- 당일 조황을 올리셔야 합니다. - 지난 조황은 2일이내 미등록 조황만 가능합니다. - 이미 올린 조황을 붙여넣기하여 계속 등재하시면 중복조황에 해당합니다. - 당일 조황을 올리면서 이전 조황을 같이 올리면 중복조황에 해당합니다. - 조황없는 출조정보는 출조정보 게시판을 이용하시길 바랍니다. - 올린 글 삭제하고 다시 올려 상단에 올리려는 방법, 이용규칙 위반입니다. - 제목에 특수문자 사용하시면 안됩니다. (온점, 쉼표, 느낌표, 괄호, 물결만 허용) ☆ 공지사항에 '조황등재시 유의사항' 게시글을 꼭 확인하시고 조황작성 부탁드리며, 가장 기본적인 규칙이 지켜지지 않을 시 예고없이 글 삭제 및 이용정지 될 수 있음을 알려드립니다. |
![]() |
|
![]() |
![]() |
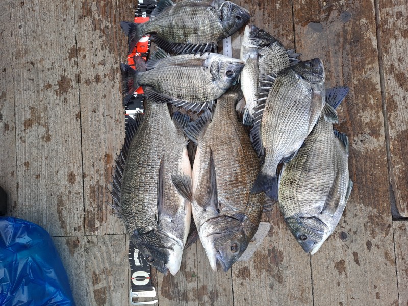
일요일 소안도 당사도 조황입니다
수온18도전후 동트면서 동풍약간씩 물색좋습니다
조류가 약할때라 걱정했는데 씨알이 기대이상으로 좋았습니다
몇포인트만 잔씨알 .. 40전후 감성돔 포인트마다 2~6 고른 조황입니다
당사도 씨알이 좋습니다 5짜까지 나왔네요
일요일 낚시하신 조사님들 수고하셨습니다
일기안좋아 주중 줄조 힘듭니다
*** (토.일) 소안도 당사도 출조합니다 ***
061 534-4009
010 5408-4906
달랴진낚시
전남 해남군 북평면 현산북평로 1133
|
|
|
|















