카드
경남 거제시 일운면 구조라로 58길(구조라리 124번지)
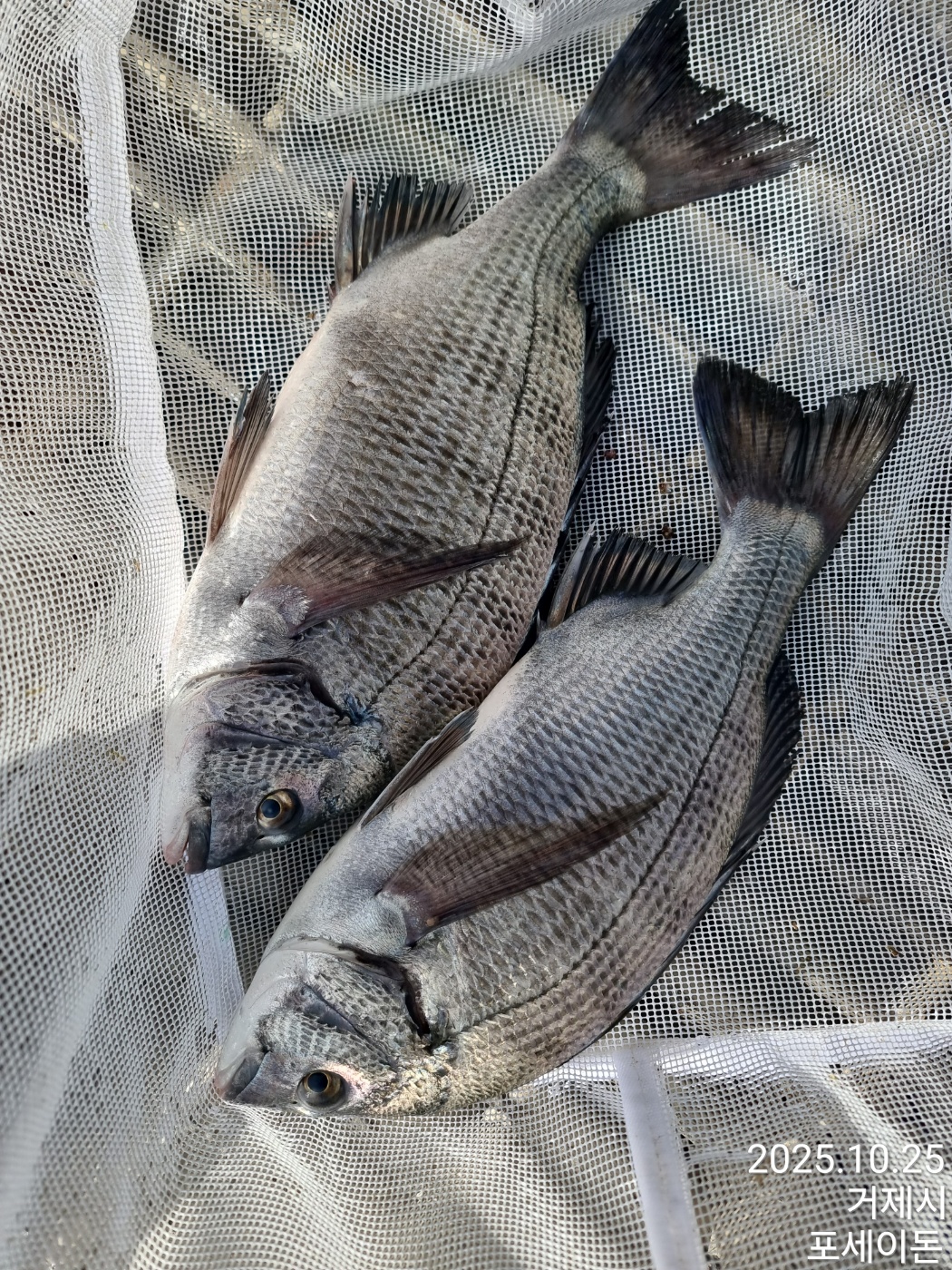
구조라~감성돔 대물 53.48.47.46.43.42.40.40.39.38.38.~외 돌돔 뺀찌
경남 거제시 일운면 구조라로 58길(구조라리 124번지)
낚시인님들 반갑습니다
거제 구조라 포세이돈 낚시입니다
주말 모처럼 날씨가 좋아지니
감성돔,참돔,벵에돔,돌돔뺀찌
부시리까지 다양하게 많이 올라와 주네요
내일은 날씨가 좋은 일요일
얼마만에 좋은날인지
손맛 많이보고 올수있는
일요일이 될듯해
기대해 봅니다
잊지 안고 찾아주신 조사님들
오가는길 안전 운전 하시고 안낚 즐낚 하십시요
수고많으셨구요 고맙습니다
**거제 포세이돈 카페 바로가기 ***
https://cafe.naver.com/ksm3296
또는 네이버에 "거제 포세이돈 낚시" 검색하시면 됩니다
포세이돈호를 승선하실때
넓은 주차장에 차를 주차하시고 바로 앞에서 승선하실수 있어서
아주 좋습니다
******출조 시간********
▶1항차,,,,,,주말,공휴일,,,,,,, 02시도착 , (평일1항차,,,03시 30분도착)
▶2항차,,,,,,,주말,공휴일,,,,,,,03 시도착
▶3항차,,,,,,,주말,공휴일,,,,,,,07시도착,(평일2항차)
▶4항차,,,,,,,,,,,,,,주말 09시 도착, (평일3항차)
▶5항차,,,,,,,,,,,,,,,주말 11시도착 ,(평일4항차)
▶6항차,,,,,,,,주말공휴일,,,,13시 도착,(평일5항차)
▶7항차,,,,,,,,,,,,,, 주말15시 도착, (평일6항차)
위에시간에 도착하시면 30분후에 항에서 갯바위로 출발합니다
▶8항차,,,,,,,,,,,,,,,17시30분까지 도착 (오후 5시30분마지막 야영팀)
*****철수 시간******
▶7시40분~8시철수.10시.12시,14시,16시, 마지막철수는 18시(오후6시)
휴일과 주말 새벽출조와 아침 3항차 출조도 꼭 전화예약해 주시길 부탁드립니다
▶출조와 철수 시간은 사정에 따라 약간의 변동이 발생 할 수 있습니다 (참고)
▶철수는 위에 정해진 시간중 원하시는 시간대 반드시 철수 1시간전에
전화 하셔서 갯바위 하선시 말씀드린 포인트명을 말씀해 주시면 모시러 갑니다
그리고 쓰레기는 꼭 담아오셔서 저희점에 놓고 가시길 바랍니다
@@갯바위 출조시-구명복 .갯바위신발 신분증 반드시지참하시길 바랍니다@@
★★ 밤8시~ 03사이에는 출조문의는 자제해 주실것을 부탁드립니다
★★낚시에 필요한 물품과 밑밥을 판매하고 있어 구매하실수 있습니다
주소---경남 거제시 일운면 구조라로 58길(구조라리 124번지)
구조라 포세이돈 낚시-----010-9304-4003 ,010-3627-4003
|
|
|
|











