카드
경남 거제시 일운면 구조라로 58길(구조라리 124번지)
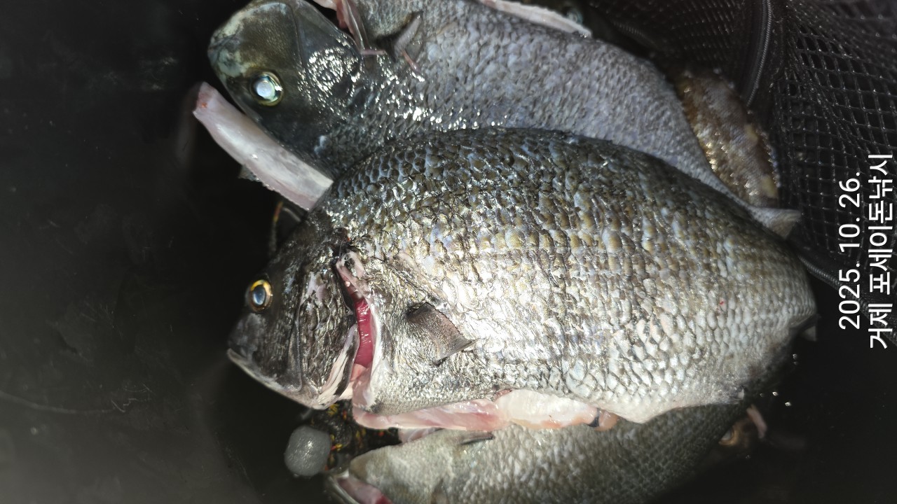
구조라 ~감성돔 48.48.45.40외 돌돔뺀찌 판떼기조과외 긴꼬리 무늬
경남 거제시 일운면 구조라로 58길(구조라리 124번지)
낚시인님들 반갑습니다
거제 구조라 포세이돈 낚시입니다
일요일 갯바위 출조길 열어가신 조사님들
씨알좋은 감성돔 .벵에돔.돌돔등을
낚아오신 날입니다
금일 더 많은 조과사진은 포돈 카페를 참고하세요
잊지 안고 찾아주신 조사님들
오가는길 안전 운전 하시고 안낚 즐낚 하십시요
수고많으셨구요 고맙습니다
**거제 포세이돈 카페 바로가기 ***
https://cafe.naver.com/ksm3296
또는 네이버에 "거제 포세이돈 낚시" 검색하시면 됩니다
포세이돈호를 승선하실때
넓은 주차장에 차를 주차하시고 바로 앞에서 승선하실수 있어서
아주 좋습니다
******출조 시간********
▶1항차,,,,,,주말,공휴일,,,,,,, 02시도착 , (평일1항차,,,03시 30분도착)
▶2항차,,,,,,,주말,공휴일,,,,,,,03 시도착
▶3항차,,,,,,,주말,공휴일,,,,,,,07시도착,(평일2항차)
▶4항차,,,,,,,,,,,,,,주말 09시 도착, (평일3항차)
▶5항차,,,,,,,,,,,,,,,주말 11시도착 ,(평일4항차)
▶6항차,,,,,,,,주말공휴일,,,,13시 도착,(평일5항차)
▶7항차,,,,,,,,,,,,,, 주말15시 도착, (평일6항차)
위에시간에 도착하시면 30분후에 항에서 갯바위로 출발합니다
▶8항차,,,,,,,,,,,,,,,17시30분까지 도착 (오후 5시30분마지막 야영팀)
*****철수 시간******
▶7시40분~8시철수.10시.12시,14시,16시, 마지막철수는 18시(오후6시)
휴일과 주말 새벽출조와 아침 3항차 출조도 꼭 전화예약해 주시길 부탁드립니다
▶출조와 철수 시간은 사정에 따라 약간의 변동이 발생 할 수 있습니다 (참고)
▶철수는 위에 정해진 시간중 원하시는 시간대 반드시 철수 1시간전에
전화 하셔서 갯바위 하선시 말씀드린 포인트명을 말씀해 주시면 모시러 갑니다
그리고 쓰레기는 꼭 담아오셔서 저희점에 놓고 가시길 바랍니다
@@갯바위 출조시-구명복 .갯바위신발 신분증 반드시지참하시길 바랍니다@@
★★ 밤8시~ 03사이에는 출조문의는 자제해 주실것을 부탁드립니다
★★낚시에 필요한 물품과 밑밥을 판매하고 있어 구매하실수 있습니다
주소---경남 거제시 일운면 구조라로 58길(구조라리 124번지)
구조라 포세이돈 낚시-----010-9304-4003 ,010-3627-4003
|
|
|
|











