네임
카드
카드
글로리피싱
여수시 돌산읍 신기길 91
010-2883-3119
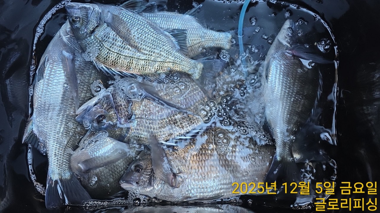
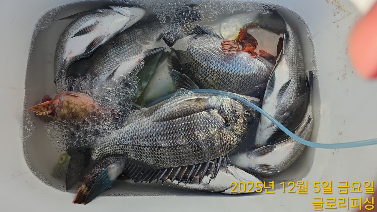
글로리호 조황입니다
여수시 돌산읍 신기길 91

46, 45, 44cm급 감성돔~!! 풍랑 주의보 이상급 바람이 불었던 날이었습니다.
항상 그렇든 바람 영향 없는 포인트에서 손맛들 보시고 배에 오르시네요.
80%정도 손맛 보신 것 같습니다.덩치급들도 꾸준히 나오는 걸 보니
조만간 50cm급 감성돔 사진을 자주 올릴 수 있을 거 같은 느낌입니다.
주말 기상이 아주 좋아집니다. 많은 분들 손맛 보실 수 있도록 열심히 달리겠습니다!!












1-1. 출항 시간
1-3. 글로리피싱 밴드 안내
https://band.us/@gloryfishing
|
|
|
|

