글로리호 감성돔 조황입니다

신상품 소개


회원 랭킹


공지사항


NaverBand
점주/선장 > 갯바위 조황
b_hot_activegloat_200x80.gif b_hot_innakmall_200x80_220704.jpg b_hot_ggsusan_hongeu_200x80.gif b_hot_innakmall_200x80_211203.gif

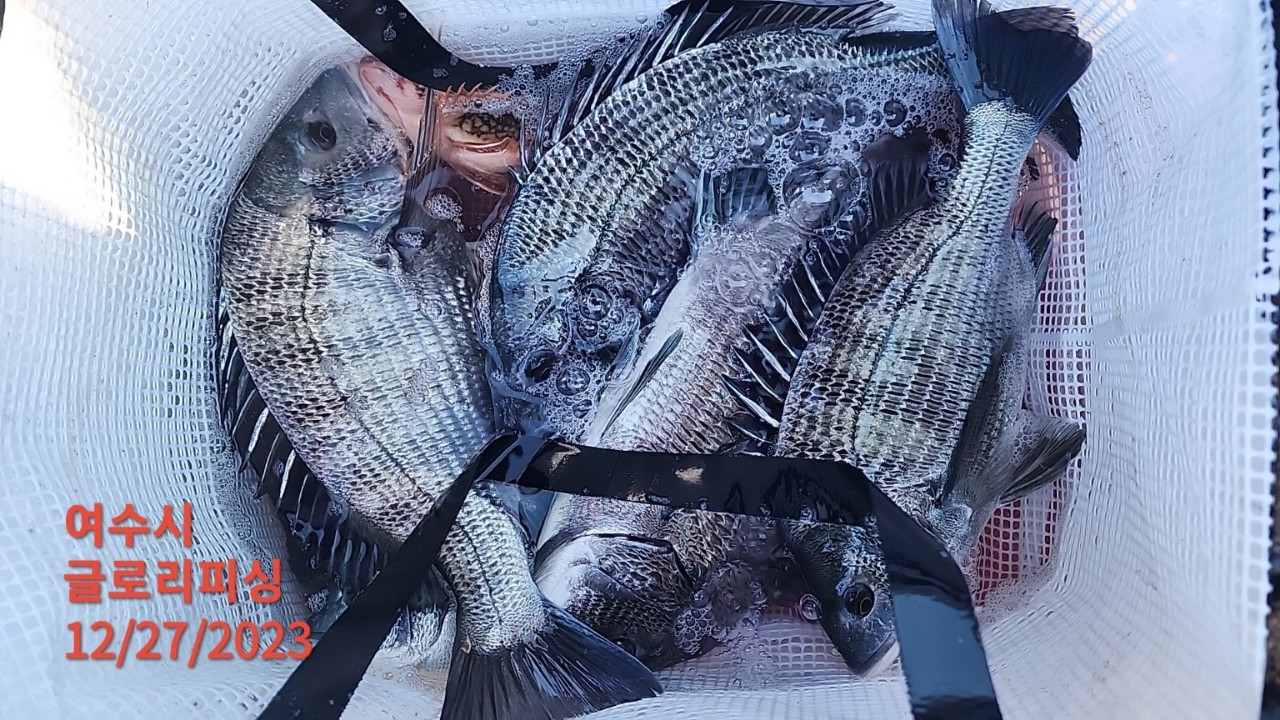
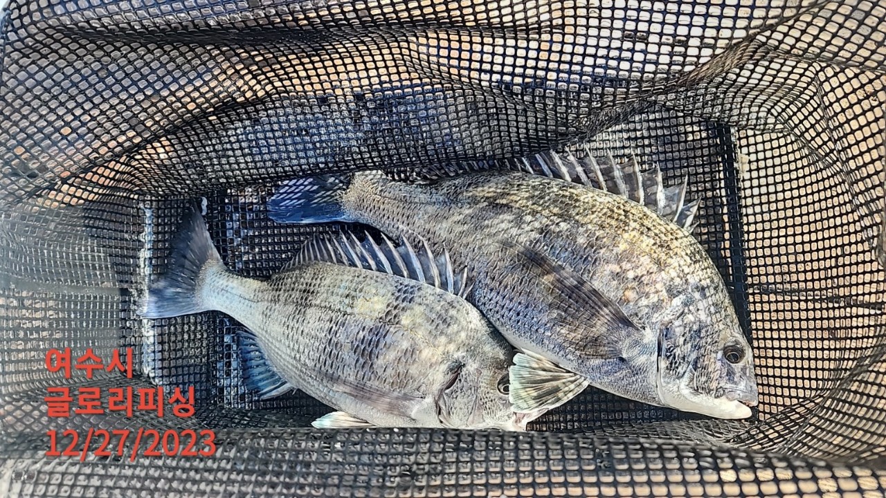
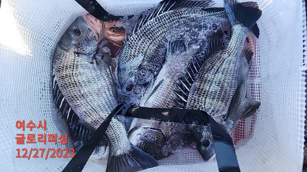
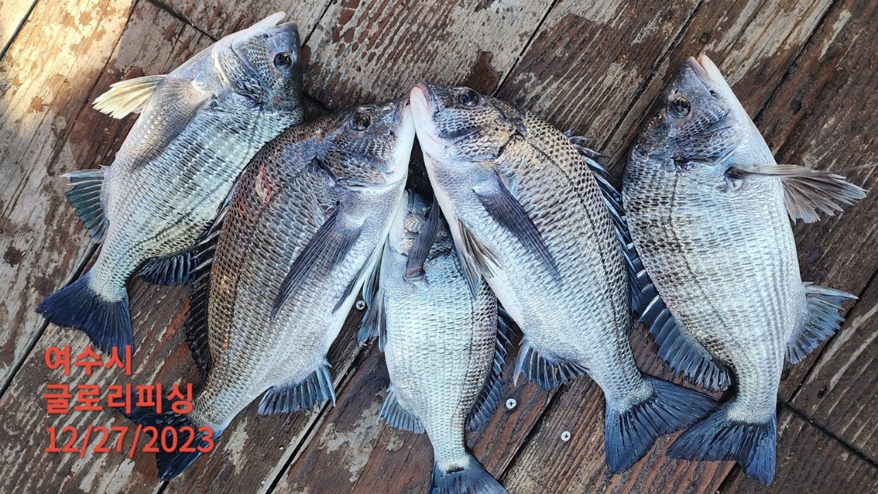
글로리호 감성돔 조황입니다

글로리피싱 0 247
● 출항지 : 여수,광양

f94a8d3221a81c2b64fe5c2c2d77aa00_1703656324_258.jpeg




 

수온이 조금씩 안정화 되어갑니다.

금오도와 안도 북쪽 일대는 12도 까지 찍히면서 조금씩 조황이 살아나네요.

좋은 기상속에 내일도 힘차게 달립니다.





f94a8d3221a81c2b64fe5c2c2d77aa00_1703656324_8809.jpeg



f94a8d3221a81c2b64fe5c2c2d77aa00_1703656323_5924.jpeg



f94a8d3221a81c2b64fe5c2c2d77aa00_1703656323_7951.jpeg



f94a8d3221a81c2b64fe5c2c2d77aa00_1703656323_3484.jpeg



f94a8d3221a81c2b64fe5c2c2d77aa00_1703656324_051.jpeg



f94a8d3221a81c2b64fe5c2c2d77aa00_1703656324_4477.jpeg



f94a8d3221a81c2b64fe5c2c2d77aa00_1703656324_6643.jpeg



f94a8d3221a81c2b64fe5c2c2d77aa00_1703656325_0678.jpeg


 

   1-1. 출항 시간                   

     

12월 27일(목) : 새벽 5시 30분 ~ 오후 2시 30분
12월 28일(금) : 새벽 5시 30분 ~ 오후 2시 30분
12월 29일(금) : 새벽 5시 30분 ~ 오후 2시 30분

12월 30일(토) : 1항차 : 새벽 4시 ~ 오후 1시 
                  2항차 : 새벽 6시 ~ 오후 3시
12월 31일(일) : 1항차 : 새벽 4시 ~ 오후 1시 
                  2항차 : 새벽 6시 ~ 오후 3시 
01월 01일(월) : 1항차 : 새벽 4시 ~ 오후 1시 
                  2항차 : 새벽 6시 ~ 오후 3시 

01월 02일(화) : 새벽 5시 30분 ~ 오후 2시 30분
01월 03일(수) : 새벽 5시 30뷴 ~ 오후 2시 30분

1-2. 출조 지역, 기상에 따라 출, 입항 시간이 변동 됩니다. 
       밴드에 가입하시면 실시간 확인 가능 합니다.

1-3. 글로리피싱 밴드 안내  

        글로리피싱 밴드(클릭)

2. 안내 사항
  2-1. 신분증은 꼭 지참 하시기 바랍니다.
  2-2. 선비 6만 , 패키지 8만 5천원 (크릴5 하나파워2 보리4 백크릴)

f94a8d3221a81c2b64fe5c2c2d77aa00_1703656471_042.jpg



 

0 댓글
포토 제목
 
 

인낚 최신글


인낚 최신댓글


온라인 문의 안내


월~금 : 9:00 ~ 18:00
토/일/공휴일 휴무
점심시간 : 12:00 ~ 13:00