감성돔.돌돔사이즈가 많이 보이며
인낚ㅣ인터넷바다낚시
어종별선상
어종별갯바위
낚시인조황
점주선장조황
출조정보
낚시광장
낚시지식인
낚시교실
중고장터
휴게실
인낚도서관
인낚몰
0
홈
어종별선상
어종별갯바위
낚시인조황
점주선장조황
출조정보
낚시광장
낚시지식인
낚시교실
중고장터
휴게실
어종별선상
어종별갯바위
낚시인조황
점주선장조황
출조정보
낚시광장
낚시지식인
낚시교실
중고장터
휴게실
어종별선상
어종별 선상조황
4대돔 조황
먹물 조황
갈치 조황
볼락&전갱이
빅게임 지깅&파핑
외줄&외수질
기타 어종
어종별 갯바위조황
4대돔 조황
먹물 조황
갈치 조황
볼락&전갱이
농어&삼치&방어&부시리
기타 어종
어종별갯바위
어종별 선상조황
4대돔 조황
먹물 조황
갈치 조황
볼락&전갱이
빅게임 지깅&파핑
외줄&외수질
기타 어종
어종별 갯바위조황
4대돔 조황
먹물 조황
갈치 조황
볼락&전갱이
농어&삼치&방어&부시리
기타 어종
낚시인조황
낚시인 번개조황
낚시인조행기
스탭조행기
우리낚시동호회이야기
전국낚시동호회소개
동호회갤러리
지난 조황자료보기(년도별 조황 자료)
점주선장조황
전국 실시간 조황
선상(배)+좌대 조황
갯바위+방파제 조황
점주선장전용 공지사항
지난 조황자료보기(년도별 조황 자료)
출조정보
낚시인동행출조
점주선장 갯바위 출조
점주선장 선상출조
기상파고정보(기상청)
해상예보
물때표
파고예보(일본)
실시간해양관측예보
스마트조석예보
낚시광장
낚시계뉴스
대회 및 낚시관련 홍보
제품평가단
신상품소개
낚시지식인
Q&A 묻고 답하기
조황/포인트 문의
주간 베스트
낚시용품 사용기
낚시투표
토론방
新어류도감
낚시교실
낚시기법소개
어종별 낚시교실
입문자교실
중급자교실
낚시용어사전
중고장터
중고장터 이용후기
더치트 사기피해 검색
팝니다
삽니다
교환합시다
무료로 드립니다
부품팝니다
부품삽니다
일반 생활용품 사고 팔기
휴게실
출석부
낚시갤러리
세상사는 이야기(자유게시판)
낚시이야기 마당
먹고사는 이야기
구인구직
칭찬합니다
어째이런일이
습득물 찾기
인낚도서관
인낚 유튜브
인낚 칼럼
블루, 그것이 알고싶다
더블테일의 두 눈으로 보는 세상
입질의추억의 피싱다이어리
나無의 바다 이야기
전문강좌
海巖의 바다낚시 이야기
이성규의 전유동낚시 강좌
조성민의 금요루어클럽
로그인
자동로그인
회원가입
|
정보찾기
점주선장조황
전국 실시간 조황
선상(배)+좌대 조황
갯바위+방파제 조황
점주선장전용 공지사항
지난 조황자료보기(년도별 조황 자료)
신상품 소개
낚시고 미장구레 VIP 대본류 벵에돔 파우더
낚시고 위력 벵에돔 파우더
천류 카모 피싱백
천류 레자 피싱백
zzis 찌스 전자기울찌 호리존탈 전유동전용 출시!
ZZIS 찌스 다이브 에이 (Dive-A) 전자 캐스팅볼 숏타입 출시!
회원 랭킹
23
1
마루미르
21
2
가덕천성진양좌대
18
3
쌩기똥기
15
4
오또다
14
5
백곰
13
6
울트
12
7
배부르면졸림
12
8
띠조
11
9
카데바
10
10
감시야
10
11
추풍령졸음쉼터
9
12
상석바위
9
13
앵그리정
9
14
오사마리
9
15
새벽물때
9
16
감시밥줄
8
17
시그니처latte
8
18
여조사
8
19
전생엔검사
8
20
포항대박이
8
21
레이아빠
8
22
아직들물안됐나
8
23
이무시라
8
24
거제꾼님
8
25
사하주민
7
26
풍낚TV
7
27
흥선남자
7
28
하쿠샘
7
29
부시리우스2022
7
30
타짜감시
7
31
락찌
7
32
아나구릉
7
33
짱가아
7
34
복사초등대
7
35
옥자몽
7
36
흙운
6
37
감자감성돔
6
38
진해숭어
6
39
emfjaj
6
40
도선사
6
41
간다이형
6
42
쏘렝이
6
43
지금부터시작해보자
6
44
대추아빠
6
45
짱규
6
46
시작하는채비와장비
6
47
꿈의사냥5짜
6
48
민쓰
6
49
김해장유아디다스
6
50
요리하는아빠
6
51
낚시가좋아1100
6
52
낚시김
6
53
PROKILLER
6
54
모카사랑해
6
55
4계절벵에
5
56
단영
5
57
하람아범
5
58
칼리또
5
59
메론좋아
5
60
감생이냉장고
5
61
광명조사
5
62
긴꼬리벵에돔55
5
63
안녕감시야
5
64
Nike1972
5
65
경성피스톨
5
66
꽝의기운
5
67
남해동부물공
5
68
그래서그대는
5
69
천층
5
70
노화도에산다
5
71
용궁의추억
5
72
돌돔참돔
5
73
범돔
5
74
푸푸헐
5
75
3짜이하방생
5
76
희야는초보
5
77
감시마을
5
78
자연이준선물
5
79
6짜긴꼬리
5
80
미니미래
4
81
철기
4
82
일벌백계
4
83
꾼중의꾼
4
84
챨스킴
4
85
광안리장사장
4
86
유채아빠
4
87
부남대여tv
4
88
아담스콕
4
89
나돔
4
90
플레져
4
91
걍잡는거
4
92
X10A
4
93
아로아
4
94
나의꿈
4
95
브루부루
4
96
신용대
4
97
망상어전문
4
98
미미파덜
4
99
여수킹몬스터피싱
4
100
크롬
공지사항
09.01
★ 2025년 9월 5일 사이트 리뉴얼 오픈 안내
06.09
★ "Connect Error: No such file or directory" 에러가 발생시
05.29
★ 카이퍼넷 방화벽 차단시 설정방법
07.03
★ 사이트 정상운영 ★ 24.07.03
06.19
★ 사이트 정상운영 ★ 24.06.19
06.17
★ 사이트 정상운영 ★
06.14
★ 서비스 일시정지 - 서버이전작업 ★
07.14
★ 112차 제품평가단 위촉 명단 발표
07.07
★ 112차 제품평가단모집 - 1차
11.01
★ 111차 제품평가단 위촉 명단 발표
점주/선장 >
갯바위 + 방파제 조황
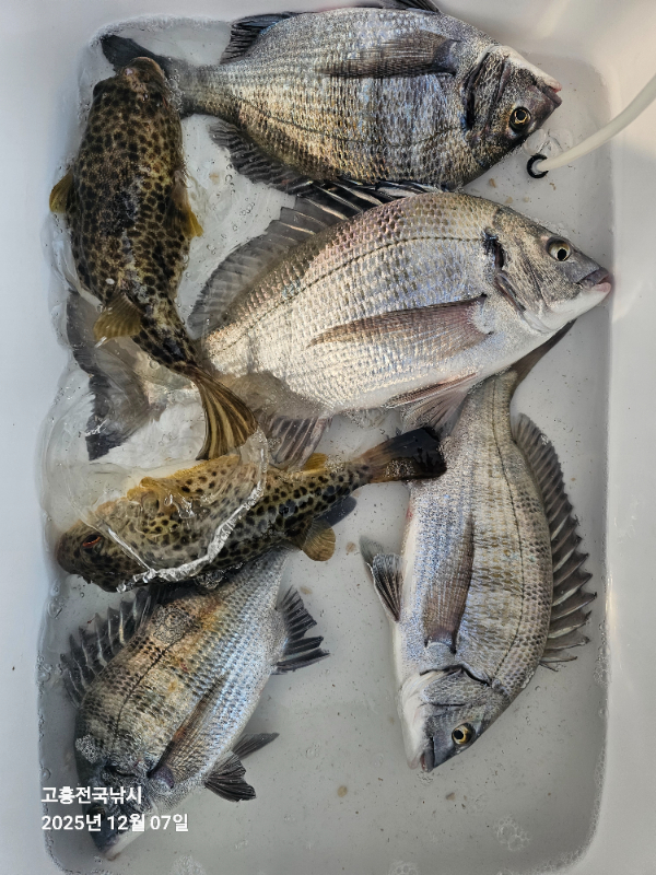
감성돔.돌돔사이즈가 많이 보이며
돌산작금프린스호
0
321
11.01 15:49
● 출항지 : 여수,광양
● 출조지 : 여수,광양
● 출조인원 : 16~20명
네임
카드
돌산작금프린스호
여수시 돌산읍 돌산로655-13
010-3514-9648
실시간 예약
홈페이지
밴드 바로가기
유튜브/SNS
돌산 작금 프린스호 입니다
오랜만에 북서풍다운 바람이 들어 오네요
파도가 제법 있었지만
반대편 상황은 잔잔한 그자체
감성돔 마릿수와 뻰치아닌
돌돔사이즈넘들이 많이 보이며
간혹 1.75호 목줄이 힘없이 터지는 상황도 간혹 빠졌다 생각한
5짜 중반 참돔까지
수온이 조금씩 떨어지면서
더욱더 조황이 푸짐해 집니다
내일도 03시출항합니다
출조 예약시
010. 3514. 9648
찾아오시는길
여수시 돌산읍 돌산로655-13
0
신고
목록
0
댓글
로그인한 회원만 댓글 등록이 가능합니다.
×
Image Upload
로그인한 회원만 등록가능합니다.
포토
제목
이름
날짜
[여수,광양] 금오열도권 감성돔조황
출항지 : 여수,광양 / 출조지 :
씨울프피싱
3
1분전
씨울프피싱
15:04
[부산] 만남피싱52/51/46/외감성돔갯바위조황입니다
출항지 : 부산 / 출조지 : 부산
가덕도만남낚시
3
1분전
가덕도만남낚시
15:04
[통영] 욕지부속섬 5짜 퍼레이드
출항지 : 통영 / 출조지 : 통영
피싱맨호
9
3분전
피싱맨호
15:02
[해남,진도] *퍼스트호/No.1호 6일(토)~7일(일) 추자도 조황입니다*
출항지 : 해남,진도 / 출조지 : 제주
추자퍼스트호
5
7분전
추자퍼스트호
14:58
[통영] 박가이드피싱)대물감시 52.45.43.42.42.41.38.35…
출항지 : 통영 / 출조지 : 통영
통영박가이드피싱
12
12분전
통영박가이드피싱
14:53
[해남,진도] 하태도 대박조황입니다
출항지 : 해남,진도 / 출조지 :
진도신신낚시
22
22분전
진도신신낚시
14:43
[고흥,녹동] 7일 일요일 초도권 조황 입니다.
출항지 : 고흥,녹동 / 출조지 : 고흥,녹동
고흥한바다2호
16
26분전
고흥한바다2호
14:39
[완도] 청산도권 씨알좋은 감성돔 ` 굿 ` 조황!! 월 화 수 계속해서…
출항지 : 완도 / 출조지 : 완도
완도국제낚시
11
27분전
완도국제낚시
14:38
[고흥,녹동] 7일 고흥 전국 낚시호 조황 입니다
출항지 : 고흥,녹동 / 출조지 :
고흥전국낚시호
9
35분전
고흥전국낚시호
14:30
[부산] 12월 7일 생도 태종대 갯바위 조황입니다.
출항지 : 부산 / 출조지 : 부산
영도낚시슈퍼
26
38분전
영도낚시슈퍼
14:27
[고흥,녹동] 7일(일)초도권 감성돔 조황!
출항지 : 고흥,녹동 / 출조지 : 고흥,녹동
고흥명성피싱호
16
39분전
고흥명성피싱호
14:26
[여수,광양] 12/7 일요일 마리수 감성돔과 참돔등~~~!!!!!
출항지 : 여수,광양 / 출조지 : 여수,광양
여수153낚시
26
40분전
여수153낚시
14:25
[여수,광양] 12/7 금오열도 4짜와 감성돔들입니다(경품 당첨)
출항지 : 여수,광양 / 출조지 : 여수,광양
돌산낚시촌
33
56분전
돌산낚시촌
14:09
[통영] 5짜맛집~5짜.5짜.5짜.4짜.4짜.4짜.4짜.4짜~월출항~
출항지 : 통영 / 출조지 : 통영
비키라피싱
338
1시간전
비키라피싱
13:45
[통영] 레코드호 12/6 욕지도 밤볼락입니다.
출항지 : 통영 / 출조지 :
통영레코드호열바다낚…
45
1시간전
통영레코드호열바다낚…
13:44
[사천] ((한사리))두미도 탱크들 52.51.51.50.49.49.48…
출항지 : 사천 / 출조지 : 사천
한사리피싱
84
3시간전
한사리피싱
12:29
[통영] [[척포은성호]]밤 뽈라구 판때기 조황~~~
출항지 : 통영 / 출조지 : 통영
척포은성호
143
3시간전
척포은성호
11:52
[고성] 욕지군도] 전투 종일 낚시 56/54/50/49/48외 조황으로…
출항지 : 고성 / 출조지 : 통영
고성섬낚시
180
4시간전
고성섬낚시
11:05
[통영] 폴라리스)주말 갯바위 밤 볼락출조조황입니다~~
출항지 : 통영 / 출조지 : 통영
폴라리스피싱
185
6시간전
폴라리스피싱
08:56
[고흥,녹동] 6일(토)초도권 감성돔 조황!
출항지 : 고흥,녹동 / 출조지 : 고흥,녹동
고흥명성피싱호
87
10시간전
고흥명성피싱호
04:40
[무안,신안] 만재도 감성돔 조황
출항지 : 무안,신안 / 출조지 :
만재동진호
118
11시간전
만재동진호
03:56
[통영] 탑피싱]감성돔 49,48,47,40외 팅팅~~(일02시)
출항지 : 통영 / 출조지 : 통영
통영탑피싱
403
12.06
통영탑피싱
12.06
[통영] 욕지권갯바위 감성돔들~(일03시-14시)
출항지 : 통영 / 출조지 : 통영
파워피싱아일랜드호
278
12.06
파워피싱아일랜드호
12.06
[통영] 욕지부속섬 5짜 포함 마릿수 감성돔
출항지 : 통영 / 출조지 : 통영
피싱맨호
402
12.06
피싱맨호
12.06
[거제] 53.5 51.5 50 49 48 48 48 47 46 45 4…
출항지 : 거제 / 출조지 : 거제
거제가자피싱랜드
485
12.06
거제가자피싱랜드
12.06
[통영] 척포동성호 감성돔 조황입니다.~~
출항지 : 통영 / 출조지 : 통영
척포동성피싱
189
12.06
척포동성피싱
12.06
[울산] 12월6일 장생포 동네낚시 오사리학꽁치,떡전어 굿~조황
출항지 : 울산 / 출조지 : 울산
장생포털보낚시
122
12.06
장생포털보낚시
12.06
[통영] 욕지권)감성돔5짜4짜 쭈욱~~
출항지 : 통영 / 출조지 : 통영
블루아이피싱
263
12.06
블루아이피싱
12.06
[여수,광양] 성빈호. 12월 6일 출조다녀왔습니다.
출항지 : 여수,광양 / 출조지 : 여수,광양
여수성빈호
200
12.06
여수성빈호
12.06
[거제] 다대 감성돔 조황입니다
출항지 : 거제 / 출조지 : 거제
자유시간낚시
457
12.06
자유시간낚시
12.06
초기화
날짜순
조회순
검색
1
2
3
4
5
6
7
8
9
10
Search
검색대상
제목
내용
제목+내용
회원아이디
회원아이디(댓글)
글쓴이
글쓴이(댓글)
또는
그리고
검색어
필수
검색
닫기
검색조건
제목
내용
제목+내용
회원아이디
회원아이디(코)
글쓴이
글쓴이(코)
검색어
또는
그리고
검색
인낚 최신글
14:15
(감성돔)4짜4짜 외 4짜급들 마릿수~장원 8수 HIT~젠틀호(8일 예약)
14:13
자이언트호(감성돔흘림)4짜급 등치급들 혼빵 갑니다
+1
14:10
[준내만갈치]기상좋아지는 화요일부터 다시금 정상출항!! 화수목금토일 자리여유~
14:09
12/7 금오열도 4짜와 감성돔들입니다(경품 당첨)
14:07
Gm-3797 LL 미사용
14:03
"대물감성돔" 탕탕탕탕탕 날아가고 48.48.46.45외 마릿수 조황~
14:02
제주 희성호 듬직한 손맛 조황~
14:01
《어초.여밭 감성돔》연일 대박조황4짜외20수
13:59
준내만갈치 텐야,텐빈 화요일 출항합니다 예약가능
13:56
(감성돔)어초!실시간4짜.4짜.4짜외마릿수~예약가능
13:56
시마노 레마레 핸들 노브 신품
13:56
26시즌 첫 타이 출항에 빠가 출현!
13:55
감성돔 (카고)ㅡ5짜. 4짜후반급 마릿수로 손맛 굿굿입니다 (내일 예약가능)
13:45
(로드피싱)문어7일,오전피딩 폭발!2200,2060,1520,1000g!!난리법썩 현장에서~
13:45
(로드피싱)문어7일 실시간,오전피딩 폭발!2200,2060,1520,1000g!!난리법썩 현장에서~
13:45
5짜맛집~5짜.5짜.5짜.4짜.4짜.4짜.4짜.4짜~월출항~
13:44
레코드호 12/6 욕지도 밤볼락입니다.
13:40
발상 양수기 미개봉
13:33
리드호 12월7일 감성돔 조황입니다.
13:30
감성돔흘림 우르르르르르 제왕다운 찐손맛!!
13:30
"대물감성돔" 탕탕탕탕탕 날아가고 48.48.46.45외 마릿수 조황~
13:25
(실시간)원도권 문어 구덩이 중치급들 폭격 中~고고피싱호(오늘 야간 예약)
13:23
진진-덩치급 부시리 방어! 초보님도 손맛 몸맛 찐하게!!
13:23
삼천포 광용호 알쭈꾸미 출조합니다~! 예약중
13:20
감성돔(카고)ㅡ 5짜,4짜급후빈급 마릿수로 손맛굿굿(월,화 예약가능)
13:17
시마노 24 쿼터마스터
13:16
__[ 대천항,하이피싱/010-2173-5152 ]__<라이트지깅-우럭,광어> 9일(화) 기상굿~ 먼바다 출조__[ 혼출,단체,동호회,소모임-광어,우럭,쭈갑 ] 쭈꾸미(12~16일) 졸업일정 / 겨울철 우럭낚시모집~!!
13:16
7일 오전 대 폭팔~화요일 부터 모집중
13:16
다이와장화구합니다 270mm
13:14
감성돔 거제인성낚시 4짜외
13:12
[VIP 광명호] (연중10석, 투척기장착) 뉴~이벤트 "12월15일 ~ 5월30일까지 갈치, 열기, 볼락, 오징어 병행출조" --선비 23만(10석) -- 12월09일(화) - 자리 여유 --
13:11
먼바다갈치 오늘은 이만큼 내일부터 예약가능합니다
13:11
풍화리 선외기의 4짜 감성돔 26, 24, 22수 조황
13:10
(문어)2.88K 빅원 외 K오버 중량급들 득실득실~강민호(8일 원도권 예약)
13:06
가덕창성호 감성돔 카고낚시 대물시즌
13:02
겨울철 보양식 야간 ~ 낙지 마리수 잡으러 출조 갑니다 @ 월,화,수요일~예약가능
13:00
(풍화리)새풍화레저 감성돔 마리수 조황
13:00
파이어블러드 2500번 보조스풀팝니다
13:00
마즈메 MZFW-795 방한 낚시복 판매합니다
13:00
<감성돔선상> 4후 사이즈좋고 마리수도 좋은 조황입니다.내일도 예약 가능합니다
12:56
[수영호] 왕주꾸미 조황 102수~!!!(조업 출항)
12:52
감성돔(흘림) 최신45부터 4짜 3짜 중반까지 어시장 마리수 대박 조황~ (월요일/예약가능)
12:50
07/일/오전ㅡ캐스팅 대삼치들!
12:50
07/일ㅡ캐스팅 대삼치들!
12:50
7일 입항<야간 낙지>꿈틀이 월척! 예약가능
12:49
9일 화요일 초도 버스 출조 합니다.
12:45
[여수 젠틀호] #감성돔선상 12.6 조황입니다.
12:42
통영한려피싱 칼치 쿨러가득 씨알 굿 내일자리여유있습니다
12:40
감성돔흘림 내일부터 쭈욱 예약가능합니다 자리여유있습니다
12:40
오리온!야간문어!키로급들로 사이즈 ,마릿수 대박~내일 예약가능
인낚 최신댓글
12:32
내려가는 시간을 어느정도계산해서 착수지점을 좀더 멀리잡으시는건 어떨까요
12:26
아직도 정신 못차리고있네 ... 어제 사진 함 올려보소 ! 만쿨한 분도 계시다며 .. 이제 그만 우롱하세여.…
12:17
답변 감사합니다 2.5호 세미는 내려가는데 좀 무리가 있을지요? 박프로님 낚시 하시는거보니 2.5호 많이 쓰…
11:52
박가찌경우 T시스템으로인해 하부구경이 매우작아서 원줄이 굵을수록 원줄이 잘안내려가요 한때 박가찌 자주쓸때 2…
10:58
후기 감사합니다 참고하겠습니다
10:39
내일도 출동합니다~!!!!!
10:16
내일 예약 가능합니다
10:09
내일 예약 가능합니다
09:53
D109 호환리스트에 있네요
09:42
M50 사용중인데 몬스터포스 구태 M50과 비교하면 부시리기준 힘은 조금 약한 느낌이고 부시리, 드랙 안주고…
08:00
M-50은 피*기* 유튜브에 잘 나와 있습니다
07:59
핫 감사합니다 참고 하겠습니다^^
07:17
무게감 몀려 안 하셔도~~ 제가 미장도 사용중 인데요 거의 비슷 밸런스켑 장착하면 흡사 큰넘물었을땐 안정감을…
07:12
후기 감사합니다 얇은게 영롱할거 같습니다. 다~~맘에 드는데 무게가 걸리긴 하네요ㅎㅎㅎ
07:06
저는 일단 합격 MH50사용중 인데요 휨새 작은넘 큰넘 상관없이 좋아요 미장과 비교하면 탄성의 느낌이 ~~ …
03:21
저도 궁금하네요~M대 50 53
02:27
부남님 장소와 조과는 항상 믿고 보는 좋은정보 감사합니다
00:30
인낚에 포인트 있는데 그거 뭐하는데 쓰는 겁니까? 아시는 분?
00:29
그렇네요.그림 똑 같은걸 요리조리 수십장 올리네. 저게 무슨의미가 있을까? 요즘 외국인들 한국와서 한국인 정…
12.06
@게토레이 감사합니다 즐거운 휴일 보내세요
12.06
제가 바로 전에 쓰던 시마노 타마노에 옥병 뜰채의 짱짱한 고무에 너무 적응되어 있었는지도 모르겠네요ㅜㅜ 말씀…
12.06
월요일 예약가능 합니다
12.06
예약 가능합니다!
12.06
7일 감성돔 종일낚시 예약 가능합니다, 감사합니다.
12.06
일요일 예약완료 월요일부터 쭈욱 예약가능 합니다
12.06
내일1자리 예약 가능합니다 월요일부터 쭉 달립니다
12.06
가마 마모2 H650 또는 파블 650요~
12.06
참나 .. 언제쩍 조황입니까? 제발 거짓조황 올리지 마세요!
12.06
동출 마감입니다.
12.06
조사님들 우롱하지말고 최근 조황 올리세요 .. !
12.06
인테샤 무명의 가상의 사람이름 인텐샤 인테샤에서 3의 무엇인가가 더붙음 낙싯대 또는 사람등 뭐든 붙임 가마 …
12.06
왜 다들 인텐샤로 발음하는지 모르겠네요, 인테싸 입니다!!그리고 정상입니다.
12.06
자세한 정보 감사합니다
12.06
감사합니다
12.06
네 그렇게 되어있습니다. 정상이에요
12.06
저라면... 음 흑조 수향기 로 가볼꺼같네요^^
12.05
조력 얼마 안되신다면 분명 낚시대 뽀사 묵습니다 은성 요즘도 초릿대 하나 낑가 주는지 모르겠는데 무기한 보증…
12.05
대댓글이 안되네요 안그래도 지난주에 리더낚시에서 밑밥쥰비하고 삼일스타타고 다녀왔네요 ^^ 리더낚시분들도 삼일…
12.05
안녕하세요 금오도는 5시에 철수하는 배가 없습니다 차라리 두라말고 횡간도나향일암 추천 드립니다 월전항 대.소…
12.05
감사합니다
12.05
예약 가능합니다!
12.05
20221003/ 고성내만/ 그래도 감 살아있으시네요...ㅋ
12.05
멋집니다. /통영소재 선외기/ 20220919
12.05
자세한 답변 감사합니다
12.05
6일 토요일 ㅡ1분 예약가능 합니다 7일 일요일 ㅡ예약완료 입니다
12.05
6일(토) 주간문어낚시 예약가능합니다. 06시까지 오시면 자리추첨후 출조합니다.
12.05
일요일 1자리 예약 가능합니다
12.05
오늘 여유자리 몇자리 있습니다 4시30분 까지 오시면 됩니다 대물손맛보러가실분 예약주세요 010 2388 7…
12.05
제가 가마대 2개 - 긴꼬리, 참돔 국산대2개 - 감성돔, 벵에/긴꼬리 이렇게 쓰는데 괜찮은거 같아요. 원더…
12.05
20250814 거제가조도 계도방파제(1/3 지점)
온라인 문의 안내
*운영진에게 문의
*광고/제휴 문의
월~금 : 9:00 ~ 18:00
토/일/공휴일 휴무
점심시간 : 12:00 ~ 13:00
인낚몰 초특가
★500★ W쿠션 멀티 수중찌 M L - 전유동 반유동 끄심바리 필수품 수중쿠션
★5,900★ 여러개 있으면 아주 좋은 EVA 시스템 백
★ 1+1 플로팅, 세미, 카본 낚시줄 행사 호수선택가능 / 택상 1+1 원줄, 목줄 행사
★6,000★ 예민함의 끝판왕 애니원찌 벵에돔찌 학공치찌
★15,000★ 오동목 구멍찌 5개 + 메쉬 찌케이스 세트
★22만원★ 40W 집어등을 이 가격에!
★5,000★ 전층쿠션 15세트입 S / L 사이즈
★2,000★ 전층쿠션 5세트입 S / L 사이즈
★10,000 미니집어등5개 + 425배터리 1개 + 스토퍼고무 10개
★13,500 深海 심해대물 갈치집어등 3개 5LED 오색 집어등 갈치낚시 필수품 건전지3개 포함 수중집어등
★9,900★ 수제공방 갈치 풀치 잔치세트 짬낚시 필수 하나로 끝
★8,650~★ 아부가르시아 카치카치다마 유동식 타이라바 - 80g / 100g / 120g / 140g