![]() |
|
![]() |
![]() |
안녕하세요 남해 미조 대림호입니다
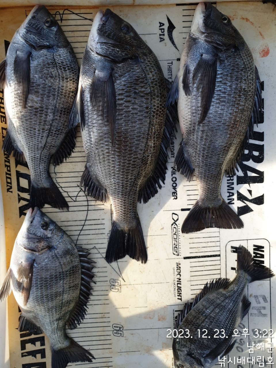
금일 갯바위 조황입니다
간만에 주말에 날씨가 좋았습니다
씨알좋은 감성돔도 잘나오네요
내일은 날이 더 좋다고하니 손맛보러오세요^^
오늘도 출조하신 조사님들 수고하셨습니다
<미조 낚시배 대림호>
*선장연락처 : 010-2090-0407
*갯바위낚시&선상낚시 전문
*승선정원 - 선장포함 18명 / 톤수 - 7.93t)
*주소 : 남해군 미조면 미조로 318번길 16
—————————————————————
저녁 8시 이후에는 간혹 전화를 못받는경우가 있을수있어 양해부탁드립니다.
—————————————————————
*휴무안내
- 매월 둘째/넷째 화요일은 휴무입니다(전화문의)
—————————————————————
※처음 찾아오시는 분은 도착후 전화주시면 주차안내 도와드리겠습니다
—————————————————————
*낚시배와 펜션 함께 운영하고있습니다 (꿈엔들펜션)
-펜션문의 : 010-2620-1067
-낚시문의 : 010-2090-0407
*대림호 블로그 바로가기
https://m.blog.naver.com/minmin3476/223301390403?afterWebWrite=true
*대림호 밴드 바로가기
https://band.us/band/10708001/post/1268883025
*꿈엔들펜션 바로가기
|
|
|
|


















