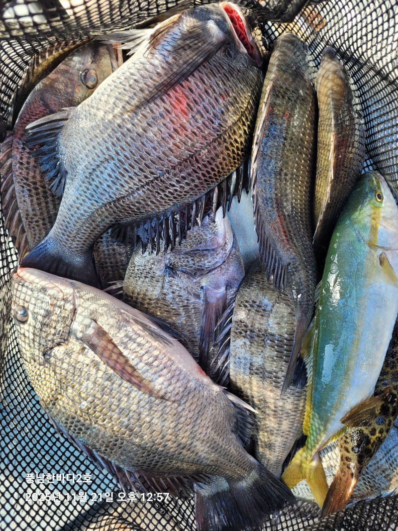
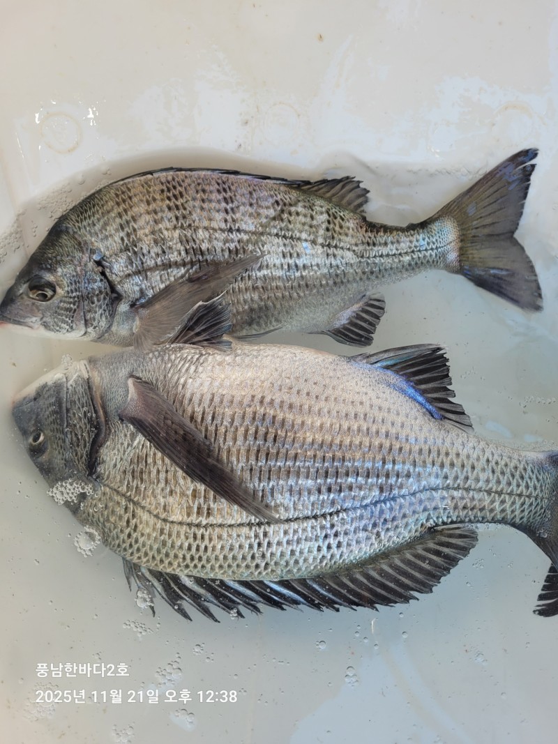
21일 금요일 초도권 조황 입니다.

신상품 소개


회원 랭킹


공지사항


NaverBand
점주/선장 > 갯바위 + 방파제 조황

21일 금요일 초도권 조황 입니다.

고흥한바다2호 0 275
● 출항지 : 고흥,녹동 ● 출조지 : 고흥,녹동
실시간 예약 밴드 바로가기

오늘도 고생들 많으셨습니다.


월요일 초도권 당일 낚시 출조합니다.


고흥 한바다2호: 010 -4612 -7015

배타는 곳: 전남 고흥군 풍양면 풍남항 5fbc89c5b313cf2a6d9a36af63ffd2e1_1763706725_323.jpg



5fbc89c5b313cf2a6d9a36af63ffd2e1_1763706729_1531.jpg



5fbc89c5b313cf2a6d9a36af63ffd2e1_1763706732_7775.jpg



5fbc89c5b313cf2a6d9a36af63ffd2e1_1763706748_0734.jpg



5fbc89c5b313cf2a6d9a36af63ffd2e1_1763706751_6608.jpg



5fbc89c5b313cf2a6d9a36af63ffd2e1_1763706764_8407.jpg



5fbc89c5b313cf2a6d9a36af63ffd2e1_1763706768_4181.jpg



5fbc89c5b313cf2a6d9a36af63ffd2e1_1763706771_7522.jpg


 

  • 페이스북으로 보내기
  • 트위터로 보내기
  • 구글플러스로 보내기
  • 카카오스토리로 보내기
  • 네이버밴드로 보내기
  • 네이버로 보내기
  • 텀블러로 보내기
  • 핀터레스트로 보내기
0 댓글
포토 제목
 
 

인낚 최신글


인낚 최신댓글


온라인 문의 안내


월~금 : 9:00 ~ 18:00
토/일/공휴일 휴무
점심시간 : 12:00 ~ 13:00