- 당일 조황을 올리셔야 합니다. - 지난 조황은 2일이내 미등록 조황만 가능합니다. - 이미 올린 조황을 붙여넣기하여 계속 등재하시면 중복조황에 해당합니다. - 당일 조황을 올리면서 이전 조황을 같이 올리면 중복조황에 해당합니다. - 조황없는 출조정보는 출조정보 게시판을 이용하시길 바랍니다. - 올린 글 삭제하고 다시 올려 상단에 올리려는 방법, 이용규칙 위반입니다. - 제목에 특수문자 사용하시면 안됩니다. (온점, 쉼표, 느낌표, 괄호, 물결만 허용) ☆ 공지사항에 '조황등재시 유의사항' 게시글을 꼭 확인하시고 조황작성 부탁드리며, 가장 기본적인 규칙이 지켜지지 않을 시 예고없이 글 삭제 및 이용정지 될 수 있음을 알려드립니다. |
![]() |
|
![]() |
![]() |
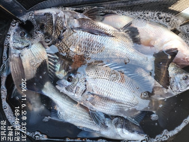
미조권 갯바위 조황입니다^^( 감성돔 최대어 이벤트 진행중~~)반갑습니다^^
미조낚시천국 입니다~
오늘도 감성돔과 벵에돔, 돌돔을 많이 잡아오십니다^^
요즘 벵에돔이 30을 훌적 넘기네요~~
감성돔 이벤트가 진행되고 있으니 많은 참여 부탁드립니다~~
오늘도 출조해서, 조황을 올려주신 조사님들 감사드리고, 귀가길 안전하게 돌아가시길 바랍니다^^
저희는 항상 최선을 다해 포인트 선정과 가이드를 약속드립니다^^
연락주시고, 예약바랍니다^^
출조시간은 예약하시는 분들에 따라, 달라질수 있으니, 필히 예약하시기 바랍니다^^
혼자오실때는 전날 예약부탁드립니다. 맞춰서 나갈수 있도록 시간을 가지고 미리 예약바랍니다^^
오늘도 출조하신 조사님들 수고하셨습니다.내일도 출조하실 조사님들 전화주시고요^^
항상 최선의 가이드를 약속드립니다
감사합니다^^
■ 미조권 포인트 ■
모도 (띠섬) / 반여 / 율도(밤섬) / 호도(범섬) / 예도(쑥섬) / 사도(뱀섬)
죽암도 / 빗바위 / 미도(쌀섬)/목과도/노루여/가문여 / 고도(외섬)
= ■ 출조시간 ■ =
♣♣ 출조시간 : 주말 - 새벽 5시 첫배 입니다. ^^
: 평일 - 새벽 5시 첫배 입니다.(매월 2째,4째 화요일 쉽니다~~)
♣♣ 출조문의 : ☎ (055) 867-3613 ☎ 010-8440-9833
♣♣ 철수시간 : 주말에는 야영철수를 제외하고 1시,3시,5시철수합니다
(기타 상황에따라 유동적으로 철수가 이뤄질수 있습니다.)
♣♣ 전화문의는 저녁 8시전 까지 해주시고, 이후에는 문자나 카톡으로 남겨주시면
감사하겠습니다. (8시 이후에는 무음이라 받지않습니다^^ )
■ 미조낚시천국 : 010-8440-9833 / 055-867-3613
■ 낚시천국호 선장 : 010-8670-3613
미조낚시천국에서는 항상 초심을 잃지않고, 조사님들의 즐거운 낚시여행이 될수있도록
최선의 노력을 다 할 것입니다.
■ 네비주소: 경남 남해군 미조면 미조로 212 미조낚시천국 (미조리아님)
■ 네비구주소 : 경남 남해군 미조면 미조리 168-45번지
♣♣ 출조시간 : 주말 - 새벽 5시 첫배 입니다 ^^
: 평일 - 새벽 5시 첫배 입니다.
♣♣ 출조문의 : ☎ (055) 867-3613 ☎ 010-8440-9833
♣♣ 전화문의는 저녁 8시전 까지 해주시고, 이후에는 문자나 카톡으로 남겨주시면
감사하겠습니다.(8시 이후에는 무음이라 받지않습니다^^ )
|
|
|
|






















