목포 금강낚시 주말태도 1박2일 조황

신상품 소개


회원 랭킹


공지사항


NaverBand
점주/선장 > 갯바위 조황
b_hot_activegloat_200x80.gif b_hot_innakmall_200x80_220704.jpg b_hot_ggsusan_hongeu_200x80.gif b_hot_innakmall_200x80_211203.gif

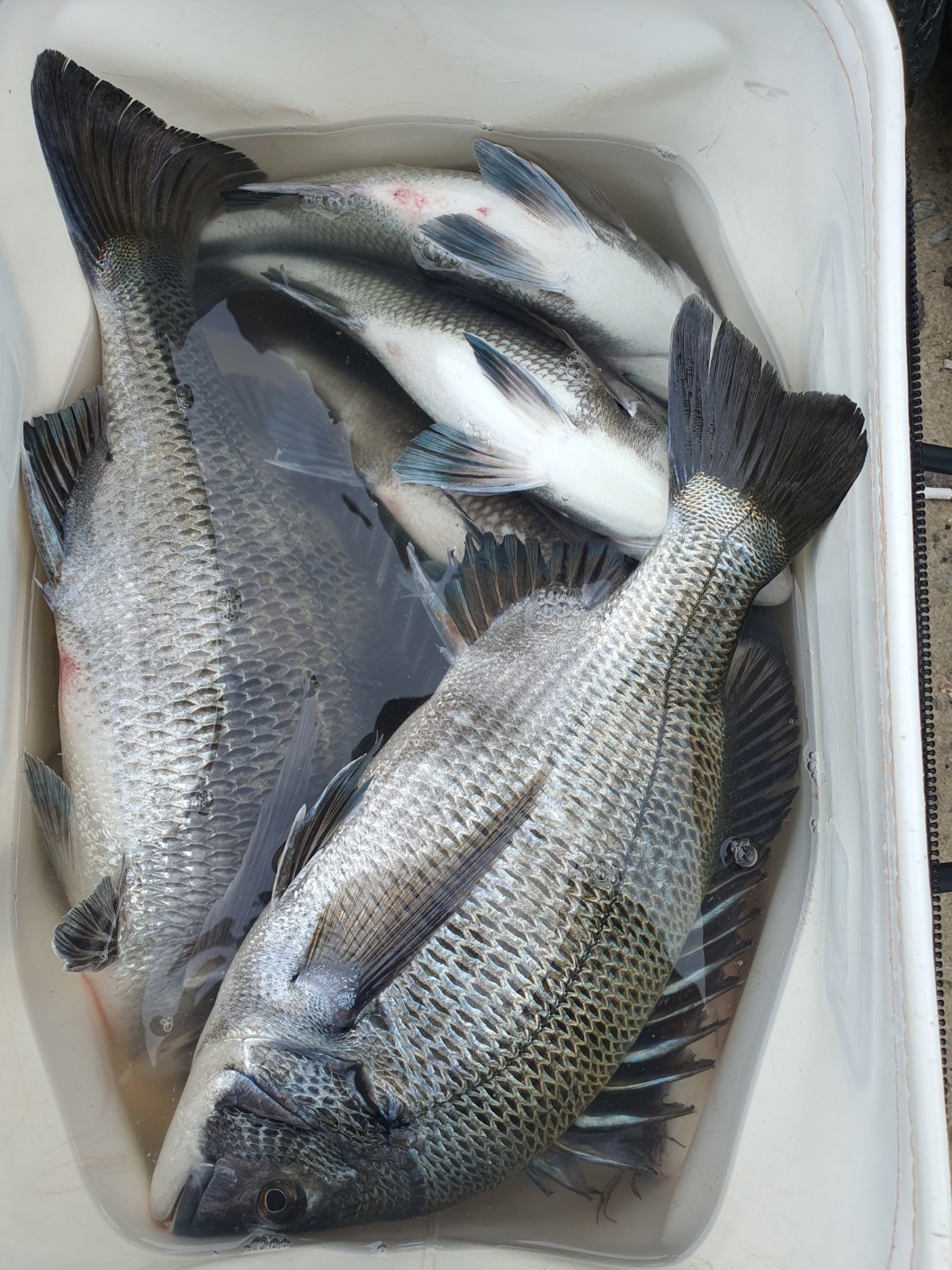
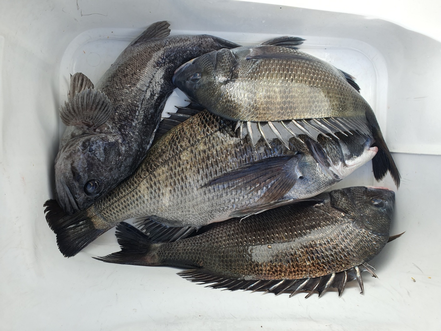
목포 금강낚시 주말태도 1박2일 조황

금강낚시 0 560
● 출항지 : 목포

안녕하세요

주말태도 갯바위1박2일조황 입니다


              예약문의 

     매장 문의:061-277-8820

     출조 문의:010-7443-5522

도착지:전남 목포시 청호로220번길17

        금강낚시할인점(북항삼목장례식장옆)


   더 정확한 조황 정보나 출조 안내는밴드 확인하세요.

               https://band.us/@fourstar fe8fefe5fba71d904c80865d1a3c18fa_1701655675_816.JPG



f469f0bfda0506ac3d65cb42a4128b2b_1701653930_1734.JPG



f469f0bfda0506ac3d65cb42a4128b2b_1701653930_315.JPG



f469f0bfda0506ac3d65cb42a4128b2b_1701653935_3581.JPG



f469f0bfda0506ac3d65cb42a4128b2b_1701653946_4505.JPG



f469f0bfda0506ac3d65cb42a4128b2b_1701653946_6155.JPG



f469f0bfda0506ac3d65cb42a4128b2b_1701653953_4462.JPG



f469f0bfda0506ac3d65cb42a4128b2b_1701653953_599.JPG



f469f0bfda0506ac3d65cb42a4128b2b_1701653953_7513.JPG



f469f0bfda0506ac3d65cb42a4128b2b_1701653953_8983.JPG

 

0 댓글
포토 제목
 
 

인낚 최신글


인낚 최신댓글


온라인 문의 안내


월~금 : 9:00 ~ 18:00
토/일/공휴일 휴무
점심시간 : 12:00 ~ 13:00