- 당일 조황을 올리셔야 합니다. - 지난 조황은 2일이내 미등록 조황만 가능합니다. - 이미 올린 조황을 붙여넣기하여 계속 등재하시면 중복조황에 해당합니다. - 당일 조황을 올리면서 이전 조황을 같이 올리면 중복조황에 해당합니다. - 조황없는 출조정보는 출조정보 게시판을 이용하시길 바랍니다. - 올린 글 삭제하고 다시 올려 상단에 올리려는 방법, 이용규칙 위반입니다. - 제목에 특수문자 사용하시면 안됩니다. (온점, 쉼표, 느낌표, 괄호, 물결만 허용) ☆ 공지사항에 '조황등재시 유의사항' 게시글을 꼭 확인하시고 조황작성 부탁드리며, 가장 기본적인 규칙이 지켜지지 않을 시 예고없이 글 삭제 및 이용정지 될 수 있음을 알려드립니다. |
![]() |
|
![]() |
![]() |
반갑습니다.^^
거제 대포항 *스타피싱* 그선장 입니다.^^
저히 스타피싱의 쎌프 스타벅스 휴게실 입니다.^^
더울때는 시원하게 추을때는 따듯하게 출조시 시간을 여유롭게 오셨어
차와 간단한 간식 식사등 드실수있도록 모든준비를 하였습니다.
[출조문의 예약= = 010-3530-8877]
[예약받는시간 08시~22시까지}
[통화가 안될시 문자남겨주시면 연락드리겠습니다.]
출항 30분 전에 도착 부탁드립니다^^.........
반갑습니다.^^
거제 대포항 스타피싱 그선장 입니다.
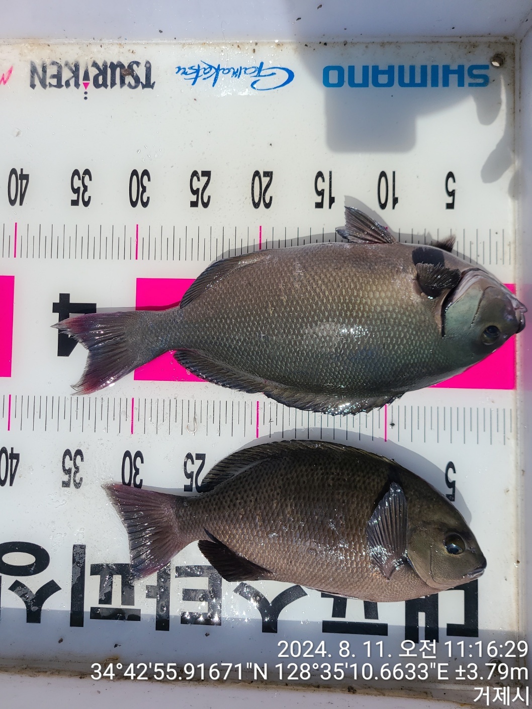
8월 9.11일 주말구을비도와 매물도권 출조 조황소식 입니다.
많이 무덥지만 주말까지 좋은바다기상속에 출조가 이루어 젔습니다.
허나 오늘오후부터 강한 북동풍이 불어오네요.
한 몆일은 다소강한 북동풍이불것으로 보여짐니다.
좀 적당히 시원할만큼만 불어주면 좋을텐데 쫌 씨게부네요. ㅡㅡ"
주말 많은 마릿수는 아니지만 씨알급 긴꼬리들은 여전히 나와주고 있습니다.
요즘 한밤중에도 부쉐이가 입질을 해댄다고 하시네요.ㅋㅋ
야들이 더위를 묵었나 봅니다.ㅋ ㅋ
매물도권에서는 참돔들과 간간히 마릿수 벵에돔들을 볼수가 있는 상황 입니다.
아무래도 물때가 물때인지라 많은 마릿수는 볼수가 없는 현제의 상황 입니다.
특히 새벽출조를 하실때 국산 청개비 한통챙겨가시면 새벽에 긴꼬리나 참돔을 같이노려보셔도 좋겠습니다.
찌는 전자찌 0~B 찌까지 사용하시면 되겠습니다.
새벽낚시는 철저히 겟바위 가장자리 위주로 낚시를 하시면 되겠습니다.
이제는 무더위를 대비하며 출조를 하셔야겠습니다.
구름없는 한낮의 더위는 그 열기가 상당합니다.
출조시 큰우산이나 파라솔 충분한 얼음내수등 철저히 챙기시고 출조를 하셔야 하겠습니다.
구을비도권과 매물도권 전역으로 부시리들의 습격이 슬 많아지고있는듯 합니다.
긴꼬리나 벵에돔 밑밥을 순비하실때 크릴의 양을 소량으로 사용하시고 클릴또한 잘게 사용하시는것이 좋을듯 합니다.
당분간은 좋은바다기상이 이어지겠습니다.
그만큼 덥고 뜨겁우니 준비도 철철히 하시고 출조를 하셔야겠습니다.
밤"뽈락 조황역시 쭉~ 이어지고 있습니다.
기상만 허락된다면 매일 구을비도 와 매물도권으로 출항 합니다.
매물도권 구을비도권 다 참돔 긴꼬리 벵에돔등 다양하게 노려보셔도 되겠습니다.^^
스타피싱은 구을비도권 매물도권 출조 새벽출조 오후바리출조로 출조중입니다.
늘 그렇듯 모둔분들께서 손맛을 보시길 바래보지만 모든분들이 다 손맛을 보시지는 못하셨습니다.
그선장 늘 많은분들께서 손맛을 즐기실수 있도록 더욱더 노력하겠습니다.^^
출항전 하선하시고싶은 섬 대매물도:소매물도 미리 이야기해주시면 최대한 맞추어 드리도록 하겠습니다.
마 그냥 선장님 촉대로 내려주이소 하시믄 손맛보십니데이~ㅋㅋㅋ
다녀가신 조우님들 수고많으셨습니다.
감사합니다.^^
그선장 기상이 허락하는날은 밤출조 새벽출조 오전 오후리리출조 쭉~달림니다.^^
###저희 스타피싱 주 출조지는 구을비도 매물도""대덕도"가왕도"죽도"대포권 등 입니다.###
"스타피싱" 매물도 및 준내만권 진입하는 최단거리 최단시간의 출항지 입니다.^^
***매물도권 준내만권 밤"뽈락" 출조합니다***
***출조 오후17시30출조 ~ 철수: 24시00분 03시00분 철수
** 기상등 현지사정으로 출조시간이 변경될수도 있으니 반드시 예약전화로 확인바랍니다
**대물을 낚으셔서 무료승선권 많이많이 받아가셔유~~^^
@@벵에돔 40cm 이상 1장 50cm 이상 2장 @@
@@벵에돔 30cm 이상 10마리이상 1장 @@
@@참돔 70cm 이상 1장 80cm 이상 2장@@
@@감성돔 50cm 이상 1장 55cm 이상 2장@@
@@볼락 30cm 이상 1장
**주말출조시간은 기상에따라 변동적일수있으므로 문의부탁 드리겠습니다
매물도 구을비도 출조는 예약제로 운영하오니 출조문의 예약번호로 예약부탁드립니다
가게 예약전번으로 010 3530 8877 연락주시면 되겠습니다.^^
네비주소 : 경남 거제시 남부면 대포길 62-1
준 비 물 : 신분증 구명조끼 참,야영시에는 텐트.취사도구는 단속대상입니다 (참고하세요)
언제나 저희 스타피싱 낚시를 찾아주신조사님들께 감사드립니다(^^)
|
|
|
|





























