하누리호]욕지권 5짜 4짜 감성돔과 참돔 벵에돔(낼 새벽5시 출항)

신상품 소개


회원 랭킹


공지사항


NaverBand
점주/선장 > 갯바위 + 방파제 조황

하누리호]욕지권 5짜 4짜 감성돔과 참돔 벵에돔(낼 새벽5시 출항)

하누리피싱 0 93
● 출항지 : 통영 ● 출조지 : 통영
밴드 바로가기




안녕 하십니까 통영 하누리호 입니다.


오늘도 좋은 기상에 열낚들 하고 계십니다.


5짜급 감성돔과 4짜 후반급 감성돔이 보입니다.


참돔 벵에돔도 좋아 보입니다.


여전히 덩치급 감성돔이 보여주고 있네예.


내일 소량의 비소식이 있어 보이지만 낚시에는


지장이 없어 보입니다.


당일과 야영 부지런히 다녀 보겠습니다.


새벽녁은 제법 쌀쌀 합니다.


출조시 꼭 방한에 신경 쓰셔서 출조 바랍니다.


조금 빠른 예약은 많은 도움이 됩니다.







 목요일 금요일 출조안내



목요일 새벽4시 당일 및 아영 출항


금요일 새벽5시 당일 및 야영 출항


철수는 오후3시에 합니다.




선비는 욕지권 전역 6만원 입니다.


야영비 없습니다.

  

 

기상에 따라 출조시간은 변경될수도 있습니다.





선장 : 010 - 3564 - 3429


선장 부재시 마눌폰 010 - 4528  0065


통영시 산양읍  연명길 18 


하누리 피싱




하누리 피싱 밴드에 초대 합니다.


실명 가입을 부탁 드립니다.


점주분이나 선장은 가입을 정중히 거절 합니다.


https://band.us/band/69048143/post/555







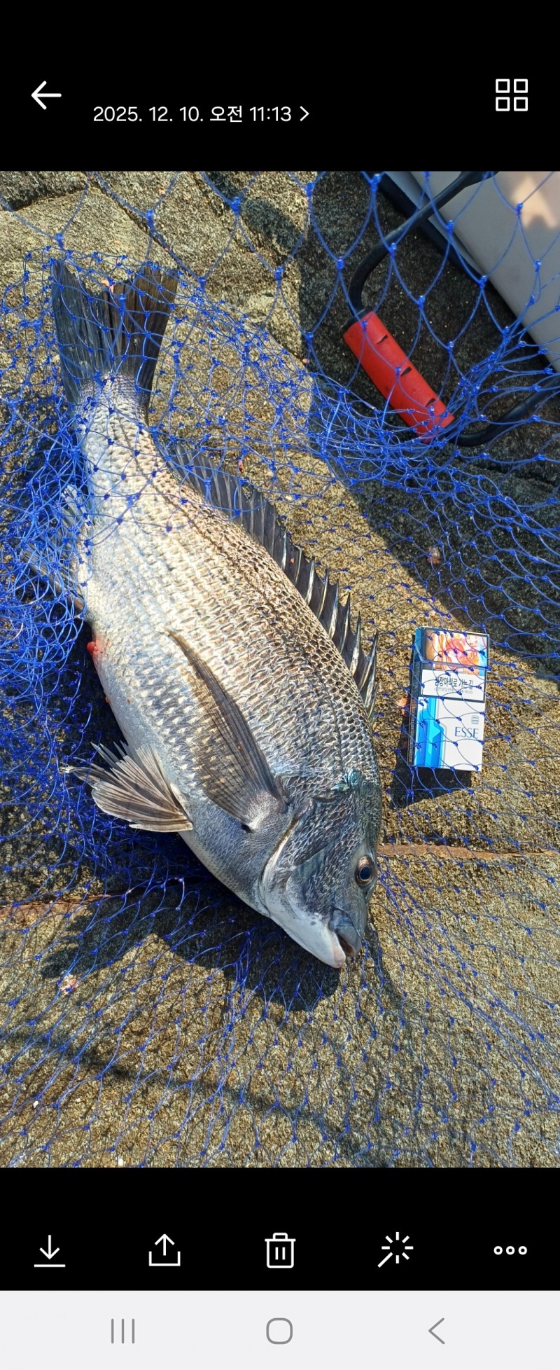
현재 실시간 조황 입니다.


14768e38f3d9e184145d7bf31c804000_1765333162_1172.jpg



14768e38f3d9e184145d7bf31c804000_1765333162_9411.jpg



14768e38f3d9e184145d7bf31c804000_1765333163_7308.jpg



14768e38f3d9e184145d7bf31c804000_1765333164_5947.jpg





오늘도 5짜급 감성돔이 나와주고 있네예.


마리수는 떨어져 보이지만 걸면 덩치급 입니다.


참돔 벵에돔(긴꼬리)도 좋아 보입니다.


평일 텅빈 포인트가 아쉽기만 합니다.


덩치급 감성돔이 꾸준히 나오고 있습니다.


수시로 채비점검 하시어 대물 감성돔을


품에 안아 보시길 바랍니다.





감성돔이 아니더라도 참돔 벵에돔 뻰찌도 


손맛 보실수 있습니다.


욕지권 감성돔 파워가 장난 아닙니다.


많이 터지고 있으니 목줄관리 철저히 하시고


한단계 높이 사용하셔도 좋아 보입니다.






아래는 어제 철수 조황 입니다.


14768e38f3d9e184145d7bf31c804000_1765333390_6477.jpg



14768e38f3d9e184145d7bf31c804000_1765333391_5934.jpg



14768e38f3d9e184145d7bf31c804000_1765333392_1504.jpg



14768e38f3d9e184145d7bf31c804000_1765333392_6915.jpg



14768e38f3d9e184145d7bf31c804000_1765333393_1699.jpg


밑밥과 채비 운용만 잘 하시면


충분히 마리수  가능해 보입니다.







14768e38f3d9e184145d7bf31c804000_1765333096_8477.jpg



14768e38f3d9e184145d7bf31c804000_1765333097_3391.jpg



14768e38f3d9e184145d7bf31c804000_1765333098_094.jpg


지금 현재 욕지권 바다 상항 입니다.


많이 춥지도 않고 좋습니다.










acbfec442e0ed5b6886c477f9ea7da4a_1758780806_1239.png


 통영 낚시 푸짐한 이벤트 시작 했으니


도전해 보십시요.

 

  • 페이스북으로 보내기
  • 트위터로 보내기
  • 구글플러스로 보내기
  • 카카오스토리로 보내기
  • 네이버밴드로 보내기
  • 네이버로 보내기
  • 텀블러로 보내기
  • 핀터레스트로 보내기
0 댓글
포토 제목
 
 

인낚 최신글


인낚 최신댓글


온라인 문의 안내


월~금 : 9:00 ~ 18:00
토/일/공휴일 휴무
점심시간 : 12:00 ~ 13:00