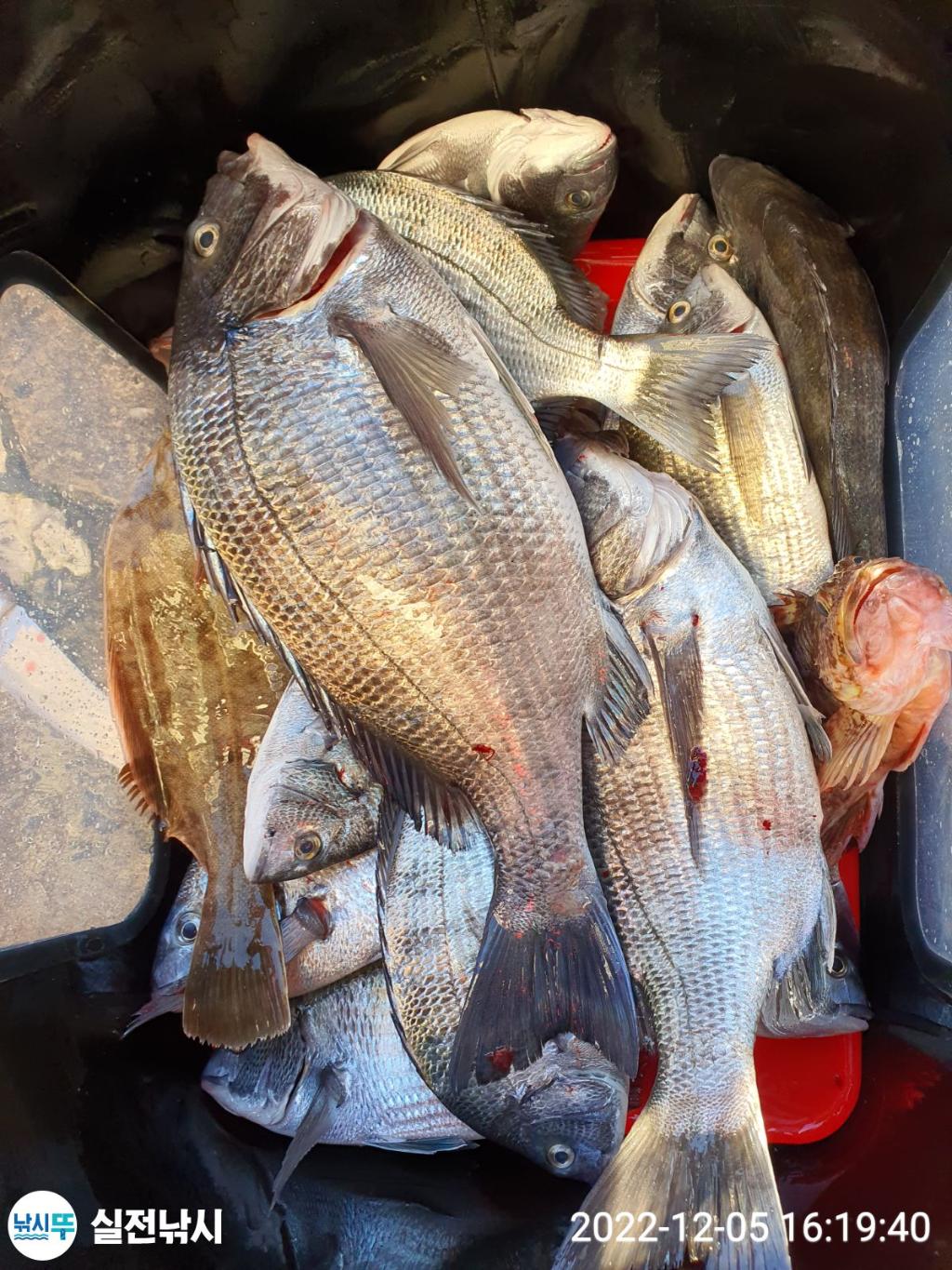
실전낚시 강풍속에 마릿수 감성돔 다녀왔습니다

신상품 소개


회원 랭킹


공지사항


NaverBand
점주/선장 > 갯바위 조황
b_hot_activegloat_200x80.gif b_hot_innakmall_200x80_220704.jpg b_hot_ggsusan_hongeu_200x80.gif b_hot_innakmall_200x80_211203.gif

실전낚시 강풍속에 마릿수 감성돔 다녀왔습니다

녹동실전낚시 0 585
● 출항지 : 고흥,녹동
F1934036BL.jpg낚시뚜에서 인낚으로 보내는 자동조황
top01.png

녹동갯바위

실전낚시

top02.png
기상만 허락하면 감성돔 참돔을 대상으로 부도 섭도 초도 장도권으로 출항합니다
· 출조일시2022-12-05(월)
· 출조인원35명
· 어종감성돔

 

실전낚시 입니다


**기상만 허락하면 감성돔,참돔,벵에돔,돌돔에 추적은 계속됩니다.

    계절낚시를 좋아하는 갯바위 전문점으로서 돌돔,참돔,벵어돔,감성돔들과의 사랑놀이를
    즐기려고 노력 하겠습니다~~~ *^^*

 

*** 신분증 꼬~~옥 지참하셔야 됩니다.

*** 구명조끼도 꼬~옥 착용하시구요~~~(매장에 대여용 준비되어 있습니다)

​*** 손소독제 매장과 배에 비치되어있습니다.

***본인과 타인을 위해서도 마스크 꼭 착용해주세요.


 *** 갯바위 전용선으로 (9.77t) 출항 합니다***

 

 *** 단체.동호회팀.야영팀~ 쭈욱 달려보렵니다.***

    

     

          먼바다권: 삼부도.거문도

           중내만권: 부도.섭도.다랑도.병풍도.장도.초도

           돌돔.참돔.벵에돔.감성돔.볼락

 

     초도.장도.삼부도.거문도 20년이상 운전하고 낚시한 선장이

     직접 가이드 합니다.

      

  

***생활낚시 출항합니다~~^^


선단 : 12월~6월- 부쉬리 방어 지깅,파핑,참돔타이라바,갑오징어

       5월~8월- 쏨벵이.붉바리.한치

       7월~11월 문어.갑오징어.쭈꾸미

 

*** 루어 , 애기, 봉돌, 기타채비 준비되어 있습니다. ^---^

   

 

 

밴드주소

 

갯바위낚시

https://band.us/@siljeonfishing


생활낚시

https://band.us/@sgbp

 

홈페이지 방문 --> Click!!



 

기상여건이 좋지않았지만 대회팀들과 안전하게 감성돔을 대상으로 다녀왔습니다
강한바람과 추위가 대회선수들을 힘들게 하였지만 여기저기서 감성돔에 얼굴을 볼수 있었습니다.
고흥 녹동권 지금부터 감성돔에 시작을 알려봅니다~~^-----^
F1934036BL.jpgF193404305.jpgF19340423M.jpgF1934039A7.jpgF19340411A.jpgF1934038TA.jpgF1934040PF.jpgF1934037IF.jpg

기상만 허락하면 감성돔 돌돔 참돔에 추적은 계속됩니다.

 

20220613.192855.067.M0002763ZO_600.jpg 

**포인트 선정에 신중을 기하여 즐거운하루가 될수있도록최선을 다하겠습니다** 

  조금 여유있게 도착하셔서 따뜻한 커피한잔과 조황 정보와 낚시 이야기를 함께

  나누면 더욱 좋겠죠~~*^^*

********* 미리 예약 해주시면 감사하겠습니다***********
**미끼류 (크릴 파우더 압맥  청갯지렁이 성게등등~~) 종류별로 준비되어 있습니다

**돌돔미끼는 (보라성게.말똥성게.전복.참갯지렁이,게고동) 꼭 예약부탁드립니다!!!

매장 주소(네비게이션): 고흥군 도양읍 봉암리 2788-1 (녹동 썬비치 호텔옆).
신 주 소 : 고흥군 도양읍 비봉로 189번지

 
매장영업시간: 낮 1시부터~~아침 7시까지.~~^^

휴대전화 : 0 1 0 - 7 1 1 4 - 1 2 5 5 
매장전화 : 0 6 1 - 842 - 3657

 

밴드주소

 

갯바위낚시

https://band.us/@siljeonfishing


생활낚시

https://band.us/@sgbp

 

배타는곳 : 매장 바로 앞~~^^ 주차하시고 바로 승선 하세요~~~*^^*

주차장 : 엄청 넓구요~~~^^

 

** 정확한 포인트 설명과 조사님의 입장에서 생각하는 자세로 최선을 다하겠습니다~~*^^** 

네비주소 :고흥군 도양읍 봉암리 2788-1 (녹동 썬비치 호텔옆)

예약문의

010-7114-1255

농협

100

녹동갯바위

실전낚시

김지송 선장

590
항구명 녹동항
승선인원 22명
출조점명 실전낚시
배 타는 곳출조점 앞 선착장

홈페이지 바로가기 Click

낚시뚜


0 댓글
포토 제목
 
 

인낚 최신글


인낚 최신댓글


온라인 문의 안내


월~금 : 9:00 ~ 18:00
토/일/공휴일 휴무
점심시간 : 12:00 ~ 13:00