접도권

신상품 소개


회원 랭킹


공지사항


NaverBand
점주/선장 > 갯바위 + 방파제 조황

접도권

접도낚시 0 268
● 출항지 : 해남,진도
▶ 지켜주세요! ◀

- 당일 조황을 올리셔야 합니다.
- 지난 조황은 2일이내 미등록 조황만 가능합니다.
- 이미 올린 조황을 붙여넣기하여 계속 등재하시면 중복조황에 해당합니다.
- 당일 조황을 올리면서 이전 조황을 같이 올리면 중복조황에 해당합니다.
- 조황없는 출조정보는 출조정보 게시판을 이용하시길 바랍니다.
- 올린 글 삭제하고 다시 올려 상단에 올리려는 방법, 이용규칙 위반입니다.
- 제목에 특수문자 사용하시면 안됩니다. (온점, 쉼표, 느낌표, 괄호, 물결만 허용)

☆ 공지사항에 '조황등재시 유의사항' 게시글을 꼭 확인하시고 조황작성 부탁드리며, 가장 기본적인
규칙이 지켜지지 않을 시 예고없이 글 삭제 및 이용정지 될 수 있음을 알려드립니다.

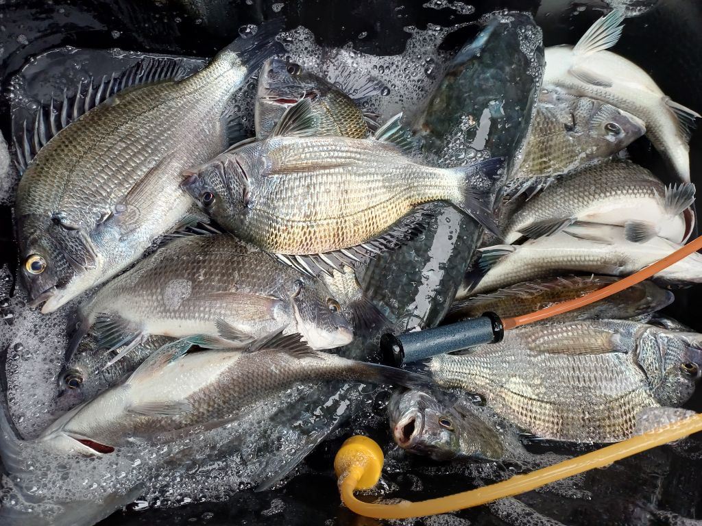
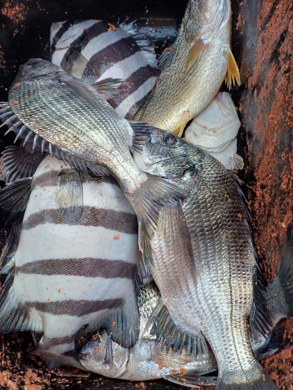
*안녕하세요
진도접도에 위치한 접도낚시 입니다
몇칠 접도 밀매갯바위 출조 하였답니다
출조하신조사님 대부분 돌돔 참돔 감성돔 손맛을 보셨답니다
하루종일 손맛보신조사님도 있었답니다
터트리신조사님도 있었답니다
접도도 대부분 감성돔 손맛을 보셨답니다
*접도 구자도 밀매 만여 외모도 독거도 복사초 갯바위 선상출조 합니다
*주민 등록증 필수 지참*
***진도접도낚시 협회 밴드로 초대합니다(더빠른조황을 볼수있네요)**
참고하시고 출조하세요
*접도 구자도 밀매 만여 외모도 독거도 복사초 갯바위 선상출조 합니다
*주민 등록증 필수 지참*
***진도접도낚시 밴드로 초대합니다(더빠른조황을 볼수있네요)**
참고하시고 출조하세요
주소:진도군 의신면 수품길18번지
★출조 및 예약 문의★010-9433-0232 ★061-544-0235

  • 페이스북으로 보내기
  • 트위터로 보내기
  • 구글플러스로 보내기
  • 카카오스토리로 보내기
  • 네이버밴드로 보내기
  • 네이버로 보내기
  • 텀블러로 보내기
  • 핀터레스트로 보내기
0 댓글
포토 제목
 
 

인낚 최신글


인낚 최신댓글


온라인 문의 안내


월~금 : 9:00 ~ 18:00
토/일/공휴일 휴무
점심시간 : 12:00 ~ 13:00