![]() |
|
![]() |
![]() |
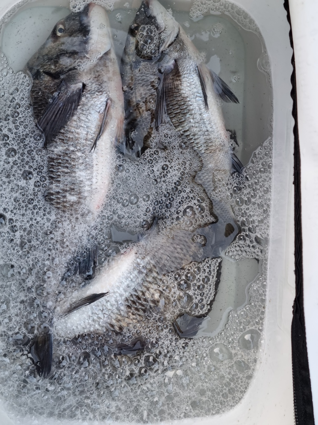
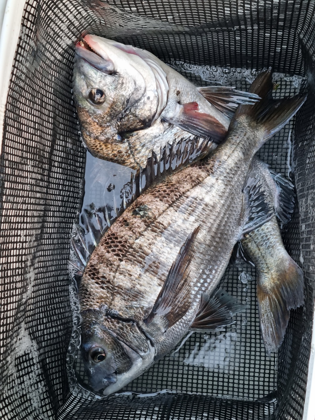
거제바다낚시메리 크리스마스 오늘만 같아라
지금 거제권 덩치급들 갯바위 가장자리를
어슬렁거리기 시작입니다
당분간 날씨랑 물때가 양호하니
출조길 참고바라며
내일도화이팅입니다,
----- 이상 ------
★거제바다낚시 출조전문점★에서
조황 띄웁니다,
♥연중 홍개비
혼무시 준비 되어있음♥
☆거제권 전역에 출조하는 출조전문점☆
☆조황 있는 곳에 언제나 거제바다낚시☆
☆2인 이상 주의보 아님 수시 출조 가능☆
☆출 조 문 의:출조전문(거제바다낚시점)
☆거제바다낚시점:055)682-5454//2314
★ 낚싯방점주 : ( 010-6635-7259)
선 장 : (010-4540-1438)
네비주소 : 거제시일운면거제대로 2467
유사주소 : !) 거제바다낚시
!!) 지세포성당
!!!) ☎ 055) 682-5454
055) 682-2314 로
치시면 됩니다.
거제바다낚시 "G" S" F"' 밴드로 초대합니다.
"아래 링크를 눌러 들어오세요.
https://band.us/n/a3a595ddxf05u
From 거제바다낚시/김동석
ㅡ이상 ㅡ
★거제바다낚시입니다
|
|
|
|













