카드
거제시 동부면 거제남서로 2271-1
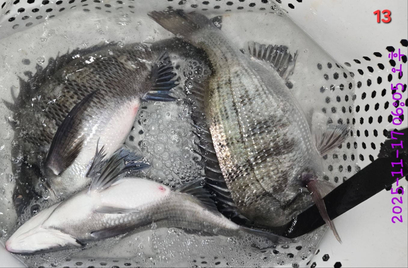
"감성돔" 5짜 5짜 5짜 4짜 4짜 4짜 4짜 4짜 4짜 4짜....
거제시 동부면 거제남서로 2271-1


















북풍과 북서 계열의 바람이 다소 강하게 불었던 월요일과 화요일 기상이었며 ㆍㆍ
갑자기 추워진 날씨에 출조 조사님들도 극소수로 조용한 출조길이었습니다
출조 인원수는 소수였지만 ㆍ 조과 만큼은 화끈하게 올라왔으며ㆍ조과로 이어진 고기보다 채비 터짐이 더 많아 조금 아쉬운 조과였습니다
대물급 감성돔 5짜들과 4짜 조과가 계속되고 있으므로 참고하시고 출조하시면 되겠습니다
내일도 새벽 및 낮 출조 정상 출조합니다
출조하신 조사님 수고 많으셨습니다
사진은 조과 중 몇 컷 올려드립니다
●●● 비진도 및 용초권 새벽 첫 출조 시간은 문의 바람
■ 자세한 출조 공지는 항상 밴드에 공지함
■■ 비진도 용초권 낮 출조는 10시00분 집결 출조 (철수는 17시10분부터 ~ )
●● 4월 ~10월 (긴꼬리. 참돔. 벵에돔. 돌돔. 감성돔. 볼락. 칼치)
1호ㆍ국도. 간여
2호ㆍ구을비도. 매물도
3호ㆍ비진도. 용초도. 죽도. 추봉도
●● 11월 ~ 3월 (감성돔. 무늬. 볼락. 칼치)
1호ㆍ매물도. 대덕도. 소덕도
2호ㆍ죽도. 비진도
3호ㆍ추봉도. 용초도
●● 주소
거제시 거제남서로 2271-1(거제 가배항)
●●● 문의
● 1호ㆍ010 4111 7369
● 2호ㆍ010 3551 7369
● 3호ㆍ010 6671 6339
▶ 지켜주세요! ◀
- 당일 조황을 올리셔야 합니다.
- 지난 조황은 2일이내 미등록 조황만 가능합니다.
- 이미 올린 조황을 붙여넣기하여 계속 등재하시면 중복조황에 해당합니다.
- 당일 조황을 올리면서 이전 조황을 같이 올리면 중복조황에 해당합니다.
- 조황없는 출조정보는 출조정보 게시판을 이용하시길 바랍니다.
- 올린 글 삭제하고 다시 올려 상단에 올리려는 방법, 이용규칙 위반입니다.
- 제목에 특수문자 사용하시면 안됩니다. (온점, 쉼표, 느낌표, 괄호, 물결만 허용)
☆ 공지사항에 '조황등재시 유의사항' 게시글을 꼭 확인하시고 조황작성 부탁드리며, 가장 기본적인
규칙이 지켜지지 않을 시 예고없이 글 삭제 및 이용정지 될 수 있음을 알려드립니다.
|
|
|
|

