- 당일 조황을 올리셔야 합니다. - 지난 조황은 2일이내 미등록 조황만 가능합니다. - 이미 올린 조황을 붙여넣기하여 계속 등재하시면 중복조황에 해당합니다. - 당일 조황을 올리면서 이전 조황을 같이 올리면 중복조황에 해당합니다. - 조황없는 출조정보는 출조정보 게시판을 이용하시길 바랍니다. - 올린 글 삭제하고 다시 올려 상단에 올리려는 방법, 이용규칙 위반입니다. - 제목에 특수문자 사용하시면 안됩니다. (온점, 쉼표, 느낌표, 괄호, 물결만 허용) ☆ 공지사항에 '조황등재시 유의사항' 게시글을 꼭 확인하시고 조황작성 부탁드리며, 가장 기본적인 규칙이 지켜지지 않을 시 예고없이 글 삭제 및 이용정지 될 수 있음을 알려드립니다. |
![]() |
|
![]() |
![]() |

.
.
.
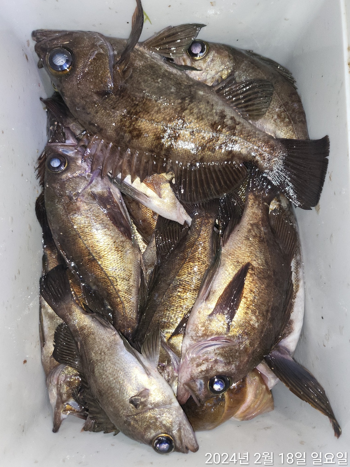
" 폴라리스피싱입니다 "
갯바위 밤 볼락출조조황입니다
많은 마릿수보다는 굵직한 씨알볼락들로 손맛보고 올수있었습니다
몇일 기상이 안좋은 예보에 출조는 힘들지않을까 생각합니다
괜찮아지는 날씨에 다시금 출조해보겠습니다
출조하신 조사님들 수고하셨습니당 꾸벅!!!!
|
|
|
|




















