금요일/감성돔 조황!

신상품 소개


회원 랭킹


공지사항


NaverBand
점주/선장 > 갯바위 조황
b_hot_activegloat_200x80.gif b_hot_innakmall_200x80_220704.jpg b_hot_ggsusan_hongeu_200x80.gif b_hot_innakmall_200x80_211203.gif

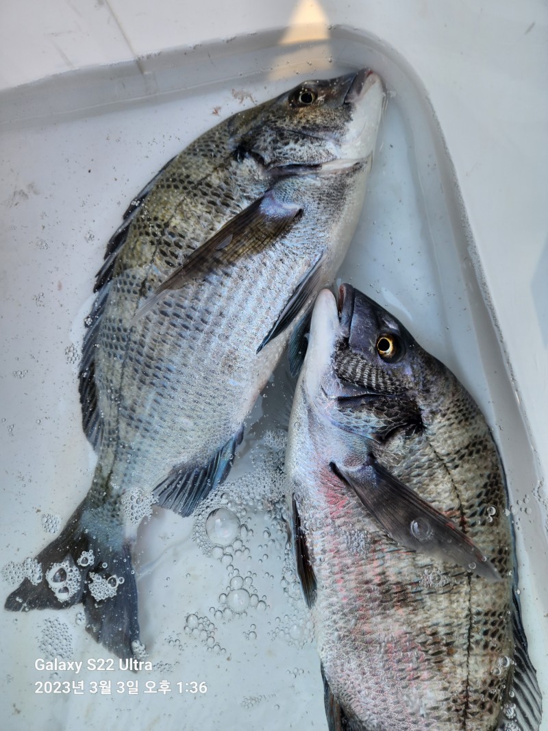
금요일/감성돔 조황!

고흥명성피싱호 0 270
● 출항지 : 고흥,녹동

"청정지역" 고흥 풍남항 방문을 환영합니다! 


3일(금)장도&황제도 새벽출조 조황입니다! 


감성돔 씨알이 조금 아쉬운 하루였네요!


꽃담바다 명성피싱호와 함께하여주신 조사님께 감사드리며,,,


5,6일(일,월)장도ro황제도 새벽출조 합니다!


연락주시면 친절히 안내해 드리겠습니다!

48c8c35107fe5edf7b9031a4fbd71d46_1677873942_7595.jpg
♡명성피싱호 밴드에서 많은 소식을 보실 수 있습니다!

48c8c35107fe5edf7b9031a4fbd71d46_1677874013_3902.jpg

48c8c35107fe5edf7b9031a4fbd71d46_1677874217_7615.jpg

48c8c35107fe5edf7b9031a4fbd71d46_1677874307_015.jpg

48c8c35107fe5edf7b9031a4fbd71d46_1677874427_0068.jpg

48c8c35107fe5edf7b9031a4fbd71d46_1677874509_918.jpg

48c8c35107fe5edf7b9031a4fbd71d46_1677874570_9906.jpg
















 

0 댓글
포토 제목
게시물이 없습니다.
 
 

인낚 최신글


인낚 최신댓글


온라인 문의 안내


월~금 : 9:00 ~ 18:00
토/일/공휴일 휴무
점심시간 : 12:00 ~ 13:00