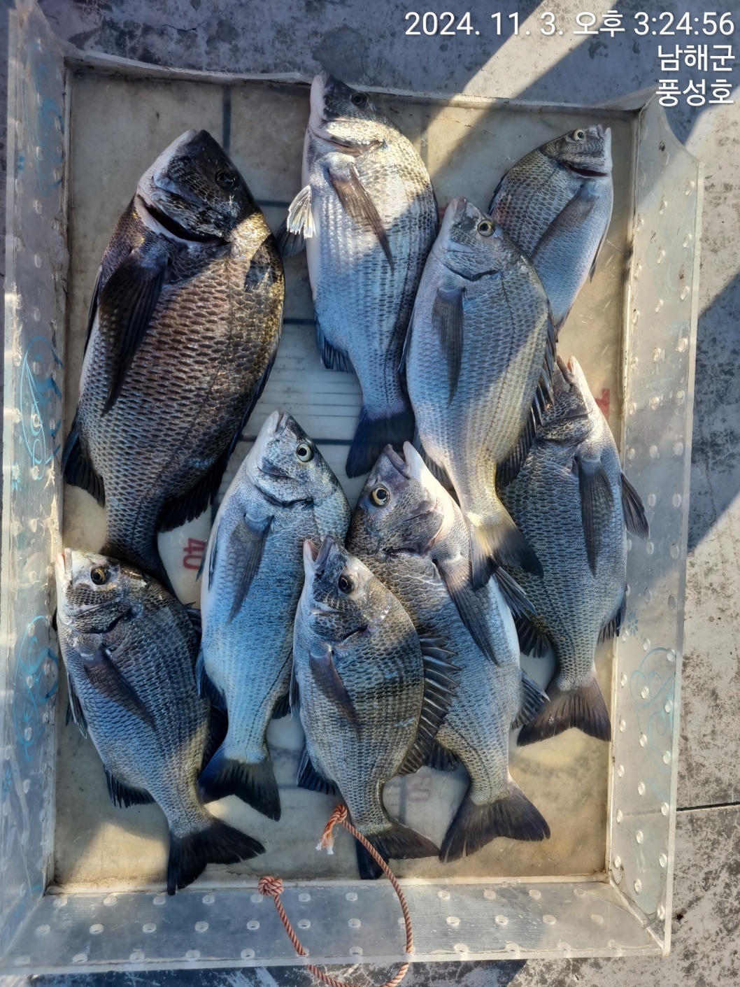
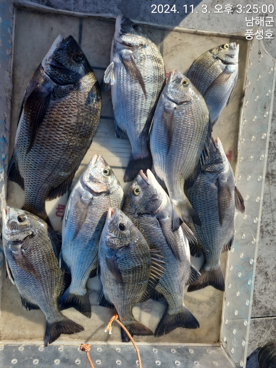
남해 미조 11월 3일 갯바위 조황입니다

신상품 소개


회원 랭킹


공지사항


NaverBand
점주/선장 > 갯바위 조황

▶ 지켜주세요! ◀
 
 - 당일 조황을 올리셔야 합니다. 
 - 지난 조황은 2일이내 미등록 조황만 가능합니다. 
 - 이미 올린 조황을 붙여넣기하여 계속 등재하시면 중복조황에 해당합니다. 
 - 당일 조황을 올리면서 이전 조황을 같이 올리면 중복조황에 해당합니다.
 - 조황없는 출조정보는 출조정보 게시판을 이용하시길 바랍니다. 
 - 올린 글 삭제하고 다시 올려 상단에 올리려는 방법, 이용규칙 위반입니다. 
 - 제목에 특수문자 사용하시면 안됩니다. (온점, 쉼표, 느낌표, 괄호, 물결만 허용)

 ☆ 공지사항에 '조황등재시 유의사항' 게시글을 꼭 확인하시고 조황작성 부탁드리며, 가장 기본적인 
    규칙이 지켜지지 않을 시 예고없이 글 삭제 및 이용정지 될 수 있음을 알려드립니다. 
 
b_hot_innakmall_200x80_240307.jpg b_hot_innakmall_200x80_220704.jpg b_hot_ggsusan_hongeu_200x80.gif b_hot_innakmall_200x80_211203.gif

남해 미조 11월 3일 갯바위 조황입니다

풍성호 0 407
● 출항지 : 남해

4ecf66590edeee5fa781a996c8aa65cc_1730624126_5918.jpg



4ecf66590edeee5fa781a996c8aa65cc_1730624126_8272.jpg



4ecf66590edeee5fa781a996c8aa65cc_1730624127_0487.jpg



4ecf66590edeee5fa781a996c8aa65cc_1730624127_2921.jpg



4ecf66590edeee5fa781a996c8aa65cc_1730624127_5174.jpg



4ecf66590edeee5fa781a996c8aa65cc_1730624127_7339.jpg



4ecf66590edeee5fa781a996c8aa65cc_1730624127_9317.jpg



4ecf66590edeee5fa781a996c8aa65cc_1730624128_1223.jpg



4ecf66590edeee5fa781a996c8aa65cc_1730624128_3312.jpg



4ecf66590edeee5fa781a996c8aa65cc_1730624128_5357.jpg



4ecf66590edeee5fa781a996c8aa65cc_1730624134_1746.jpg



4ecf66590edeee5fa781a996c8aa65cc_1730624134_4031.jpg



4ecf66590edeee5fa781a996c8aa65cc_1730624134_6652.jpg



4ecf66590edeee5fa781a996c8aa65cc_1730624134_8993.jpg



4ecf66590edeee5fa781a996c8aa65cc_1730624135_1338.jpg



4ecf66590edeee5fa781a996c8aa65cc_1730624135_3663.jpg
 

남해 낚시배

풍성호

갯바위, 선상전문

010 8543 6227

055 867 6232

구주소 : 경남 남해군 미조면 미조리 184-55 풍성호

신주소 : 미조면 미조로 318번길 18 풍성호

*전화문의&영업시간*

출조시간 : 전화 문의 부탁드립니다.

(기상조건에 따라 변동됩니다)


 

0 댓글
포토 제목
 
 

인낚 최신글


인낚 최신댓글


온라인 문의 안내


월~금 : 9:00 ~ 18:00
토/일/공휴일 휴무
점심시간 : 12:00 ~ 13:00