- 당일 조황을 올리셔야 합니다. - 지난 조황은 2일이내 미등록 조황만 가능합니다. - 이미 올린 조황을 붙여넣기하여 계속 등재하시면 중복조황에 해당합니다. - 당일 조황을 올리면서 이전 조황을 같이 올리면 중복조황에 해당합니다. - 조황없는 출조정보는 출조정보 게시판을 이용하시길 바랍니다. - 올린 글 삭제하고 다시 올려 상단에 올리려는 방법, 이용규칙 위반입니다. - 제목에 특수문자 사용하시면 안됩니다. (온점, 쉼표, 느낌표, 괄호, 물결만 허용) ☆ 공지사항에 '조황등재시 유의사항' 게시글을 꼭 확인하시고 조황작성 부탁드리며, 가장 기본적인 규칙이 지켜지지 않을 시 예고없이 글 삭제 및 이용정지 될 수 있음을 알려드립니다. |
![]() |
|
![]() |
![]() |
하누리호]욕지권 물때 상관없이 퍽퍽(일요일 새벽3시 출항)안녕 하십니까 통영 하누리호 입니다.
주말 기상이 오랜만에 좋아 출조인원
반 이상이 야영팀 이네예.
다들 안낚하시고 손맛 입맛 즐기시고 철수
하시기를 기대 합니다.
화요일까지 기상이 좋습니다.
계속해서 쭈욱 출항 합니다.
욕지권 최고의 시즌 오셔서 손맛 보시길 바랍니다.
오늘 찾아주신 분들께 감사 드립니다.
욕지권 지금 시즌 다양한 어종으로
손맛 즐길수 있습니다.
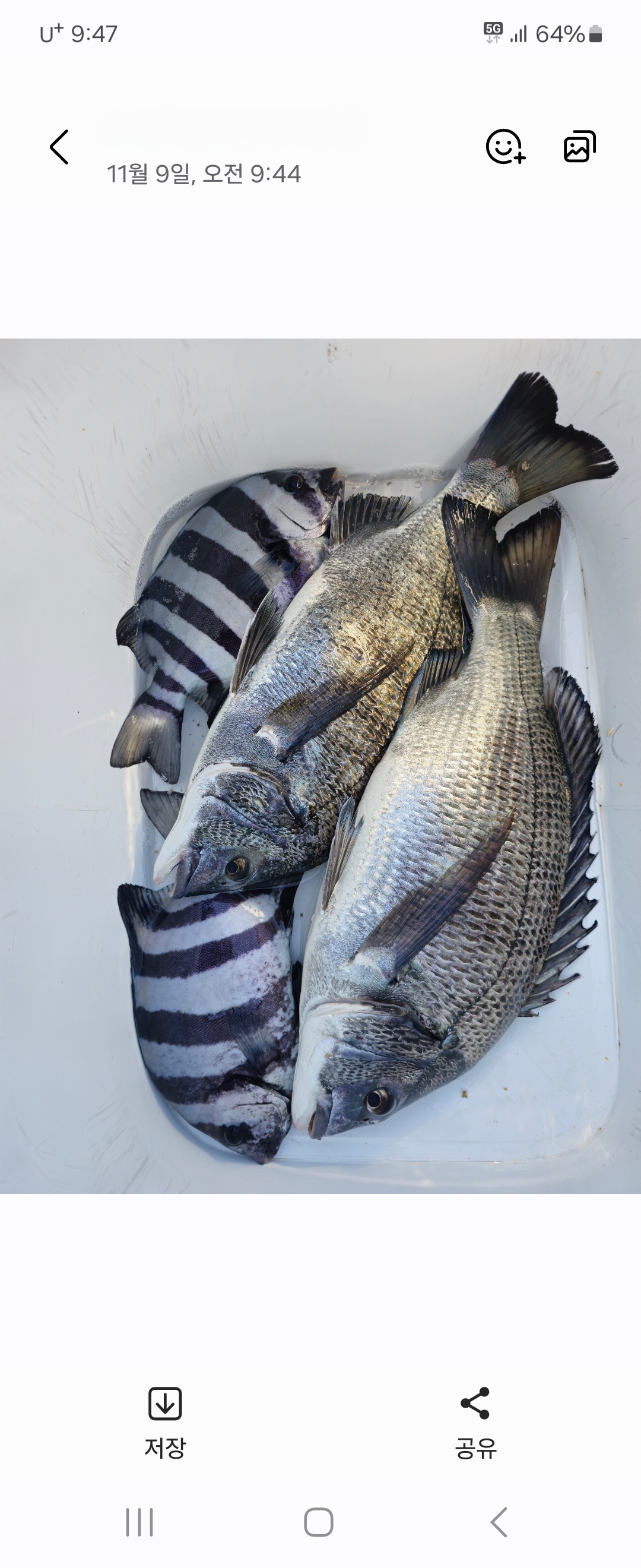
참돔 벵에돔 긴꼬리 뻰찌 감성돔
어종만 선택하시고 말씀 하시면
확률 높은 곳으로 모셔 드리겠습니다.
여유있는 낚시를 욕지권에서 즐겨 보시기
바랍니다.
조금 빠른 예약은 많은 도움이 됩니다.
주말 월요일 출조안내
일요일 새벽3시 당일 및 야영 출항
일요일 오후1시 야영 출항
월요일 새벽4시 당일 및 야영 출항
월요일 오후1시 야영 출항
철수는 오후2시에 합니다.
선비는 욕지권 전역 6만원 입니다.
야영비 없습니다.
기상에 따라 출조시간은 변경될수도 있습니다.
선장 : 010 - 3564 - 3429
선장 부재시 마눌폰 010 - 4528 0065
통영시 산양읍 연명길 18
하누리 피싱
하누리 피싱 밴드에 초대 합니다.
실명 가입을 부탁 드립니다.
점주분이나 선장은 가입을 정중히 거절 합니다.
https://band.us/band/69048143/post/555
아래는 현재 즐낚중인 실시간 조황 입니다.
오늘도 대부분 포인트에서 손맛보고 계시네예.
5짜 참돔 4짜 감성돔이 제법 보이고
뻰찌 벵에돔도 잘 나오고 있다 하십니다.
사이즈 좋은 긴꼬리도 보이네예.
지금 현재 욕지권 바다상항 입니다.
북동풍이 조금 불어도 춥지도 않고 좋네예.
욕지권 대물급 감성돔 도전해 보시길 바랍니다.
|
|
|
|




















