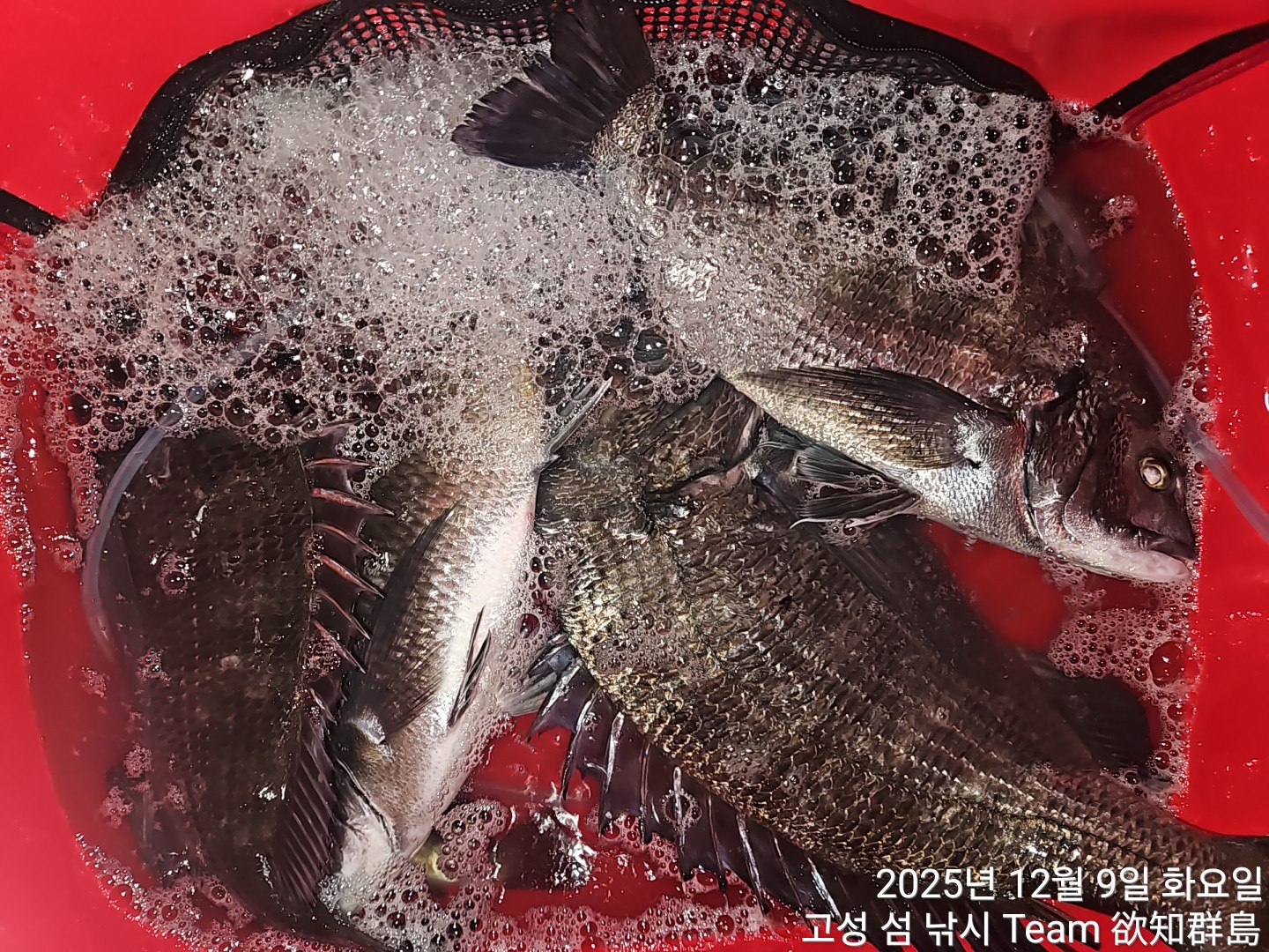
욕지군도] 전투 종일 낚시 50/49/47/45/45/4외 탱크 1방씩 터지는 조황입니다.

신상품 소개


회원 랭킹


공지사항


NaverBand
점주/선장 > 갯바위 + 방파제 조황

욕지군도] 전투 종일 낚시 50/49/47/45/45/4외 탱크 1방씩 터지는 조황입니다.

고성섬낚시 0 83
● 출항지 : 고성 ● 출조지 : 통영
12월 9일 (화) 전투 종일 낚시 고성 출발, 욕지군도 갯바위 낚시 출조 "고성 섬 낚시" 조황입니다.


★12월 11일 (목) 욕지군도 갯바위 낚시 "예약 가능" 전투 종일 낚시
★12월 12일 (금) 욕지군도 갯바위 낚시 "예약 가능" 전투 종일 낚시
★12월 13일 (토) 욕지군도 갯바위 낚시 "예약 가능" 1항차 2항차
★12월 14일 (일) 욕지군도 갯바위 낚시 "예약 가능" 1항차 2항차


욕지군도] 전투 종일 낚시 50/49/47/45/45/4외 탱크 1방씩 터지는 조황입니다.



※10월 28일 화요일부터 전투 종일 낚시 시행합니다.
주말 종일 낚시는 인원 제한으로 미리 연락주셔서 문의해주시면 감사하겠습니다.


욕지군도 믿고 보는 조황
고성 섬 낚시입니다.
화요일에도 전투 종일 다녀왔습니다.
역시나 날씨만 제대로 받쳐주면 욕지군도 탱크 5 짜 매일 매일 나오고 있습니다.
화요일은 잡은 포인트 보다 터진 포인트가 더 많은 하루였습니다.
기본적으로 1방씩 터지고 있습니다.
도저히 바닥에 뜨지도 않고 목줄 원줄 그리고 바늘 벗겨지고 뜰채 뜨다가 빠지고 할 수 있는 건 다 해본 하루입니다.
오늘 날씨가 좋은 예보라 그런지 욕지군도 많은 조사님들이 찾아 주셨습니다.
오늘도 느즈막히 출조 제일 마지막 철수로 좋은 조황 만들어 보겠습니다.
목요일에도 전투 종일 낚시 출조 확정입니다.
평일 날씨만 좋으면 무조건 출조합니다
참고하시길 바랍니다.
주의보 날씨 아닌 이상 출조만 가능하면 욕지군도 감성돔 조황은 꾸준합니다.
욕지군도 감성돔하면 바로 저희 섬 낚시입니다.
찾아주신 만큼 실력으로 보답하겠습니다.
저희 섬 낚시 욕지군도 포인트 공략법을 제대로 파악 조사님들에게 설명해 줌으로써 욕지군도 최고의 조황 실력으로 보여주고 있습니다.
아무 포인트를 명 포인트를 만드는 실력을 보여드리겠습니다.
기상 상황에 맞춰 출조가 이루어지는 점 꼭 참고하시길 바랍니다.
미리 전화 주셔서 출조 문의해 주시면 감사하겠습니다.
확실히 날씨만 받쳐주면 조황도 덩달아 받쳐주는 현재의 욕지군도 입니다.
현재 욕지군도 물색이 정말로 좋습니다.
물색이 받쳐주면서 감성돔도 활발하게 입질오고 터지고 있습니다.
감성돔 시즌 내내 전투 종일 낚시로 찾아뵙겠습니다.
섬 낚시 전매특허인 전투 종일 낚시 실시합니다.
날씨만 좋으면 전투 종일 낚시로 대물의 신기록 달성을 도와드리겠습니다.
많은 관심 부탁드립니다.
욕지군도는 패턴 약속의 시간이 있기때문에 설명을 잘 들으시길 바랍니다.
이제 북쪽 계열의 바람으로 수온도 내려가면서 감성돔이 활동하기 좋은 수온 바다 상황이 형성되고 있습니다.
미리 전화 주셔서 출조 문의해 주시면 감사하겠습니다.
이제 욕지군도 감성돔이 슬슬 붙을것으로 보입니다.
욕지군도 = 섬 낚시 공식은 여전히 살아있습니다.
우리 조사님들 기록 제조기 물때와 상황에 맞춰서 좋은 포인트로 안내해 드리겠습니다.
욕지군도 대상어 포인트를 물때에 맞춰서 족집게처럼 콕 집어서 설명 우리 조사님들 기록 경신에 앞장서겠습니다.
우리 조사님들의 기록 경신을 위해 기록 파괴자 섬 낚시가 책임지겠습니다.
믿고 맡겨주시면 개인 기록 및 손맛을 보실 수 있도록 욕지군도 최고의 포인트로 안내하겠습니다.
채비 튼튼하게 준비해서 오시길 바랍니다.






▣ 고성 섬 낚시 욕지군도 갯바위 낚시 출조 일정 안내 ▣
★12월 11일 (목) 욕지군도 갯바위 낚시 "예약 가능" 전투 종일 낚시
★12월 12일 (금) 욕지군도 갯바위 낚시 "예약 가능" 전투 종일 낚시
★12월 13일 (토) 욕지군도 갯바위 낚시 "예약 가능" 1항차 2항차
★12월 14일 (일) 욕지군도 갯바위 낚시 "예약 가능" 1항차 2항차


★★★ 출조 문의: 고성 섬 낚시 ★★★
◎ 문의 ☏(055) 673~1020 ☎010~3593~5552
☎010~7227~1782
☎010~4857~4008(가이드)
▣▣▣ 평일 사량도 욕지군도& 갈도 갯바위(ISO磯)출조 안내 ▣▣▣
- 출항 :
- 철수 : 오후 5時 철수합니다.
▧▧▧ 토요일 & 공휴일 출조 안내 ▧▧▧
0항차) 밤 12時 출조 (단체팀 유동적) ※예약필수!!!
1항차) 새벽 3時 출조 (경단 2호)
2항차) 오전 10時 오후 낚시. 정기 출조 (경단 2호)
3항차) 토요일 오후 3時 ~ 4時
◎홈페이지 :  http://seomnaksi.kr

◎인스타  https://www.instagram.com/sum_fishing/

◎ 페이스북 "고성섬낚시"검색해 주세요~
- "야영 출조" (경단 2호)
고성 섬낚시 경단호, 경단2호는 항상 낚시인의 입장에서
최선을 다한다는 자세로 열심히 임합니다.
★★★ 출조 문의: 고성 섬 낚시 ★★★
◎ 문의 ☏(055) 673~1020 ☎010~3593~5552
☎010~7227~1782
☎010~4857~4008
- 예약은 필히 전화로 문의 해 주시길 바랍니다.
◎ 섬낚시밴드:  https://band.us/@seomnaksi

◎ 주소 : 경남 고성군 삼산면 두포리 1085번지(신주소: 두포1길 198-15번지)
#경상남도 #경남 #고성 #통영 #거제 #남해 #삼천포 #사천 #진주 #창원 #김해 #양산 #부산 #낚시 #고성섬낚시 #섬낚시 #갯바위 #갯바위낚시 #낚스타그램 #낚시스타그램 #욕지군도 #욕지권 #욕지도 #감성돔 #취미 #참돔 #벵에돔 #사량도

  • 페이스북으로 보내기
  • 트위터로 보내기
  • 구글플러스로 보내기
  • 카카오스토리로 보내기
  • 네이버밴드로 보내기
  • 네이버로 보내기
  • 텀블러로 보내기
  • 핀터레스트로 보내기
0 댓글
포토 제목
 
 

인낚 최신글


인낚 최신댓글


온라인 문의 안내


월~금 : 9:00 ~ 18:00
토/일/공휴일 휴무
점심시간 : 12:00 ~ 13:00