- 당일 조황을 올리셔야 합니다. - 지난 조황은 2일이내 미등록 조황만 가능합니다. - 이미 올린 조황을 붙여넣기하여 계속 등재하시면 중복조황에 해당합니다. - 당일 조황을 올리면서 이전 조황을 같이 올리면 중복조황에 해당합니다. - 조황없는 출조정보는 출조정보 게시판을 이용하시길 바랍니다. - 올린 글 삭제하고 다시 올려 상단에 올리려는 방법, 이용규칙 위반입니다. - 제목에 특수문자 사용하시면 안됩니다. (온점, 쉼표, 느낌표, 괄호, 물결만 허용) ☆ 공지사항에 '조황등재시 유의사항' 게시글을 꼭 확인하시고 조황작성 부탁드리며, 가장 기본적인 규칙이 지켜지지 않을 시 예고없이 글 삭제 및 이용정지 될 수 있음을 알려드립니다. |
![]() |
|
![]() |
![]() |
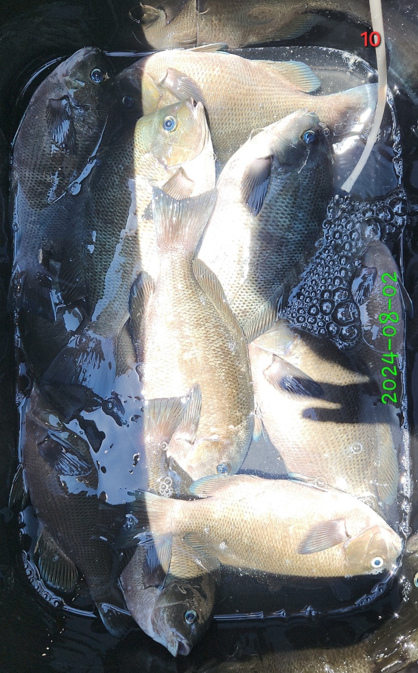
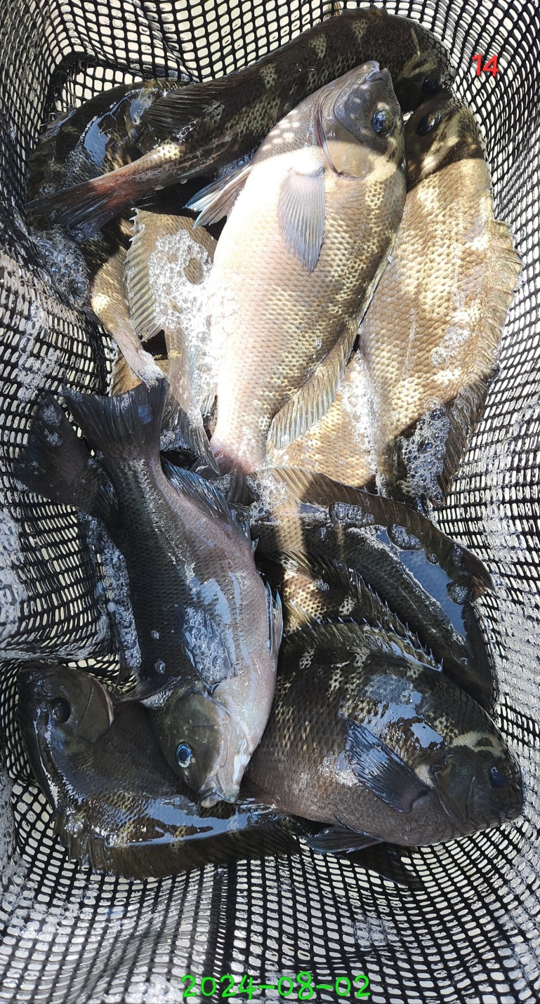
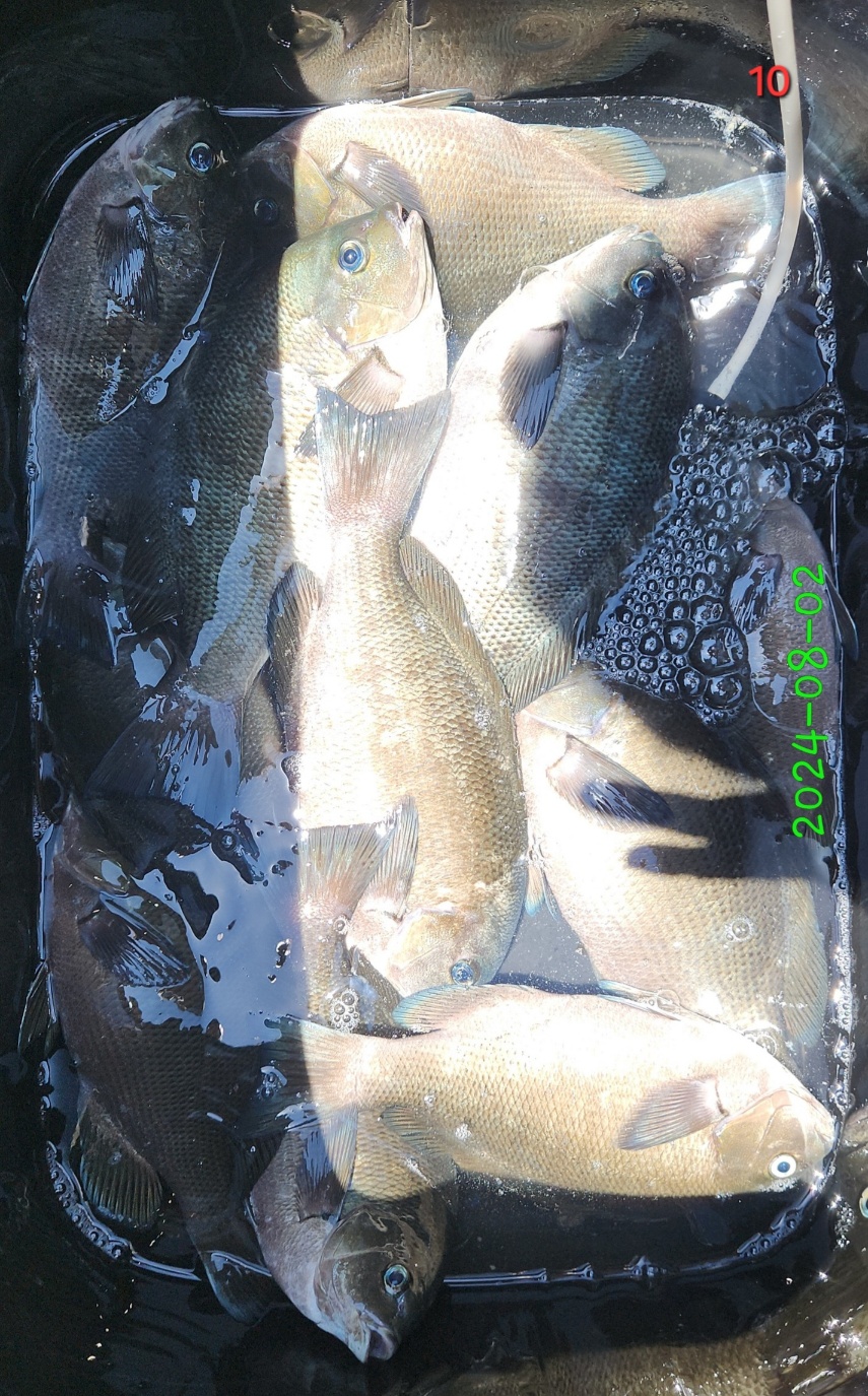
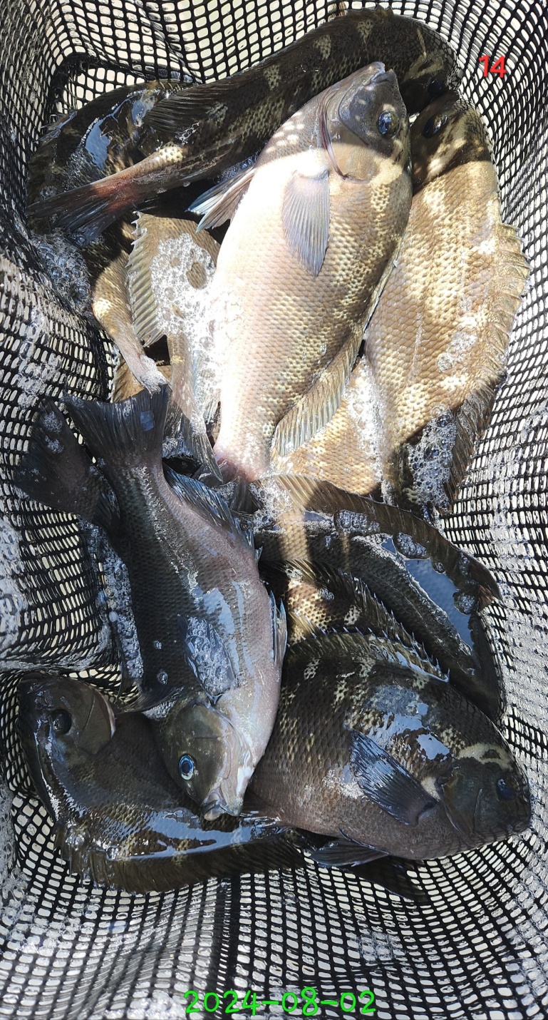
구을비도. 매물도. 용초도 (벵에돔. 참돔 "굿")오늘 조과 전해드립니다
해무와 다소의 너울이 있었던 출조 길이었습니다
용초도 매물도 구을비도로 폭넓게 포인트를 선정하였습니다
일반 벵에돔 조과가 월등히 좋았으며ㆍ용초권은 전 포인트 마리수 조과를 올렸습니다
매물도 및 구을비도는 일반 벵에돔 참돔 부시리로 손맛보셨으며 채비 터짐은 계속되네요
전체적으로 만족하는 조과로 하루 출조를 마무리 하였습니다
내일과 모레 구을비도 매물도 용초도 예약 가능합니다ㆍㆍ참고
촐조하신 분 수고 많으셨습니다
사진은 오늘 조과입니다
●● 새벽 출조 후 첫 철수는 12시 전후이며 낮 출조는 오전 10시30분 집결 출조합니다ㆍㆍ참고
● 야영 및 당일 낮 출조는 하루 전날 미리 예약 부탁드립니다
● 매일 새벽 (국도. 간여. 대.소구을비도. 소지도. 매물도. 용초도) 집중 출조 중입니다ᆢ(출조 시간은 문의 주세요)
●선단 출조지
● 뉴바다세계호 9.77톤 (국도. 간여. 소지도) 직항 출조
● 바다세계 2호 9.77톤 (구을비도. 매물도. 용초도) 직항 출조
●평일 및 기상에 따라 출조와
철수 시간이 다소 변동이 발생
할 수 있습니다ㆍ사전 문의
●대한민국에서 가장 빠른 9.77톤
뉴 바다세계호로 안전하고 즐거운
낚시 여행이 되시길 기원합니다
● 뉴 바다세계 (국도 진입ㆍ30여분 소요)
●● 네이버 밴드(거제가자피싱랜드 조황 밴드)에서 실시간 자세한 조황 확인 가능
● 주소
1.거제 가배항
2.거제시 거제남서로 2271-1
● 문의
(국도. 간여. 소지도) ㆍ010 4111 7369
(대ㆍ소구을비도. 매물도. 용초도) ㆍ010 3551 7369
거제가자피싱랜드입니다 주 출조 선박 뉴 바다세계호는 2024년 최 신조선으로 9.77톤이며 최고 속력 37노트 평속 23 - 27노트로 운항 출조지 1호ㆍ용초도. 죽도. 추봉도. 비진도 2호ㆍ구을비도 매물도로 주 출조하며 3호ㆍ간여 및 국도 출조
|
|
|
|






















