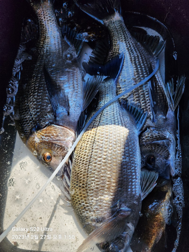
27일(월)씨알급 감성돔 마릿수 조황!

신상품 소개


회원 랭킹


공지사항


NaverBand
점주/선장 > 갯바위 조황
b_hot_activegloat_200x80.gif b_hot_innakmall_200x80_220704.jpg b_hot_ggsusan_hongeu_200x80.gif b_hot_innakmall_200x80_211203.gif

27일(월)씨알급 감성돔 마릿수 조황!

고흥명성피싱호 0 394
● 출항지 : 고흥,녹동

"청정지역" 고흥 풍남항 방문을 환영합니다! 


27일(월)장도권역 새벽출조 조황입니다! 


씨알급 감성돔이 마릿수로 나왔네요!


꽃담바다 명성피싱호와 함께하여주신 조사님께 감사드리며,,,,


28,1일(화,수)장도ro황제도 새벽출조 합니다!


​연락주시면 친절히 안내해 드리겠습니다! 

0a335118f7f5bc2aa53679fab458ac62_1677475622_7616.jpg
♡명성피싱호 밴드에서 많은 소식을 보실 수 있습니다!

0a335118f7f5bc2aa53679fab458ac62_1677475716_236.jpg

0a335118f7f5bc2aa53679fab458ac62_1677475734_602.jpg

0a335118f7f5bc2aa53679fab458ac62_1677475781_1181.jpg

0a335118f7f5bc2aa53679fab458ac62_1677475811_8426.jpg

0a335118f7f5bc2aa53679fab458ac62_1677475842_022.jpg

0a335118f7f5bc2aa53679fab458ac62_1677475866_1183.jpg

0a335118f7f5bc2aa53679fab458ac62_1677475894_6514.jpg

0a335118f7f5bc2aa53679fab458ac62_1677475926_6025.jpg

0a335118f7f5bc2aa53679fab458ac62_1677475956_3705.jpg

0a335118f7f5bc2aa53679fab458ac62_1677475997_1158.jpg

0a335118f7f5bc2aa53679fab458ac62_1677476029_8324.jpg

0a335118f7f5bc2aa53679fab458ac62_1677476060_3002.jpg




























 

0 댓글
포토 제목
게시물이 없습니다.
 
 

인낚 최신글


인낚 최신댓글


온라인 문의 안내


월~금 : 9:00 ~ 18:00
토/일/공휴일 휴무
점심시간 : 12:00 ~ 13:00