비.바람속 전원 감성돔 손맛..
인낚ㅣ인터넷바다낚시
어종별선상
어종별갯바위
낚시인조황
점주선장조황
출조정보
낚시광장
낚시지식인
낚시교실
중고장터
휴게실
인낚도서관
인낚몰
0
홈
어종별선상
어종별갯바위
낚시인조황
점주선장조황
출조정보
낚시광장
낚시지식인
낚시교실
중고장터
휴게실
인낚도서관
인낚몰
어종별선상
어종별갯바위
낚시인조황
점주선장조황
출조정보
낚시광장
낚시지식인
낚시교실
중고장터
휴게실
인낚도서관
인낚몰
어종별선상
4대돔 조황
먹물 조황
갈치 조황
볼락&전갱이
빅게임 지깅&파핑
외줄&외수질
기타 어종
어종별갯바위
4대돔 조황
먹물 조황
갈치 조황
볼락&전갱이
농어&삼치&방어&부시리
기타 어종
낚시인조황
낚시인 번개조황
낚시인조행기
스탭조행기
우리낚시동호회이야기
전국낚시동호회소개
동호회갤러리
지난 조황자료보기(년도별 조황 자료)
점주선장조황
전국 실시간 조황
선상(배)+좌대 조황
갯바위+방파제 조황
점주선장전용 공지사항
지난 조황자료보기(년도별 조황 자료)
출조정보
낚시인동행출조
점주선장 갯바위 출조
점주선장 선상출조
기상파고정보(기상청)
해상예보
물때표
파고예보(일본)
실시간해양관측예보
스마트조석예보
낚시광장
낚시계뉴스
대회 및 낚시관련 홍보
제품평가단
신상품소개
낚시지식인
Q&A 묻고 답하기
지식인 베스트
조황/포인트 문의
낚시용품 사용기
낚시투표
토론방
新어류도감
낚시교실
낚시기법소개
어종별 낚시교실
입문자교실
중급자교실
낚시용어사전
중고장터
중고장터 이용후기
더치트 사기피해 검색
팝니다
삽니다
교환합시다
무료로 드립니다
부품팝니다
부품삽니다
일반 생활용품 사고 팔기
휴게실
출석부
낚시갤러리
세상사는 이야기(자유게시판)
낚시이야기 마당
먹고사는 이야기
구인구직
칭찬합니다
어째이런일이
습득물 찾기
인낚도서관
인낚 유튜브
인낚 칼럼
블루, 그것이 알고싶다
더블테일의 두 눈으로 보는 세상
입질의추억의 피싱다이어리
나無의 바다 이야기
전문강좌
海巖의 바다낚시 이야기
이성규의 전유동낚시 강좌
조성민의 금요루어클럽
인낚몰
홈소개
공지사항
자주 묻는 질문
운영진에게
광고/제휴문의
로그인
자동로그인
회원가입
|
정보찾기
점주선장조황
전국 실시간 조황
선상(배)+좌대 조황
갯바위+방파제 조황
점주선장전용 공지사항
지난 조황자료보기(년도별 조황 자료)
신상품 소개
긱스 나노에이스
낚시고 미장구레 VIP 대본류 벵에돔 파우더
낚시고 위력 벵에돔 파우더
천류 카모 피싱백
천류 레자 피싱백
zzis 찌스 전자기울찌 호리존탈 전유동전용 출시!
회원 랭킹
29
1
대부도1
27
2
왕초보태공
26
3
울트
26
4
오사마리
15
5
시작하는채비와장비
15
6
마루미르
14
7
로그온
13
8
꿈의사냥5짜
12
9
Nike1972
12
10
bk2
11
11
거제그놈
11
12
잡어바글바글
10
13
방어지코
10
14
블루홀리
10
15
상석바위
9
16
쌩기똥기
9
17
대물헌트
9
18
sss1185
9
19
군산감생킬러
9
20
부산그녀석
9
21
벵병
8
22
삼정그린토아
8
23
즐낚쵝오
8
24
개꽝도사
8
25
내만벵에
8
26
젠틀낚시
8
27
목줄은내꺼
8
28
쌍칼라
8
29
리치망고제주
8
30
타짜감시
8
31
퓨나인
8
32
감성돔대장
7
33
고기잡으세
7
34
새조개
7
35
벵에만한다
7
36
영종도청이
7
37
육짜방생
7
38
벵에저격수ㅋㅋ
7
39
4계절벵에
7
40
바다가인
7
41
취한다
7
42
블루피싱호
6
43
검은바다
6
44
여수태평양전동릴
6
45
G3매니아
6
46
신용대
6
47
감성전설
6
48
감생똥자
6
49
감시마을
6
50
배팡
6
51
여조사
6
52
보이는게다야
6
53
미풍
6
54
울산동구27
6
55
갓바우조사
6
56
앵그리정
6
57
구태2
6
58
모카사랑해
6
59
아빠어부야
6
60
동해살감시
6
61
민쓰
5
62
치악산돼지
5
63
바다의귀공자™
5
64
심통구리
5
65
엘리트낚시꾼
5
66
촌놈남해
5
67
긴꼬리망상돔
5
68
시간없어이것들아
5
69
번디기
5
70
연산동아톰
5
71
대발22
5
72
존갈리아노
5
73
양산서가이드피싱샵
5
74
최리무진
5
75
HoYaHoYa
5
76
방생또방생
5
77
한번만쮸
5
78
제롬느벤너
5
79
밖미역섬
5
80
Donf까
5
81
포포님
5
82
김갈치
5
83
나라스카이2.5
5
84
굼낚시왕
5
85
말랑파파
5
86
사하주민
4
87
지금부터시작해보자
4
88
김감시
4
89
물망사
4
90
놈을찾아
4
91
황금비율습식
4
92
내가가면주의보
4
93
무릅고배이
4
94
바다사나이월천
4
95
니코보코
4
96
물멍r
4
97
코리아테츠야
4
98
xiao
4
99
랜튼
4
100
붉은파도
공지사항
09.01
★ 2025년 9월 5일 사이트 리뉴얼 오픈 안내
06.09
★ "Connect Error: No such file or directory" 에러가 발생시
05.29
★ 카이퍼넷 방화벽 차단시 설정방법
07.03
★ 사이트 정상운영 ★ 24.07.03
06.19
★ 사이트 정상운영 ★ 24.06.19
06.17
★ 사이트 정상운영 ★
06.14
★ 서비스 일시정지 - 서버이전작업 ★
07.14
★ 112차 제품평가단 위촉 명단 발표
07.07
★ 112차 제품평가단모집 - 1차
11.01
★ 111차 제품평가단 위촉 명단 발표
점주/선장 >
갯바위 + 방파제 조황
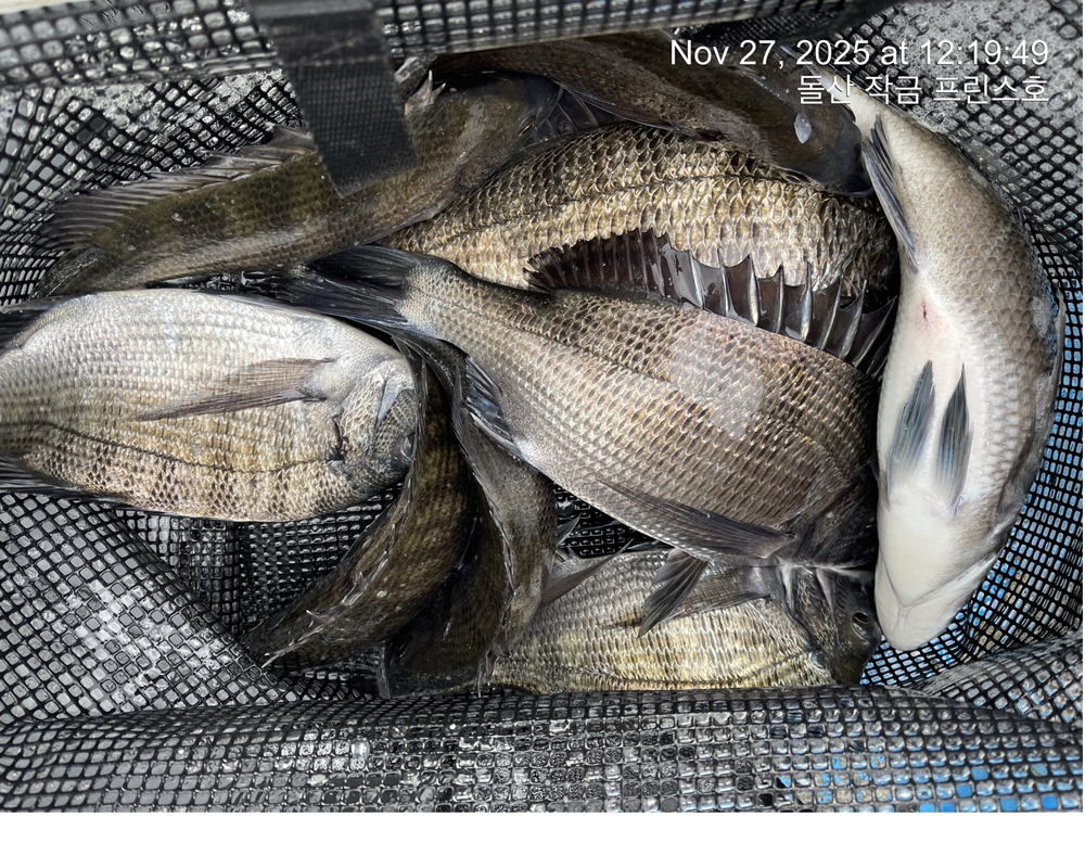
비.바람속 전원 감성돔 손맛..
돌산작금프린스호
0
373
2025.11.27 16:30
● 출항지 : 여수,광양
● 출조지 : 여수,광양
● 출조인원 : 6~10명
네임
카드
돌산작금프린스호
여수시 돌산읍 돌산로655-13
010-3514-9648
실시간 예약
홈페이지
밴드 바로가기
유튜브/SNS
돌산 작금 프린스호 입니다
오늘은 요란한 날씨을보이며
철수을해야 하나 고민될 정도..
백파가 일어나고 물보라까지
날리며 힘든 하루였지만
대체로 호조황을 보여 주네요
대부분 포인트에서
틀채 대면서 릴링도중 터지기을
반복 손맛만 보셨다고들 합니다
내일은 날씨가 많이 좋아질듯
04시출항해 보겠습니다
출조예약시
010. 3514. 9648
찾아오시는길
여수시 돌산읍 돌산로655
0
신고
목록
0
댓글
로그인한 회원만 댓글 등록이 가능합니다.
×
Image Upload
로그인한 회원만 등록가능합니다.
포토
제목
이름
날짜
[남해] 미조권 갯바위 감성돔조황 입니다^^(5짜가 수두록~~)
출항지 : 남해 / 출조지 : 남해
미조낚시천국
38
11분전
미조낚시천국
18:01
[부산] 가덕한바다낚시조황
출항지 : 부산 / 출조지 : 부산
한바다낚시
20
12분전
한바다낚시
18:00
[남해] 오늘조황
출항지 : 남해 / 출조지 :
남해빅마마호
25
13분전
남해빅마마호
17:59
[거제] 양지암 갯바위 감성돔 학공치 소식입니다
출항지 : 거제 / 출조지 : 거제
능포나이스낚시
39
14분전
능포나이스낚시
17:58
[사천] (유성호) 25일 내만권감성돔 마릿수조황입니다
출항지 : 사천 / 출조지 : 사천
피싱유성호
23
16분전
피싱유성호
17:57
[거제] 해금강 감성돔 48Cm 이하 잔당들 조황
출항지 : 거제 / 출조지 : 거제
해금강태성낚시
23
19분전
해금강태성낚시
17:53
[부산] 가덕새바지낚시 4짜 감성돔마릿수 & 학꽁치조황
출항지 : 부산 / 출조지 : 부산
가덕새바지
53
20분전
가덕새바지
17:52
[거제] 1/25 갯바위 53 48 외 4짜 감성돔 및 벵에돔 학꽁치 조…
출항지 : 거제 / 출조지 : 거제
장승포낚시갈매기호
51
23분전
장승포낚시갈매기호
17:49
[남해] 1월25일 풍성호 갯바위 판데기조황
출항지 : 남해 / 출조지 : 남해
풍성호
46
25분전
풍성호
17:48
[여수,광양] 25일 최저가패키지 금오열도 대물감성돔 46, 41, 41cm+…
출항지 : 여수,광양 / 출조지 :
여수성신낚시
28
29분전
여수성신낚시
17:43
[부산] 가덕털보낚시 감성돔5짜!!53,50,50cm외4짜 바글바글!!!…
출항지 : 부산 / 출조지 : 부산
가덕털보낚시
86
34분전
가덕털보낚시
17:39
[통영] 좋은기상에 종일중~낼(월)출항확정~좌사리까지갑니다~
출항지 : 통영 / 출조지 : 통영
비키라피싱
202
38분전
비키라피싱
17:35
[부산] 해동낚시/뉴해동호 태종대갯바위 4짜초중반외마릿수이벤트
출항지 : 부산 / 출조지 : 부산
뉴해동호해동낚시
35
38분전
뉴해동호해동낚시
17:34
[거제] 야간 볼락 조황 17:30출항~24:00철수~
출항지 : 거제 / 출조지 : 거제
해림호
40
57분전
해림호
17:15
[통영] 5짜 감성돔 탈참 학꽁치 조황 입니다 내일 오전 7시 출조합니다
출항지 : 통영 / 출조지 : 통영
통영삼덕삼성1호
68
58분전
통영삼덕삼성1호
17:14
[통영] [[척포은성호]]4짜감시~뽈라구~학꽁치~~~
출항지 : 통영 / 출조지 : 통영
척포은성호
43
1시간전
척포은성호
17:11
[부산] 가덕일호낚시 5짜 감성돔 조황
출항지 : 부산 / 출조지 : 부산
가덕도일호낚시
106
1시간전
가덕도일호낚시
17:07
[통영] 척포[제일호] 대물 5짜,5짜외 덩치급들 마릿수로~~~
출항지 : 통영 / 출조지 : 통영
척포제일호
75
1시간전
척포제일호
17:07
[통영] 통영 박가이드)감성돔 48.45 조황 입니다.
출항지 : 통영 / 출조지 : 통영
통영박가이드피싱
41
1시간전
통영박가이드피싱
17:01
[통영] 척포[제일호] 5짜 참돔( 마릿수로~학꽁치도 쿨러로~~
출항지 : 통영 / 출조지 : 통영
척포제일호
76
1시간전
척포제일호
16:54
[통영] 스타]욕지권/갈도 종일중 월요일 06시 종일 대물잡으로 갑니다
출항지 : 통영 / 출조지 : 통영
통영스타피싱
81
2시간전
통영스타피싱
16:25
[통영] 욕지]감성돔조황~낼은 좌사리까지(월05시)
출항지 : 통영 / 출조지 : 통영
통영탑피싱
92
2시간전
통영탑피싱
16:17
[통영] 척포)최선장~학꽁치~형광등부터 중치급들까지~~
출항지 : 통영 / 출조지 : 통영
척포최선장
67
2시간전
척포최선장
16:05
[통영] 완전종일)탱크51,50외 터지고 난리부르스(05시-17시)
출항지 : 통영 / 출조지 : 통영
파워피싱아일랜드호
118
2시간전
파워피싱아일랜드호
15:57
[통영] 척포)최선장~대물 5짜,5짜외 팅~~팅~~
출항지 : 통영 / 출조지 : 통영
척포최선장
142
2시간전
척포최선장
15:53
[통영] 아쿠아] 5짜5짜4짜4짜4짜4짜 낼도갑니다~
출항지 : 통영 / 출조지 : 통영
통영아쿠아피싱
132
3시간전
통영아쿠아피싱
15:35
[통영] 떼고기 50마리~4짜4짜4짜4짜4짜4짜4짜4짜
출항지 : 통영 / 출조지 : 통영
통영대박피싱
184
3시간전
통영대박피싱
15:35
[여수,광양] 1/25 금오열도권,, 감성돔 조황~^^
출항지 : 여수,광양 / 출조지 : 여수,광양
여수아가미피싱
125
3시간전
여수아가미피싱
15:30
[부산] 만남피싱46/44외감성돔조황입니다
출항지 : 부산 / 출조지 : 부산
가덕도만남피싱
104
3시간전
가덕도만남피싱
15:25
[통영] 완전종일) 욕지권감성돔~(05시-17시)
출항지 : 통영 / 출조지 : 통영
파워피싱아일랜드호
160
3시간전
파워피싱아일랜드호
15:25
초기화
날짜순
조회순
검색
1
2
3
4
5
6
7
8
9
10
Search
검색대상
제목
내용
제목+내용
회원아이디
회원아이디(댓글)
글쓴이
글쓴이(댓글)
또는
그리고
검색어
필수
검색
닫기
검색조건
제목
내용
제목+내용
회원아이디
회원아이디(코)
글쓴이
글쓴이(코)
검색어
또는
그리고
검색
인낚 최신글
17:49
야간낙지 왕낙지들 사이즈 최고최고~!!쭉~뽑고~!!(월,화,수 예약중)
17:49
가거도~!!! 금/밤출발~1박2일 민박낚시 갑니다.
17:49
1/25 갯바위 53 48 외 4짜 감성돔 및 벵에돔 학꽁치 조황입니다.
17:48
1월25일 풍성호 갯바위 판데기조황
17:47
가덕천성진양 좌대낚시 조황 (26/1/25/일)
17:45
오리온!원도권문어!대물 찾으러 원도권으로 달립니다~내일예약가능
17:44
<<안골 해성호감성돔 카고 조황-내일예약가능>>
17:44
낚시광 열기 쿨러조황~~
17:43
25일 최저가패키지 금오열도 대물감성돔 46, 41, 41cm+덤,덤,덤으로.......
17:42
통영 금정호 대물감성돔 카고 조황! 내일 흘림자리있습니다
17:42
통영 금정호 대물감성돔 카고 조황! 내일 흘림자리있습니다
17:39
가덕털보낚시 감성돔5짜!!53,50,50cm외4짜 바글바글!!! /학꽁치 조황~
17:37
가마가츠 데니오스 1.25-530
17:37
22이그지스트 2000
17:35
좋은기상에 종일중~낼(월)출항확정~좌사리까지갑니다~
17:35
먹물왕오징어 빵빵터지고~예약가능합니다
17:34
해동낚시/뉴해동호 태종대갯바위 4짜초중반외마릿수이벤트
17:34
2K 1.4K까지~ 쿨러 조황~ 추운 날씨에도 문어가!!!
17:32
대물감시카고52짜4짜3짜마릿수굿~손맛보려고
17:30
21테크늄 3000 우핸 +보조스플
17:30
"감성돔" 47.46.45.45등4짜들~ 초보님들 3분독배 조황 좋아요~(예약가능)
17:26
(감성돔)깊은 어초 공략~잘생긴 4짜 손맛 홍부장피싱(26일 예약)
17:26
#거제어구수성호#감성돔 등 금일조황
17:25
감성돔(흘림)빅싸이즈!4짜감성돔!우당탕탕,월요일출항(예약가능)
17:24
~**감성돔 찌낚시조황~(예약가능)**~
17:24
흘림 대물감성돔 가족독배나들이 53 49 49 등등(토요일조황)
17:23
[신조선]원도권문어1120g급장원16수마릿수손맛굿~
17:20
시마노 RT-112T 낚시복 M , L 사이즈 매물 찾습니다
17:20
오리온피싱:내일도원도권 달립니다~내일예야가능
17:20
오리온!원도권문어!대물 찾으러 원도권으로 달립니다~내일예약가능
17:18
준원도권돌문어 너도나도 먹물파티 예약!!
17:18
(문어)원도권 직항~2K오버~K전후 퍽 퍽~락피싱(26일 예약)
17:16
내일 감성돔흘림 달립니다 2분예약중 자리여유 많습니다 출조확정 입니다
17:15
야간 볼락 조황 17:30출항~24:00철수~
17:14
오리온!원도권문어!최고의 손맛 원도권으로 달립니다~내일예약가능
17:14
마스타2구태 mh53을 mh50으로
17:14
5짜 감성돔 탈참 학꽁치 조황 입니다 내일 오전 7시 출조합니다
17:13
야간낙지 조항(선비5만)시즌 빅2 EVENT~26일 월욜(출조확정)7자리 예약가능 합니다
17:11
[[척포은성호]]4짜감시~뽈라구~학꽁치~~~
17:10
(통영)왕볼락27~20Cm 마릿수 외 손님고기들~뉴그린호(오늘 예약 가능)
17:08
(선외기)초대박 감성돔떼~5짜 외 4짜 중후반 탱크들~(26일 예약)
17:07
4짜들 흘림조황입니다
17:07
가덕일호낚시 5짜 감성돔 조황
17:07
1/25 강백호 대박 조황, 트리플 히트까지!
17:07
척포[제일호] 대물 5짜,5짜외 덩치급들 마릿수로~~~
17:06
감성돔 흘림4짜들외조황
17:01
통영 박가이드)감성돔 48.45 조황 입니다.
16:59
감성돔 거제인성낚시
16:58
54,51,50,49 대물부터 마리수 타작 감성돔 조황
+1
16:57
대짜 왕~열기 내일 출조~ 06시
인낚 최신댓글
17:12
가마 노플라이존 하고 비슷 하다보고요 작년에 노플라이존 입어봤는데 빨대 뚫고 들어 왔습니다...!!!ㅎㅎㅎㅎ…
16:58
내일도 출동합니다~!!! 널널하게 손맛보러 가실 분 연락주세요^_^
16:58
26일(월) 주간열기낚시 예약가능합니다. 06시까지 오시면 자리추첨후 출조합니다.
11:01
26일(월) 출동!!! 좋은 날 최강과 원줄 흘리러 가실 분 연락주세요^_^
10:36
26일(월) 주간열기낚시 예약가능합니다. 06시까지 오시면 자리추첨후 출조합니다.
10:26
26일(월) 출동!!! 좋은 날 최강과 원줄 흘리러 가실 분 연락주세요^_^
10:00
내일 예약 가능합니다
09:58
내일 예약 가능합니다
09:03
낼 예약가능 합니다
07:26
01.24
구태f50 한번써보고 싶었는데 결국 못 구했네요. 저도안써봤지만 이번 구레f도 아틀도 참 잘나온듯합니다. 후…
01.24
저도 인해스페셜 너무좋아합니다. 클레버헌트 도 궁금하네요. 후기감사합니다^^
01.24
굿우우우웃~
01.24
01.24
2506스풀은 16년식이전 모든스피닝릴 다.호환됩니다. TL들어간약자 18년식부터는 호환안됩니다. 하이텐보조…
01.24
3대 원도권가면 감성돔대 말고 벵에대 드는게 좋습니다 감성돔만 물어주질 않으니깐요 19아틀 1.5호 사용중인…
01.24
보증서만 구하신다면 또 사용가능하십니다.
01.24
원도권을 다니시니 저라면 1.5호로 가겠습니다. 심적으로 안정감도 들테구요
01.24
월요일 이후 쭉 예약가능 합니다
01.24
@한실 ㅋㅋㅋ사진 기가 막힌데요?ㅎㅎ
01.24
뽈락 씨알들이 참 좋으네요~
01.24
설명 감사합니다
01.24
어텐더 2-3배 가격대의 모두들 조타는 낚시대도 있지만 어텐더2만 고집하는 1인 입니다. 제가 조아하는 이유…
01.24
문자 이제 봤네요 출조지 몇칠예정 입니까?
01.24
26일(월) 주간열기낚시 예약가능합니다. 06시까지 오시면 자리추첨후 출조합니다.
01.24
오~
01.24
21 인해스페셜. 중고가 40~60 사이(수리 이력 없을경우입니다)
01.24
^^
01.24
^^
01.24
01.24
01.24
25일(일) 내일 2자리 여유 있습니다^_^
01.24
25일(일) 내일 2자리 여유 있습니다^_^
01.24
그게 아마도 제조사 낚시대 차이 인듯 합니다 저도 한동안 가마대 사용하다 시마노대쓰면 낚시대 성향차이 있어서…
01.24
호야님 말씀그대로 입니다. 명불허전 표현이 딱 이네요. G5 주력대로 사용하다보니 앞쏠림 있긴하지만 둔감한 …
01.24
저도 병처럼 신상로드 써봐야 직성이 풀려 이렇다할 주력로드는 없는듯 하내요 그나마 오래찐득히 사용한 로드는 …
01.24
바늘에 묶은 목줄이 바늘쪽으로 돌려져있는게 좋습니다 반대쪽이면 잘빠진다는 이야기 들어봤습니다
01.24
혹한입니다 쉬세요
01.24
저는 벵에 낚시만 하니까 파블 클레버헌트 그리고 눈맛대로 인해스페셜 1.2호대로 정했습니다. 휘는맛이 예술이…
01.24
맞습니다
01.24
파블은 구레경기급이 아닙니다... 마스터모델이나 어텐더 급이지... 구레경기와 비교하면 당연히 쿼터가 좋습니…
01.24
가마가츠사의 좋은 점 딱 금액만큼만 만든다 입니다 구태MH50이면 우리나라에 있는 감성돔 벵에돔 다 잡을 수…
01.24
타사라는 범위가 넓어 기준을잡기어렵지만 어텐더 태생이 벵에돔 전용대이다보니 감성돔 전용 06대들과 비교하면 …
01.24
호야님 감사합니다 ^^ 어텐더2 06호가 타제조사 연질 08호 정도의 강도 나올까요?
01.24
오래전 레마레4 잠깐 사용했었는데 4만해도 든든했던기억이 있네요. 저는 2호이상 잘흔들지않아서 아쉽지만 떠나…
01.23
G5 시간이 지나도 역시 명불허전이죠. 높은호수1.75호 53은 하부손잡이가 길어서 들고있을만 하던데 1.2…
01.23
한때 어텐더2에 미쳐 2.25 2.5호수 빼고 전호수다사용해봤습니다. 낚시후 닦아준후 건조잘해서 보관하시면 …
01.23
아틀 1호만 해도 충분한 듯 합니다 쿼터가 있는데 굳이 1.2호나 1.5호로 갈 이유가 없을 것 같네요 물론…
01.23
있어요 같은 대를 두대 샀는지 한대 샀는지는 아무도 모릅니다
01.23
선장들 말로는 많이 줄었다고 하는데 주말 출조객은 그대로인거 같습니다
온라인 문의 안내
*운영진에게 문의
*광고/제휴 문의
월~금 : 9:00 ~ 18:00
토/일/공휴일 휴무
점심시간 : 12:00 ~ 13:00
인낚몰 초특가
MAEK 맥 호래기 대바늘 호래기콕 J타입 (카본바디 2입)
어부공방 NEW 호래전
야마시타 SB 호래기 대바늘
★3,000★ 하야부사 6단 볼락 전갱이 카드채비 SD724 볼락채비
★1,000★볼락낚시에 최적인 메바트로볼 - 캐스팅볼, 메바볼
★13,000~★3NO 일본 오리지날 직수입 극강 멀티 무광 마크사 원줄
★500★ W쿠션 멀티 수중찌 M L - 전유동 반유동 끄심바리 필수품 수중쿠션
★5,900★ 여러개 있으면 아주 좋은 EVA 시스템 백
★ 1+1 플로팅, 세미, 카본 낚시줄 행사 호수선택가능 / 택상 1+1 원줄, 목줄 행사
★6,000★ 예민함의 끝판왕 애니원찌 벵에돔찌 학공치찌
★15,000★ 오동목 구멍찌 5개 + 메쉬 찌케이스 세트
★22만원★ 40W 집어등을 이 가격에!