화요일/감성돔 조황!

신상품 소개


회원 랭킹


공지사항


NaverBand
점주/선장 > 갯바위 조황
b_hot_activegloat_200x80.gif b_hot_innakmall_200x80_220704.jpg b_hot_ggsusan_hongeu_200x80.gif b_hot_innakmall_200x80_211203.gif

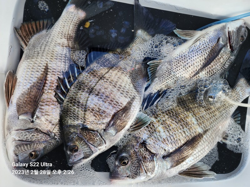
화요일/감성돔 조황!

고흥명성피싱호 0 310
● 출항지 : 고흥,녹동

​"청정지역" 고흥 풍남항 방문을 환영합니다! 


​28일(화)장도권역 새벽출조 다녀왔습니다! 


출조인원에 비해 조황이 저조했네요!(수온이 변덕이 심했네요)


꽃담바다 명성피싱호와 함께하여주신 조사님께 감사드리며,,,


1일(수)장도권역 새벽출조 합니다!


연락주시면 친절히 안내해 드리겠습니다!

a73b70d268e503ffeced1ec34de06dea_1677563377_3458.jpg
♡명성피싱호 밴드에서 많은 소식을 보실 수 있습니다!

a73b70d268e503ffeced1ec34de06dea_1677563416_7377.jpg
 

a73b70d268e503ffeced1ec34de06dea_1677563194_1511.jpg

a73b70d268e503ffeced1ec34de06dea_1677563227_0566.jpg

a73b70d268e503ffeced1ec34de06dea_1677563255_3761.jpg

a73b70d268e503ffeced1ec34de06dea_1677563284_5447.jpeg

a73b70d268e503ffeced1ec34de06dea_1677563307_4387.jpg

a73b70d268e503ffeced1ec34de06dea_1677563335_0805.jpg










 

0 댓글
포토 제목
게시물이 없습니다.
 
 

인낚 최신글


인낚 최신댓글


온라인 문의 안내


월~금 : 9:00 ~ 18:00
토/일/공휴일 휴무
점심시간 : 12:00 ~ 13:00