1/1 갯바위 51 감성돔 외 4짜 및 벵에돔 학꽁치 조황입니다.

신상품 소개


회원 랭킹


공지사항


NaverBand
점주/선장 > 갯바위 + 방파제 조황

1/1 갯바위 51 감성돔 외 4짜 및 벵에돔 학꽁치 조황입니다.

장승포낚시갈매기호 0 563
● 출항지 : 거제 ● 출조지 : 거제
* 갈매기호 조황사진은 중복촬영없이 1장씩만 촬영합니다.
[ 감성돔 5짜이상은 판떼기 1장, 들고 1장 총 2장 촬영 합니다. ]

* 출조 전 전화문의 필수 입니다. *

* 저녁 8시 이후 전화문의는 자제 부탁드립니다.*

작은선장 : 010 6663 4348
큰선장 : 010 3853 5027
가게 : 055 682 3636

1. 바다상황 및 간단조황 내용

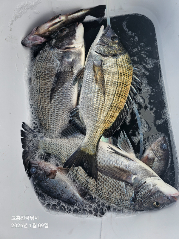
2026년 1월 1일 목요일 갯바위 조황입니다.

새해 복 많이 받으세요 : )

오늘 바다상황도 강한 북풍 탓에 낚시가 많이 힘들었습니다.

오늘은 조황은 좋지않은 바다상황속에서 51 대물 감성돔을 비롯하여 4짜 전후의 감성돔들과 20초중반 사이즈의 벵에돔 마릿수, 학꽁치가 나와주었습니다.

앞으로도 좋은 조황이 이어지기를 바래봅니다.

아쉬운 손맛으로 돌아가신 조사님들께서도 다음번에는 꼭 좋은 손맛 보시길 기원합니다.
출조하신 조사님들 고생하셨습니다.

1월 3일 토요일 정상출조 합니다.

저희 장승포낚시 (갈매기호)를 이용해 주셔서 감사 드립니다.


2. 출조안내

~ 출조지 ~
장승포 / 양지암 / 지심도(겨울철은 문의 필수!)

~ 출조점 주소 ~
경상남도 거제시 장승로103 ( 장승포 낚시점 )

~ 출조시간 ~
바다 상황에 따라 변동되므로 유선 문의 부탁드립니다.

~ 철수시간 ~ ( 상황에 따라 변동 가능성 있습니다. )
11시 / 13시 / 15시 / 17시

~ 갯바위 출조선비 ~
1인 25,000원

~ 20시 이후 문의 사항은 다음날 오전에 부탁드리며, 문자나 카톡문의는 확인이 어려울 수 있으니 꼭 전화문의 부탁드립니다. ~

~ 주의보나 악기상시에는 출조가 어려울 수 있으니 꼭 출조 문의 후 방문 부탁드립니다. ~


3. 당부사항

~ 갯바위 철수 전 쓰레기 수거와 갯바위 청소는 기본 중 기본입니다. ~

~ 70세 이상 조사님은 보호자 및 동행자가 없을 시 단독출조가 불가합니다. ~

~ 출조시에는 갯바위화 착용을 권고드리며, 신분증 지참과 구명조끼 착용은 필수 입니다. ~

~ 여름철 갯바위에 모기가 많습니다. 모기약 꼭 챙기시길 당부드립니다. ~

~ 항상 안전에 유의하시어 즐거운 낚시가 되시기 바랍니다. ~


4. 기타사항

~ 낚시점 또한 함께 운영하므로 밑밥, 미끼( 지렁이포함 )도 판매하고 있습니다.
따로 준비해오셔도 무관하오니 편하게 방문해주시기 바랍니다. ~

~ 밴드회원에 한하여 쿠폰을 드리고 있습니다. 1회 출조당 당일날만 1장씩 드리며, 10장 취득시 1회 무료출조가 가능합니다.
단, 쿠폰으로 인한 무료출조시에는 쿠폰이 지급되지 않습니다.
~

[밴드 초대장]
갈매기호 작은슨장님이 당신을 '장승포낚시(갈매기호)' 밴드에 초대합니다.
초대를 수락하고 우리 모임에 함께해요!
https://band.us/n/afa5AdG8Xeg6c

  • 페이스북으로 보내기
  • 트위터로 보내기
  • 구글플러스로 보내기
  • 카카오스토리로 보내기
  • 네이버밴드로 보내기
  • 네이버로 보내기
  • 텀블러로 보내기
  • 핀터레스트로 보내기
0 댓글
포토 제목
 
 

인낚 최신글


인낚 최신댓글


온라인 문의 안내


월~금 : 9:00 ~ 18:00
토/일/공휴일 휴무
점심시간 : 12:00 ~ 13:00