)마지막 조황!
출항지 : 고흥,녹동 / 출조지 :
고흥명성피싱호
558
2022.12.31
고흥명성피싱호
2022.12.31
[통영] [[척포은성호]]학꽁치 쿨러조황~ 씨알도 굿~~
출항지 : 통영 / 출조지 :
척포은성호
830
2022.12.31
척포은성호
2022.12.31
[남해] 마지막 날 5자
출항지 : 남해 / 출조지 :
남해빅마마호
609
2022.12.31
남해빅마마호
2022.12.31
[부산] 해동낚시// 뉴 해동호 태종대갯바위 5짜감시 이벤트굳
출항지 : 부산 / 출조지 :
뉴해동호해동낚시
527
2022.12.31
뉴해동호해동낚시
2022.12.31
[부산] 가덕 일호낚시 감성돔/학꽁치 조황
출항지 : 부산 / 출조지 :
가덕도일호낚시
761
2022.12.31
가덕도일호낚시
2022.12.31
[거제] 대포권 5짜 조황
출항지 : 거제 / 출조지 :
거제방주호
1281
2022.12.31
거제방주호
2022.12.31
[사천] (유성호) 2022년 마지막날도 5짜로 마무리~(내일3시첫출조)
출항지 : 사천 / 출조지 :
피싱유성호
1401
2022.12.31
피싱유성호
2022.12.31
초기화
날짜순
조회순
검색
1
2
3
4
5
6
7
8
9
10
Search
검색대상
제목
내용
제목+내용
회원아이디
회원아이디(댓글)
글쓴이
글쓴이(댓글)
또는
그리고
검색어
필수
검색
닫기
검색조건
제목
내용
제목+내용
회원아이디
회원아이디(코)
글쓴이
글쓴이(코)
검색어
또는
그리고
검색
인낚 최신글
17:23
(유성호) 13일 내만감성돔 마릿수좋아용~~
17:22
가덕일호낚시 51감성돔/학꽁치 조황
17:19
내일 쭈꾸미 출조확정 선비 5만원에 모십니다 자리여유 많습니다
17:19
[뉴한사리호] 여수에서 왕열기&다잡아~~
17:18
12/13 군산 엄지척 우럭 열기 출조
17:17
척포동성피싱 감성돔 53짜.4짜 조황입니다.~~
17:16
13일 평일6만원 2.3K부터 초초괴물 2.2K, 1.7K, 1.5K, 1.3K, 1.1K..대왕위주출조......
17:14
금일(토)사량도 여밭 감성돔 마릿수조황(30수이상)
17:11
진해꾼낚시 왕오징어 출조합니다
17:10
거제 ( 어구 일성호 ) 감성돔 참돔 쥐치마릿수 ! 전마선 조황 ~
17:08
12/13 돌문어대박~마릿수많이잡고~ 내일3자리가능~~ 월요일부터 쭉 예약가능
17:07
감성돔 어초 흘림낚시 가즈아 신조선 경품 이벤트 내일자리여유
17:06
알쭈꾸미 오늘도 굿 ~월요일 모십니다
17:01
12월13일 주꾸미 조황입니다~ 평일 물때 좋습니다.출조 모집
16:59
어초,여밭,자연초 감성돔 흘림....마릿수....굿
16:59
삼치 쿵쾅 실시간! 뉴대양호오후타임
16:59
감성돔 타작조황~
16:55
(문어)걸면 대물~원도권 1.9K1.6K 외 마릿수~강민호(17일 예약)
16:55
13일 녹동알쭈꾸미 싸이즈가 좋네요 ~
16:55
13일 녹동알쭈꾸미 싸이즈가 좋네요 ~
16:55
어초흘림~ 4짜외 마릿수 퍽퍽!!내일예약가능
16:55
감성돔(카고)ㅡ우당탕탕! 51,48.47.47..46.46.45.44 마릿수로 손맛 굿굿(예약가능)
16:51
(선외기)감성돔 4짜 중반 외 최근 대물 마릿수 조황~(14일 예약)
16:51
[[척포은성호]]덩치 감성돔 쫙~깔아 봅니다~~~
16:50
왕오징어+텐빈갈치~병행출조~월요일부터 예약가능합니다
16:49
어초흘림 46외 마리수 조황 입니다.평일 예약 가능
16:49
삼천포 감성돔
16:47
19텐타클 1.25-530팝니다
16:47
공현진아라호 대구타이라바
16:45
토요일 금오열도 감성돔조황
16:45
토요일 주꾸미 입니다
16:44
미조권 갯바위 감성돔 조황 ~~쫌 올라옵니다~~
16:44
12/13바람파도에도 키로오바키로급!!마릿수굿굿^^일2월8예약됩니다~
16:43
(감성돔)대물 진입~다 터지고 4짜전후 마릿수 타작~야호(14일 예약)
16:42
씨알좋은 왕열기 쿨러조황 입니다
16:42
낚시대 양수기
16:41
13일 녹동충만호. 쭈꾸미조황
16:37
원전항)9톤 쭈꾸미 내일 14일 출항확정-손맛보고 왔어요
16:36
직벽호]고기가 왜이리 안되는지 낼휴항~
16:32
G-5. 1호50 보증서 구해요
16:29
왕쭈꾸미 씨알굿~조항 시즌 빅3 EVENT START! ~15일 월욜(출조확정)7자리 예약가능 합니다
16:29
(감성돔)해금강 물골 포인트 4짜 외 중치급들~신성호(14일 예약)
16:28
13일 여수 연도 안도 금오도 조황입니다
16:28
13일 여수 연도 안도 금오도 조황입니다
16:28
감성돔흘림대물52cm포함4짜3짜대박조황(월화수목쭉예약가능)
16:27
[지깅]좋은날씨,물때,월요일,출항확정(월요일부터,예약가능)
16:27
척포[제일호] 대물 51,51,48외~덩치 감성돔으로~~~
16:27
척포)최선장~초대물 56cm외 4짜,4짜,4짜,4짜,4짜,4짜,,,,,,~~
16:26
NS 알바트로스 VIP PRO 1-530
16:25
감성돔 어초 흘림 !! 4짜4짜 4짜 등등 잡고들어왔네요
인낚 최신댓글
16:51
제주 가고싶네요시간이 맟으며는
16:40
니신 계승이라면 동조자컨셉일테고 영등감시,긴꼴,선상에서 두루두루 쓰시면될듯합니다.
16:38
5m 짜리 찾으신다면 21이소스페셜 추천드립니다 디자인,길이만 틀리고 파블이랑 다를게없습니다
16:06
월요일부터 예약 가능합니다
15:02
일요일 예약완료 월요일부터 쭈욱 예약가능 합니다 감사합니다
14:28
감사합니다
13:54
답변해주셔서 감사합니다 !!! 135r이 실측 바닥부터 긴곳까지 140cm인데 5cm 밖에 차이가 안나다니.…
13:52
딱 145네요
12:37
감사합니다. 연질인 인해대 쓰다 경질 바로 쓰긴 힘들것같아서 중질대 베이시스 쓰보니 역시 연질이 맞는것 같긴…
12:27
혹시 사용해 보셨을까요? ㅎㅎ
10:35
내일 널널하게 원줄 흘리러 가실 분 연락주세요^_^
10:16
월요일부터 예약 가능합니다
10:11
월요일부터 예약 가능합니다
10:05
내일 널널하게 원줄 흘리러 가실 분 연락주세요^_^
09:55
중량감 좀 느낄낀데예 괜찮으실지.... 앞쏠림은 그닥 일듯한데...
09:32
여러 용도로 활용 되기도 하지만, 말 그대로 멜빵 도보 시 등 뒤로 멜 수 있도록 한 멜빵용입니다. 현실에서…
03:16
도래만 묶을줄알면 바늘도 묶을수있으니 편하긴 하겠네요. 링바늘 써본적은 루어할때말곤 딱히 쓸일이 없어 감성돔…
03:05
저도 이렇게 사용했었습니다. 옛날에는 서쪽 홍원항에 여치기 성행할 때 낚시대, 밑밥주걱을 밸크로로 뜰채에 묶…
00:34
앗 감사합니다! 이번에 여수 5박다녀왔는데 곧 또 갈예정인데 저곳으로 한번 가봐야겠네요 궁금했던 정보인데 다…
00:11
저도 135rd 있는데 돌돔가방따로 사기 귀찮아서 하나로 해결볼려고요..145 실측은 몇cm 인가요?
12.12
여치기나 직벽같은 협소한 장소에 짝대기를 뜰채에 벨크로로 묶고 뜰채 로프를 매고 다니라고 만든거라 생각하고 …
12.12
부산이면 학장에 창신산업이 잘 하더군요
12.12
강제집행은 콜트나이트가 좋고 재미있게 낚시할려면 어텐더3이 좋습니다
12.12
동네 구두방& 간혹 장비 있는데서 박음질 해주는곳 있습니다. 단, 흔치는 않고요.. ㅎㅎ;; 공업용재봉기? …
12.12
뜰채 어깨끈은 워킹포인트 갈적에 필요한 용도입니다요.. 종선/사선타고 갯바우 진입시엔 거추장스러우니 뜰채 어…
12.12
대형스피닝릴 경우.. 서로 호환되는 스풀들은? 단지 스풀(내/외경) 사이즈는같지만 스풀깊이가 깊고.. 얕고.…
12.12
그니까요.. 보증서에 찍혀있는 년도수(ex: '26년 경우) 다음해 '27년도 12월말까지는 무조껀 보증처리…
12.12
요즘은 뜰채 앞을 당겨서 뒤로 넣는게 아니라 뒷부분을 앞으로 넣으면서 랜딩하시는 분들이 많은거 같습니니다. …
12.12
오늘 알데나 직수 한대 우체국택배로 도착 투명봉지에 종이 보증서 들어가 있네요. 26년 찍혀 있습니다. 27…
12.12
이렇게 쓰시는분들도 있으시네요...
12.12
플로팅 씁니다
12.12
메고 다니고 하는거지만 갯바위 이동시 줄로 이용해 걸고 다녀요 뜰채 는 잡는 위치가 안 일정 하기에 줄로 어…
12.12
어텐더3 1표하고갑니다.
12.12
얼추 30년 정도 뜰채 사용했는데 어깨끈 사용을 한 경우가 없습니다. 해서 어깨끈 용도가 저도 궁금하네요.
12.12
사용할때 너무 걸리적거려서 떼고 사용합니다. 일부러 달고 해봤는데 많이 걸리적거리더라구요
12.12
m대로 감성돔은 싱거운가봐요 ㅎㅎ 후기 감사 합니다
12.12
사용하시는 낚시대 대비 성향은 어텐더3가 더 가깝고 사용하시기 편하실듯하네요 어3 한표~
12.12
동네 구두방에 가시면 적은비용으로 해줍니다
12.12
12.12
12.12
12.12
말씀 감사합니다.
12.12
12.12
아 그런가요? 세미 쓰시나요?!
12.12
20221206 욕지도
12.12
가고 싶네요ㅠ
12.12
20221027 욕지권 갯바위
12.12
끄심바리조법에서는 일부러 싱킹줄 사용하기도 합니다.
12.12
20220620 지심도
12.12
가마조끼가 모델마다 사이즈가 조금씩 달라요 176/89인데 어떤모델은 LL이 잘맞고 어떤연식은 LL이 작았습…
온라인 문의 안내
*운영진에게 문의
*광고/제휴 문의
월~금 : 9:00 ~ 18:00
토/일/공휴일 휴무
점심시간 : 12:00 ~ 13:00
인낚몰 초특가
★500★ W쿠션 멀티 수중찌 M L - 전유동 반유동 끄심바리 필수품 수중쿠션
★5,900★ 여러개 있으면 아주 좋은 EVA 시스템 백
★ 1+1 플로팅, 세미, 카본 낚시줄 행사 호수선택가능 / 택상 1+1 원줄, 목줄 행사
★6,000★ 예민함의 끝판왕 애니원찌 벵에돔찌 학공치찌
★15,000★ 오동목 구멍찌 5개 + 메쉬 찌케이스 세트
★22만원★ 40W 집어등을 이 가격에!
★5,000★ 전층쿠션 15세트입 S / L 사이즈
★2,000★ 전층쿠션 5세트입 S / L 사이즈
★10,000 미니집어등5개 + 425배터리 1개 + 스토퍼고무 10개
★13,500 深海 심해대물 갈치집어등 3개 5LED 오색 집어등 갈치낚시 필수품 건전지3개 포함 수중집어등
★9,900★ 수제공방 갈치 풀치 잔치세트 짬낚시 필수 하나로 끝
★8,650~★ 아부가르시아 카치카치다마 유동식 타이라바 - 80g / 100g / 120g / 140g