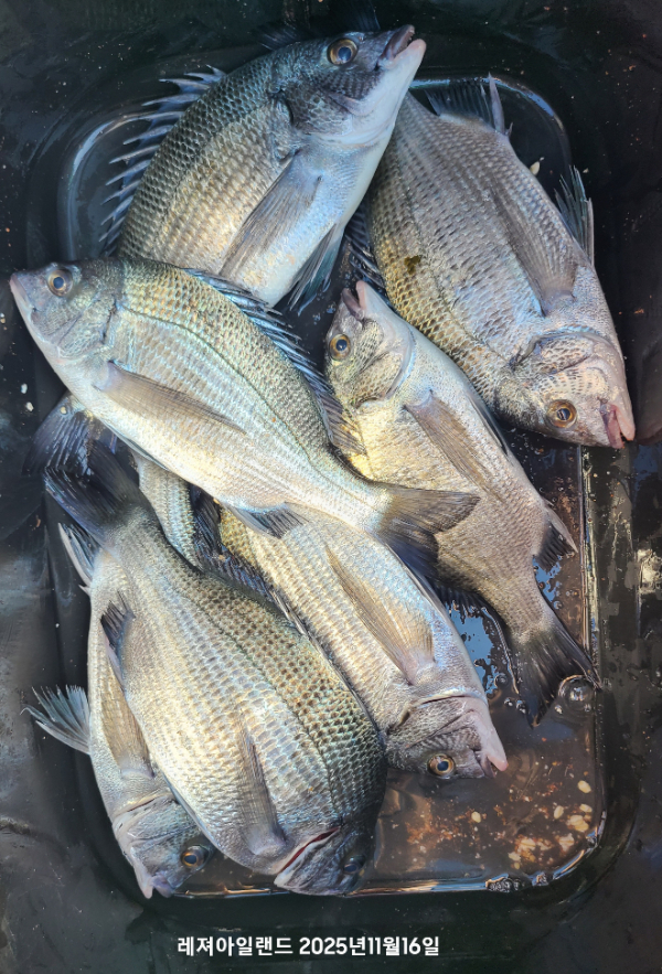
주말/ 돌돔,감성돔,참돔 / 덕우도,황제도 꾸준한 조황 ^^
12월 09일(화)
인낚 현재접속자
4,515명 (
337
)
공지사항
인낚도서관
점주선장전용 공지사항
로그인
광고/제휴 문의
운영진에게
인낚ㅣ인터넷바다낚시
0
어종별선상
어종별갯바위
낚시인조황
점주선장조황
출조정보
낚시광장
낚시지식인
낚시교실
중고장터
휴게실
인낚도서관
인낚몰
0
어종별선상
어종별 선상조황
4대돔 조황
먹물 조황
갈치 조황
볼락&전갱이
빅게임 지깅&파핑
외줄&외수질
기타 어종
어종별 갯바위조황
4대돔 조황
먹물 조황
갈치 조황
볼락&전갱이
농어&삼치&방어&부시리
기타 어종
어종별갯바위
어종별 선상조황
4대돔 조황
먹물 조황
갈치 조황
볼락&전갱이
빅게임 지깅&파핑
외줄&외수질
기타 어종
어종별 갯바위조황
4대돔 조황
먹물 조황
갈치 조황
볼락&전갱이
농어&삼치&방어&부시리
기타 어종
낚시인조황
낚시인 번개조황
낚시인조행기
스탭조행기
우리낚시동호회이야기
전국낚시동호회소개
동호회갤러리
지난 조황자료보기(년도별 조황 자료)
점주선장조황
전국 실시간 조황
선상(배)+좌대 조황
갯바위+방파제 조황
점주선장전용 공지사항
지난 조황자료보기(년도별 조황 자료)
출조정보
낚시인동행출조
점주선장 갯바위 출조
점주선장 선상출조
기상파고정보(기상청)
해상예보
물때표
파고예보(일본)
실시간해양관측예보
스마트조석예보
낚시광장
낚시계뉴스
대회 및 낚시관련 홍보
제품평가단
신상품소개
낚시지식인
Q&A 묻고 답하기
조황/포인트 문의
주간 베스트
낚시용품 사용기
낚시투표
토론방
新어류도감
낚시교실
낚시기법소개
어종별 낚시교실
입문자교실
중급자교실
낚시용어사전
중고장터
중고장터 이용후기
더치트 사기피해 검색
팝니다
삽니다
교환합시다
무료로 드립니다
부품팝니다
부품삽니다
일반 생활용품 사고 팔기
휴게실
출석부
낚시갤러리
세상사는 이야기(자유게시판)
낚시이야기 마당
먹고사는 이야기
구인구직
칭찬합니다
어째이런일이
습득물 찾기
메인
어종별선상
어종별갯바위
낚시인조황
점주선장조황
출조정보
낚시광장
낚시지식인
낚시교실
중고장터
휴게실
0
전국 실시간 조황
선상(배)+좌대 조황
갯바위+방파제 조황
점주선장전용 공지사항
지난 조황자료보기(년도별 조황 자료)
점주/선장 >
갯바위 + 방파제 조황
주말/ 돌돔,감성돔,참돔 / 덕우도,황제도 꾸준한 조황 ^^
레져아일랜드
0
156
11.18 02:19
● 출항지 : 장흥,완도
● 출조인원 : 20명 이상
네임
카드
레져아일랜드
전남 장흥군 회진면 해양낚시길 131 레져아일랜드
010-9567-1126
실시간 예약
홈페이지
밴드 바로가기
유튜브/SNS
*목,금/돌돔,참돔,감성돔을 대상으로 덕우도경유 황제도 출조 합니다.
*** 장흥 레져아일랜드 예약 안내 ***
예약문의 :
010-9567-1126
오시는길 : 전남 장흥군 회진면 해양낚시길 131 레져아일랜드
홈페이지 : https://ireland.sunsang24.com/
밴
드
:https://band.us/band/71091142
0
신고
목록
0
댓글
로그인한 회원만 댓글 등록이 가능합니다.
×
Image Upload
로그인한 회원만 등록가능합니다.
포토
제목
이름
날짜
[부산] 가덕도월척낚시 감성돔 조황입니다
출항지 : 부산 / 출조지 : 부산
가덕도월척낚시
9
3분전
가덕도월척낚시
18:06
[거제] 다대 조황입니다(대도 피싱호)
출항지 : 거제 / 출조지 : 거제
거제대도낚시
35
20분전
거제대도낚시
17:49
[부산] 가덕털보낚시 감성돔5짜!! 4짜 마릿수~학꽁치 마릿수 조황~
출항지 : 부산 / 출조지 : 부산
가덕털보낚시
60
22분전
가덕털보낚시
17:47
[남해] 미조 노구 마안도 갯바위 조황입니다. 12/09
출항지 : 남해 / 출조지 : 남해
남해금성호
43
36분전
남해금성호
17:33
[부산] 가덕자유인낚시 감성돔 조황입니다.
출항지 : 부산 / 출조지 : 부산
가덕도자유인낚시
61
38분전
가덕도자유인낚시
17:31
[거제] 12/9 갯바위 감성돔 조황입니다.
출항지 : 거제 / 출조지 : 거제
장승포낚시갈매기호
42
38분전
장승포낚시갈매기호
17:31
[사천] (유성호) 오늘도 마릿수대박인 내만감성돔조황
출항지 : 사천 / 출조지 : 사천
피싱유성호
53
49분전
피싱유성호
17:20
[통영] 스태] 실시간 터지고 난리네요 4짜조황 수요일06시
출항지 : 통영 / 출조지 : 통영
통영스타피싱
234
49분전
통영스타피싱
17:20
[부산] 12월 9일 생도 태종대 갯바위 조황입니다.
출항지 : 부산 / 출조지 : 부산
영도낚시슈퍼
73
1시간전
영도낚시슈퍼
17:04
[여수,광양] 글로리호 52cm 감성돔 조황입니다
출항지 : 여수,광양 / 출조지 : 여수,광양
글로리피싱
71
1시간전
글로리피싱
16:52
[통영] c척포[제일호] 대물은 팅~팅~~4짜들로~~~
출항지 : 통영 / 출조지 : 통영
척포제일호
78
1시간전
척포제일호
16:48
[부산] 가덕새바지낚시 4짜 감성돔들 ~ 조황
출항지 : 부산 / 출조지 : 부산
가덕새바지낚시
137
1시간전
가덕새바지낚시
16:47
[여수,광양] 글로리호 52cm 감성돔 조황입니다
출항지 : 여수,광양 / 출조지 : 여수,광양
글로리피싱
35
1시간전
글로리피싱
16:45
[여수,광양] 성빈호. 12월 9일 출조다녀왔습니다.
출항지 : 여수,광양 / 출조지 : 여수,광양
여수성빈호
53
2시간전
여수성빈호
16:34
[통영] 완전종일) 감성돔5짜부터 난리부르스~(05시-17시)
출항지 : 통영 / 출조지 : 통영
파워피싱아일랜드호
218
2시간전
파워피싱아일랜드호
16:25
초기화
날짜순
조회순
검색
1
2
3
4
5
Search
검색대상
제목
내용
제목+내용
회원아이디
회원아이디(댓글)
글쓴이
글쓴이(댓글)
또는
그리고
검색어
필수
검색
닫기
검색조건
제목
내용
제목+내용
회원아이디
회원아이디(코)
글쓴이
글쓴이(코)
검색어
또는
그리고
검색
인낚몰 초특가
★500★ W쿠션 멀티 수중찌 M L - 전유동 반유동 끄심바리 필수품 수중쿠션
★5,900★ 여러개 있으면 아주 좋은 EVA 시스템 백
★ 1+1 플로팅, 세미, 카본 낚시줄 행사 호수선택가능 / 택상 1+1 원줄, 목줄 행사
★6,000★ 예민함의 끝판왕 애니원찌 벵에돔찌 학공치찌
★15,000★ 오동목 구멍찌 5개 + 메쉬 찌케이스 세트
★22만원★ 40W 집어등을 이 가격에!
★5,000★ 전층쿠션 15세트입 S / L 사이즈
★2,000★ 전층쿠션 5세트입 S / L 사이즈
★10,000 미니집어등5개 + 425배터리 1개 + 스토퍼고무 10개
★13,500 深海 심해대물 갈치집어등 3개 5LED 오색 집어등 갈치낚시 필수품 건전지3개 포함 수중집어등
★9,900★ 수제공방 갈치 풀치 잔치세트 짬낚시 필수 하나로 끝
★8,650~★ 아부가르시아 카치카치다마 유동식 타이라바 - 80g / 100g / 120g / 140g