"감성돔" 4짜 4짜 4짜 4짜 4짜 4짜 4짜외 "밤볼락"

신상품 소개


회원 랭킹


공지사항


NaverBand
점주/선장 > 갯바위 조황

▶ 지켜주세요! ◀
 
 - 당일 조황을 올리셔야 합니다. 
 - 지난 조황은 2일이내 미등록 조황만 가능합니다. 
 - 이미 올린 조황을 붙여넣기하여 계속 등재하시면 중복조황에 해당합니다. 
 - 당일 조황을 올리면서 이전 조황을 같이 올리면 중복조황에 해당합니다.
 - 조황없는 출조정보는 출조정보 게시판을 이용하시길 바랍니다. 
 - 올린 글 삭제하고 다시 올려 상단에 올리려는 방법, 이용규칙 위반입니다. 
 - 제목에 특수문자 사용하시면 안됩니다. (온점, 쉼표, 느낌표, 괄호, 물결만 허용)

 ☆ 공지사항에 '조황등재시 유의사항' 게시글을 꼭 확인하시고 조황작성 부탁드리며, 가장 기본적인 
    규칙이 지켜지지 않을 시 예고없이 글 삭제 및 이용정지 될 수 있음을 알려드립니다. 
 
b_hot_innakmall_200x80_240307.jpg b_hot_innakmall_200x80_220704.jpg b_hot_ggsusan_hongeu_200x80.gif b_hot_innakmall_200x80_211203.gif

"감성돔" 4짜 4짜 4짜 4짜 4짜 4짜 4짜외 "밤볼락"

거제가자피싱랜드 0 827
● 출항지 : 거제

619307ee4a0ac2e48892149e616b1383_1707531013_4741.jpg



619307ee4a0ac2e48892149e616b1383_1707531014_1449.jpg



619307ee4a0ac2e48892149e616b1383_1707531014_5344.jpg



619307ee4a0ac2e48892149e616b1383_1707531014_9591.jpg



619307ee4a0ac2e48892149e616b1383_1707531015_398.jpg



619307ee4a0ac2e48892149e616b1383_1707531016_0413.jpg



619307ee4a0ac2e48892149e616b1383_1707531016_5564.jpg



619307ee4a0ac2e48892149e616b1383_1707531016_9854.jpg



619307ee4a0ac2e48892149e616b1383_1707531017_4161.jpg



619307ee4a0ac2e48892149e616b1383_1707531017_8744.jpg



619307ee4a0ac2e48892149e616b1383_1707531043_4657.jpg



619307ee4a0ac2e48892149e616b1383_1707531044_1301.jpg



619307ee4a0ac2e48892149e616b1383_1707531044_6776.jpg



619307ee4a0ac2e48892149e616b1383_1707531045_5662.jpg



619307ee4a0ac2e48892149e616b1383_1707531046_6097.jpg



619307ee4a0ac2e48892149e616b1383_1707531047_076.jpg



619307ee4a0ac2e48892149e616b1383_1707531047_6066.jpg



619307ee4a0ac2e48892149e616b1383_1707531048_7029.jpg
 

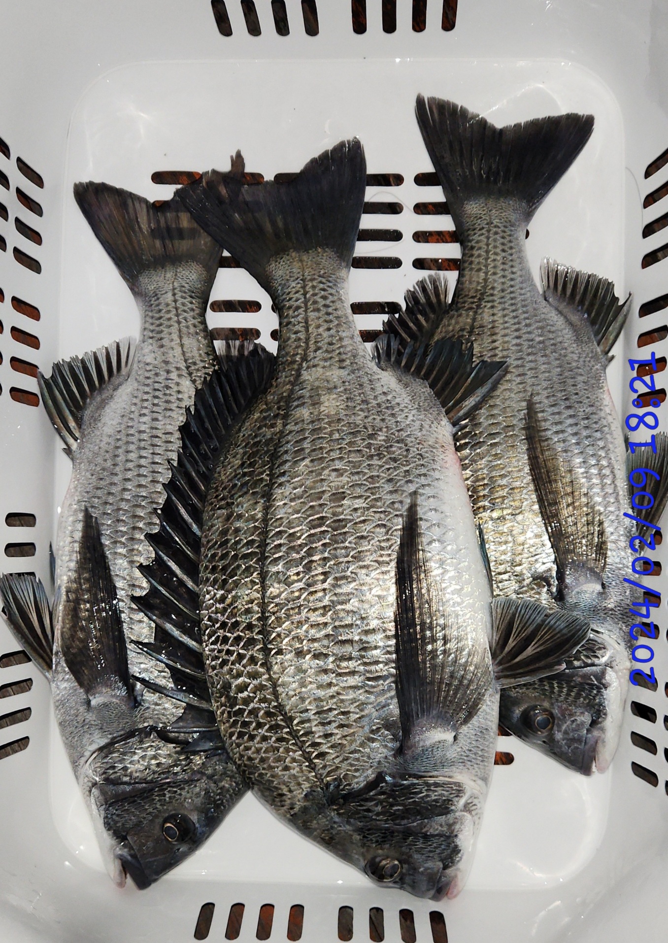
연휴 첫날 조촐하게 새벽 6시30분경 1항차 만 출조를 하였습니다


조과로는 어제에 이어 호 조황이 나왔으며 아쉽게 채비 터짐이 많아 5짜는 볼 수가 없었습니다(오늘은 5짜가 나와 있다고 하네요)


4짜 후반부터 4짜 초반으로 주 사이즈가 나와 주었으며 한정된 포인트가 아닌 폭 넓은 포인트에서 입질을 받을 수 있었습니다


감성돔 대물급 호 조황으로 달리기 시작했습니다ㆍㆍ참고


연휴 중 계속 정상 출조합니다
출조하신 분 수고 많으셨습니다
 


●● 학꽁치 출조는 첫배 06시 집결 출조ㆍ 이후는 3인이상은 항상 가능합니다ㆍㆍ참고

●● 밤볼락  및   야간 전갱이 낚시 출조 는 오후 4시 30분 집결 출조합니다ㆍ참고
      
        

●●●  네이버 밴드(거제가자피싱랜드)에서                     실시간  자세한 조황 확인하실수 있습니다
           

● 출조지  
● 3호ㆍ국도 및. 간여(고암) 및 구을비도
● 2호ㆍ대덕도. 매물도 및  구을비도
● 1호ㆍ추봉도. 용초도. 죽도. 비진도


● 주소
     1.거제  가배항
     2.거제시 거제남서로 2271-1

 

● 문의
      010  3551 7369
      010  4111 7369 


 

0 댓글
포토 제목
 
 

인낚 최신글


인낚 최신댓글


온라인 문의 안내


월~금 : 9:00 ~ 18:00
토/일/공휴일 휴무
점심시간 : 12:00 ~ 13:00