▶ 지켜주세요! ◀
- 당일 조황을 올리셔야 합니다.
- 지난 조황은 2일이내 미등록 조황만 가능합니다.
- 이미 올린 조황을 붙여넣기하여 계속 등재하시면 중복조황에 해당합니다.
- 당일 조황을 올리면서 이전 조황을 같이 올리면 중복조황에 해당합니다.
- 조황없는 출조정보는 출조정보 게시판을 이용하시길 바랍니다.
- 올린 글 삭제하고 다시 올려 상단에 올리려는 방법, 이용규칙 위반입니다.
- 제목에 특수문자 사용하시면 안됩니다. (온점, 쉼표, 느낌표, 괄호, 물결만 허용)
☆ 공지사항에 '조황등재시 유의사항' 게시글을 꼭 확인하시고 조황작성 부탁드리며, 가장 기본적인
규칙이 지켜지지 않을 시 예고없이 글 삭제 및 이용정지 될 수 있음을 알려드립니다.

※ 선박 내 금연에 협조해주시면
감사하겠습니다.※
전국의 조사님들 안녕하십니까..!!
경남 통영 당포항(구,삼덕항)의
나드리호 김선장입니다...(__)
************
몇몇조사님들 모시고,
연화도로 종일및 야영 다녀왔습니다.
몇번의 터트림이 있었지만,
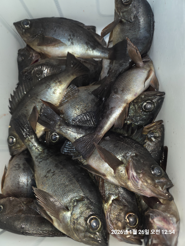
4짜중반의 감성돔과
뻰찌,상사리,부시리 등으로
재미보고 귀항했습니다.
수,목,금욜 09시에
연화도.초도,좌사리도권으로
종일낚시 정상출조합니다.
날씨좋고 물때좋은 전형적인 가을날씨에
먹이활동이 왕성한 시기라
입질받으면 몸부림이 심합니다
채비 튼튼히해서
터트리는 불상사가 없기를 바랍니다.
연화도,초도,좌사리도로
부지런히 움직여 보겠습니다.
**************
선선한 바람이 불어오는 가을철이라
연화도,초도, 좌사리도 어디를 출조하셔도
뻰찌가 살이 통통 올랐고,
마릿수도 받쳐줍니다.
참돔은
30~40cm급들이 마릿수로 올라오고
간헐적으로 대물급들이 입질을 하곤하는데
터트리기 일쑤입니다.
감성돔도
연화도/초도권에서 얼굴을 보여줍니다.
감성돔을 대상어로 열심히 쪼우시면
좋은 조과를 보일것입니다.
통큰낚시점
통영낚시점에서
때마침 감성돔을 대상어로 이벤트도 진행중이니,
꿩 먹고 알 먹고
도랑치고 가재잡고
할수있습니다.
부시리들은
엄청난 덩치급들이 돌아다니면서
조사님들을 혼쭐내줄 생각만 하고 있을겁니다.
무늬오징어도
한마리가 물어도
키로급들이 올라올때 됐습니다.
어쨌든 다양한 어종들이
조사님들의 손맛을 달래주기엔
아주 좋은 시기인것 같습니다.
현지 기상상황에 따라서
연화도/초도/욕지도/좌사리도쪽으로
출조지를 다양하게 생각하고 있습니다.
************
11월말까지
09시출항→17시에 철수하는
종일낚시에 집중하고,
15시출항시에는
야영조사님들 위주로 출조하도록 하겠습니다.
주말엔
출항및 철수시간을 다양하게
계획하도록 하겠습니다.
출조인원이 10명 이상되는 정출시에는
선장과 협의후
출항및 철수시간을
조사님들 편한 시간에
맞춰드리도록 하겠습니다.
나드리호는
과대/과장조황 올리지 않습니다.
있으면 있는대로...
없으면 없는대로...
항상 진실된 조항소식만을
전해드릴것을 약속드립니다.
************
아래에
눈요기용 조황사진과 함께
출조시간 안내해 드립니다.
통영나드리호였습니다...(_ _)
************




- 수~금욜...09시.(야영가능)
※ 토,일욜...기상이 삐리해서
이후 출조시간은
기상상황 지켜보면서
추후 안내하도록 하겠습니다.
■ 주,출조지 ■
연화도,좌사리,초도,욕지도.
※ 위 출항및 철수시간은
기상상황에 따라서
수시로 바뀔수 있습니다.
**************
※ 나드리호는 배만 운영합니다.
밑밥,미끼는 판매하지 않습니다.
저렴한곳에서
구입해오시기 바랍니다.

●11월11일부터
밤볼락출조 스타트합니다.
- 매일 16시 출항
- 철수...24시~01시.
- 포인트 이동..20시~20시30분.
● 출조지 ●
욕지도본섬,연화도,우도,내/외초도,
좌사리,갈도,노대도,거칠이.
● 나드리호는 밤볼락출조시
선상낚시는 일절 안합니다.
선상낚시를 하고싶으신 조사님들께서는
타선박에 문의 바랍니다.
● 조황사진은
100% 갯바위조황임을 알려드립니다.
********************************
※ 출조하시는 조사님들께...
사무실내에
종량제 쓰레기봉투를 비치해두었습니다.
출항전 종량제 봉투를
꼭 챙겨 가시기 바랍니다.
낚시가 끝난 후 본인의 쓰레기는
갯바위에 버리지 마시고,
반드시 종량제 봉투에 담아 오셔서
입항후
사무실 앞 지정된 장소에
버려주시기 바랍니다.
꼭!!!
**************