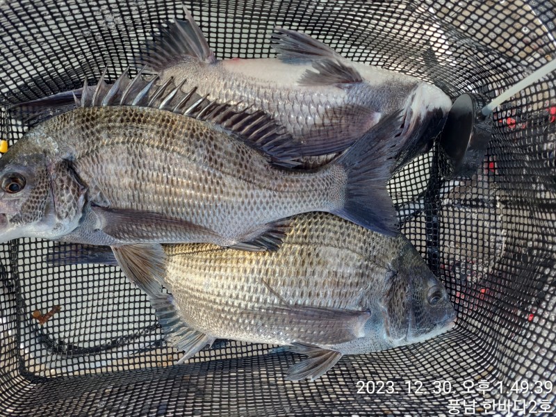
(토) 거문도 5짜 감생이부터

신상품 소개


회원 랭킹


공지사항


NaverBand
점주/선장 > 갯바위 조황
b_hot_activegloat_200x80.gif b_hot_innakmall_200x80_220704.jpg b_hot_ggsusan_hongeu_200x80.gif b_hot_innakmall_200x80_211203.gif

(토) 거문도 5짜 감생이부터

고흥한바다2호 0 596
● 출항지 : 고흥,녹동

거문도 순수한 갯바위 조황 입니다.


1월 2일 역만도.거문도 출조 합니다.


더 많은 조황은 밴드에서 확인 할수 있습니다.


고흥 한바다2호: 010 -4612 -7015


배타는 곳: 전남 고흥군 풍양면 풍남항 


고흥 한바다2호 밴드 


https://band.us/band/5828981622bfba66fdae2ee727c5d07bebabc34c_1703988024_2725.jpg



22bfba66fdae2ee727c5d07bebabc34c_1703988025_8736.jpg



22bfba66fdae2ee727c5d07bebabc34c_1703988027_7792.jpg



22bfba66fdae2ee727c5d07bebabc34c_1703988029_8816.jpg



22bfba66fdae2ee727c5d07bebabc34c_1703988031_8658.jpg



22bfba66fdae2ee727c5d07bebabc34c_1703988034_1206.jpg



22bfba66fdae2ee727c5d07bebabc34c_1703988036_3058.jpg



22bfba66fdae2ee727c5d07bebabc34c_1703988038_4107.jpg



22bfba66fdae2ee727c5d07bebabc34c_1703988040_597.jpg



22bfba66fdae2ee727c5d07bebabc34c_1703988042_5492.jpg



 

0 댓글
포토 제목
 
 

인낚 최신글


인낚 최신댓글


온라인 문의 안내


월~금 : 9:00 ~ 18:00
토/일/공휴일 휴무
점심시간 : 12:00 ~ 13:00