![]() |
|
![]() |
![]() |
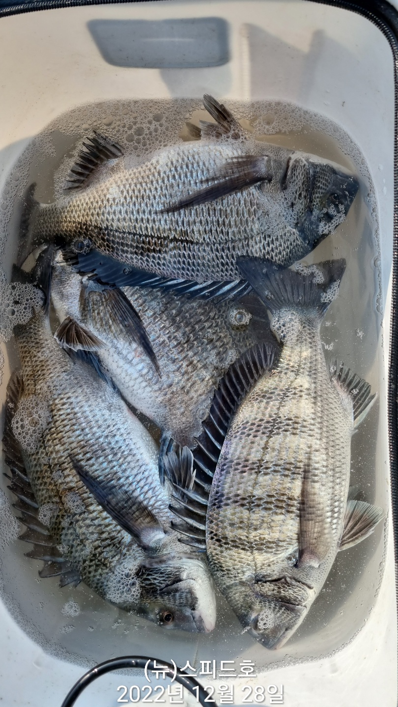
28일(수요일)
금오열도 감성돔조황
일주일만에 모든 허가가 완료되어 몇분의 조사님들과 함께 금오열도권을 찾았습니다
새벽 영하의 기온은 아니지만 여전히 찬바람에 체감 온도는 떨어진것 같습니다
오늘 금오열도권은 포인트의 마릿수 조황과 구간의 조황을 확인할 수 있었습니다
목요일 내일은 조사님들을 편차가 없는 구간에 모셔 손맛을 볼수 있도록 하겠습니다
함께 하실 조사님들은 연락주십시요
오늘도 수고하셨습니다
감사합니다
패키지: 65,000원(선비,밑밥 미끼일체)
출조예약 010 7587 1172
|
|
|
|














