![]() |
|
![]() |
![]() |
반갑습니다.^^
거제 대포항 *스타피싱* 그선장 입니다.^^
저히 스타피싱의 쎌프 스타벅스 휴게실 입니다.^^
더울때는 시원하게 추을때는 따듯하게 출조시 시간을 여유롭게 오셨어
차와 간단한 간식 식사등 드실수있도록 모든준비를 하였습니다.
[출조문의 예약= = 010-3530-8877]
[예약받는시간 08시~22시까지}
[통화가 안될시 문자남겨주시면 연락드리겠습니다.]
출항 30분 전에 도착 부탁드립니다^^.........
반갑습니다.^^
거제 대포항 스타피싱 그선장 입니다.
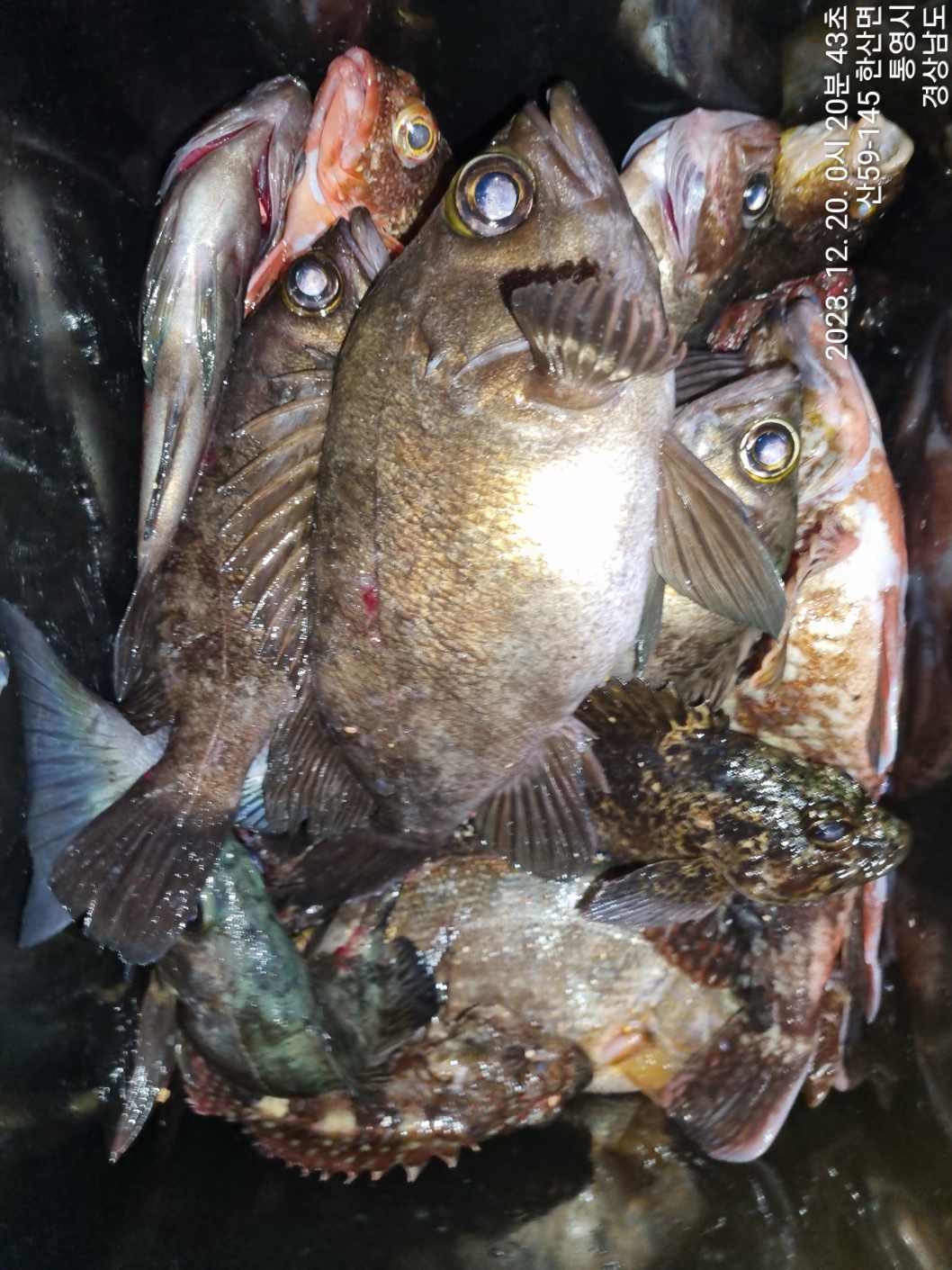
12월 18.19일 매물도권 준내만권 "밤"뽈락 출조 조황 입니다.
지난주 수요일 출조이후 기상악화로 한동안 출조를 못하다 이번주부터 출조를 하였습니다.
와~근데 춥다고는 했지만 이정도까지 추울지는 몰랐네요.ㅡㅡ"
체감기온이 영하 4~5도는 되는듯 하였습니다.
조사님들께서도 춥다고하여 단디 챙겨왔는데도 그래도 넘 춥드라 히십니다.
그러시면서도 만쿨하신 쿨러를 슥~윽 열어보여주시네요.^^
하지만 기온이 급감하면서 수온도 하락하여 뽈락들이 피어있으면서도 엄청 예민하다고 하십니다.
지난주까지만해도 야들이 생각없이 마구마구 입질을 하였지만 지금은 엄청 예민한 입질을 보인다 합니다.
아마도 하락된 수온에 어느정도 적응하여야 입질이 다소살아날것으로 보입니다.
아무리 강추위가와도 우리네 조사님들의 뽈사랑과 열정을 막을수는 없는것 같습니다.^^
강추위속에서도 예민한 입질을 잘 극복하신 조사님들께서는 만쿨 만쿨 하셨고 추위에 고생하시고 예민한 입질에
고전하신조사님들께서는 그래도 충분히 드실만큼 반쿨조과는 하셨습니다.
근자에 씨알급 뽈락들이 제법보입니다.
25~27.8급들이 제법 보이네요.
준내만권인 대덕도 가왕도권도 뽈락또한 좋게나오네요.
준내만권 출조도 괸찮겠습니다.^^
주중출항 15시30분 출항 [그날 상황에따라 출조"철수시간"약간의 변동상황은 있을수 있습니다.]
철수 밤"24시 철수 03시00분 부터철수 입니다.
올씨즌은 밤뽈 풍년이되길 기원해봅니다.^^
다녀가신 조우님들 수고많으셨습니다.
늘 그렇듯 모둔분들께서 손맛을 보시길 바래보지만 모든분들이 다 손맛을 보시지는 못하셨습니다.
그선장 늘 많은분들께서 손맛을 즐기실수 있도록 더욱더 노력하겠습니다.^^
출항전 하선하시고싶은 섬 대매물도:소매물도 미리 이야기해주시면 최대한 맞추어 드리도록 하겠습니다.
마 그냥 선장님 촉대로 내려주이소 하시믄 손맛보십니데이~ㅋㅋㅋ
다녀가신 조우님들 수고많으셨습니다.
감사합니다.^^
그선장 기상이 허락하는날은 밤출조 새벽출조 오전 오후리리출조 쭉~달림니다.^^
###저희 스타피싱 주 출조지는 매물도""대덕도"가왕도"죽도"대포권 등 입니다.###
"스타피싱" 매물도 및 준내만권 진입하는 최단거리 최단시간의 출항지 입니다.^^
***매물도권 준내만권 밤"뽈락" 출조합니다***
***출조 오후16시00출조 ~ 철수: 24시00분 03시30분 철수
***준내만 3인 이상 밤뽈"출조 19시00시21:00시 출조가능 합니다.
** 기상등 현지사정으로 출조시간이 변경될수도 있으니 반드시 예약전화로 확인바랍니다
**대물을 낚으셔서 무료승선권 많이많이 받아가셔유~~^^
@@벵에돔 40cm 이상 1장 50cm 이상 2장 @@
@@벵에돔 30cm 이상 10마리이상 1장 @@
@@참돔 60cm 이상 1장 70cm 이상 2장 80cm 이상 3장@@
@@감성돔 50cm 이상 1장 55cm 이상 2장@@
@@볼락 30cm 이상 1장
**주말출조시간은 기상에따라 변동적일수있으므로 문의부탁 드리겠습니다
매물도 출조는 예약제로 운영하오니 출조문의 예약번호로 예약부탁드립니다
가게 예약전번으로 010 3530 8877 연락주시면 되겠습니다.^^
네비주소 : 경남 거제시 남부면 대포길 62-1
준 비 물 : 신분증 구명조끼(300만원)참,야영시에는 텐트.취사도구는 단속대상입니다(참고하세요)
언제나 저희 스타피싱 낚시를 찾아주신조사님들께 감사드립니다(^^)
|
|
|
|











































