
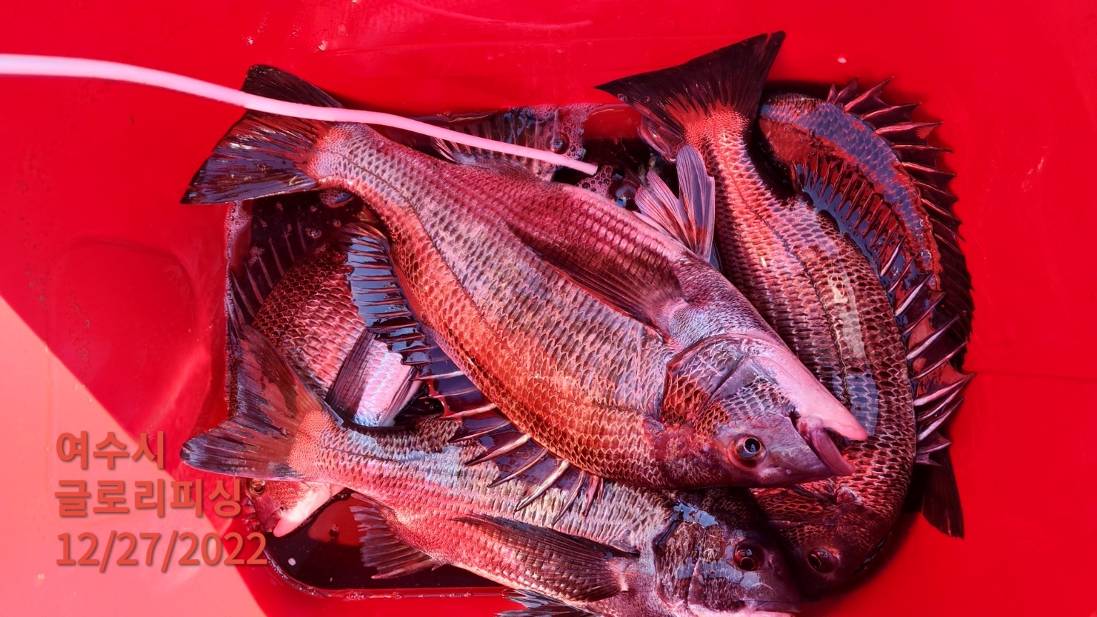
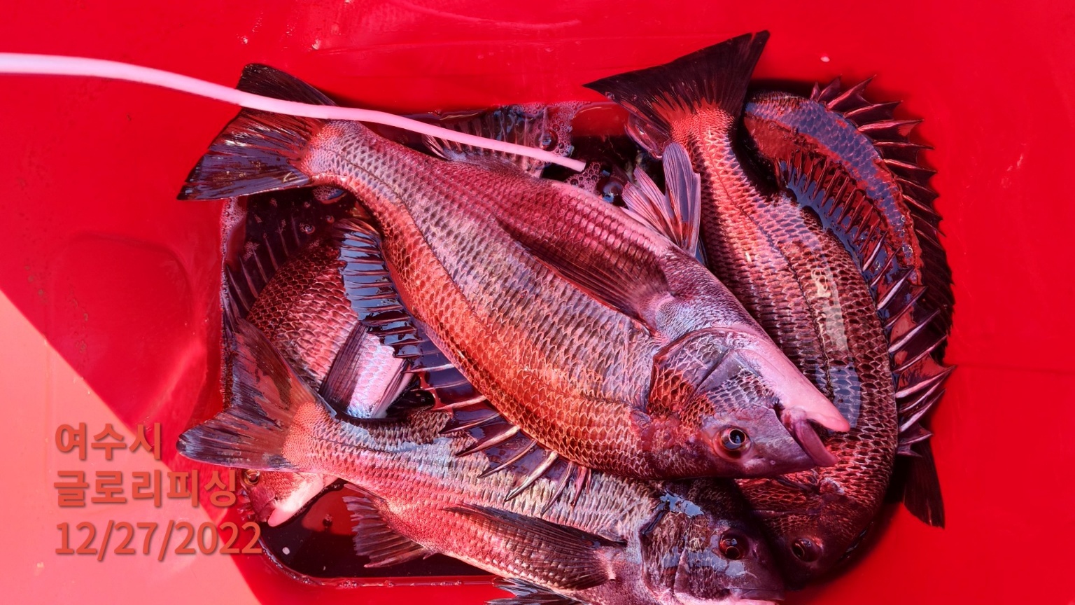
오랜만에 쓸만한 조황이 나와주네요. 53, 50급 포함 대물들도 많이 보이네요. 12월 상품 대상자가 바뀌고 있습니다!
수온이 10도 언저리에 머무는 만큼 남은 며칠 또 바뀌지 않을까 합니다!









1. 출조시간
1-1. 출항시간
12월 25일(일) : 새벽 5시 ~ 오후 2시
12월 26일(월) : 새벽 6시 ~ 오후 3시
12월 27일(화) : 새벽 6시 ~ 오후 3시
12월 28일(수) : 새벽 6시 ~ 오후 3시
12월 29일(목) : 새벽 6시 ~ 오후 3시
12월 30일(금) : 새벽 6시 ~ 오후 3시
12월 31일(토) : 1항차 : 새벽 4시 ~ 오후 1시
2항차 : 새벽 6시 ~ 오후 3시
1월 1일(일) : 1항차 : 새벽 4시 ~ 오후 1시
2항차 : 새벽 6시 ~ 오후 3시
1월 2일(월) : 새벽 6시 ~ 오후 3시
1-2. 출조지역, 기상에 따라 출, 입항 시간이 변동됩니다.
밴드에 가입하시면 실시간 확인 가능 합니다.
1-3. 글로리피싱 밴드 안내
글로리피싱 밴드
2. 안내사항
2-1. 신분증은 꼭 지참하시기 바랍니다.
2-2. 구명조끼는 반드시 착용하기 바랍니다.