- 당일 조황을 올리셔야 합니다. - 지난 조황은 2일이내 미등록 조황만 가능합니다. - 이미 올린 조황을 붙여넣기하여 계속 등재하시면 중복조황에 해당합니다. - 당일 조황을 올리면서 이전 조황을 같이 올리면 중복조황에 해당합니다. - 조황없는 출조정보는 출조정보 게시판을 이용하시길 바랍니다. - 올린 글 삭제하고 다시 올려 상단에 올리려는 방법, 이용규칙 위반입니다. - 제목에 특수문자 사용하시면 안됩니다. (온점, 쉼표, 느낌표, 괄호, 물결만 허용) ☆ 공지사항에 '조황등재시 유의사항' 게시글을 꼭 확인하시고 조황작성 부탁드리며, 가장 기본적인 규칙이 지켜지지 않을 시 예고없이 글 삭제 및 이용정지 될 수 있음을 알려드립니다. |
![]() |
|
![]() |
![]() |

안녕하세요.
통영 제니스호 입니다
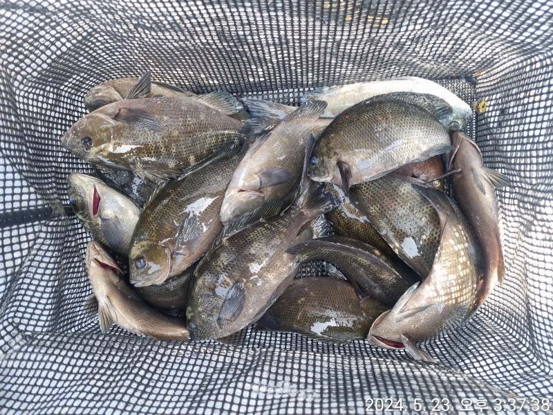
어제 조황입니다
몇분모시고 어제다녀왔습니다
긴꼴은 잡어때문에
낚시하기 너무힘들었다 하시네요
일벵은 마릿수로 잡아오셨네요
내일 동풍계열이 있지만
출조손님 계시면 출항계획잡아봅니다
좌사리 긴꼬리 참돔
욕지권 일반벵에돔
대상으로 정상출항합니다
밑에 시간때에 출항 합니다
♧공지♧
기존 동호항에서
산양면 삼덕항으로 출항지가
변경되었습니다
밑에 네비주소 참조 하시길 바랍니다
●출조시간●
목요일
03시07시 출항
금요일
03시 출항
주말/공휴일
12시/03시/07시
야영15시
(기상및 출조인원수 때문에 시간때 변동될수도
있습니다)
주요출조지
원도권: 욕지도전역(욕지본섬/초도/연화도/노대도/두미도/거칠리도/봉도/적도/등등)
좌사리/갈도
준내만권: 용초도/비진도/한산도/매물도/소지도 등등
▼ 조황사진
밴드에서는 매일 생생하게 실시간 조황을 보실수 있습니다.
'[제니스호] ★ 루어낚시 ★' 밴드
● 출조 및 조황문의
이선장 010 8693 5195
강선장 010 3824 4896
● 내비주소 : 통영시 산양면 산양일주로 1565
|
|
|
|









