네임
카드
카드
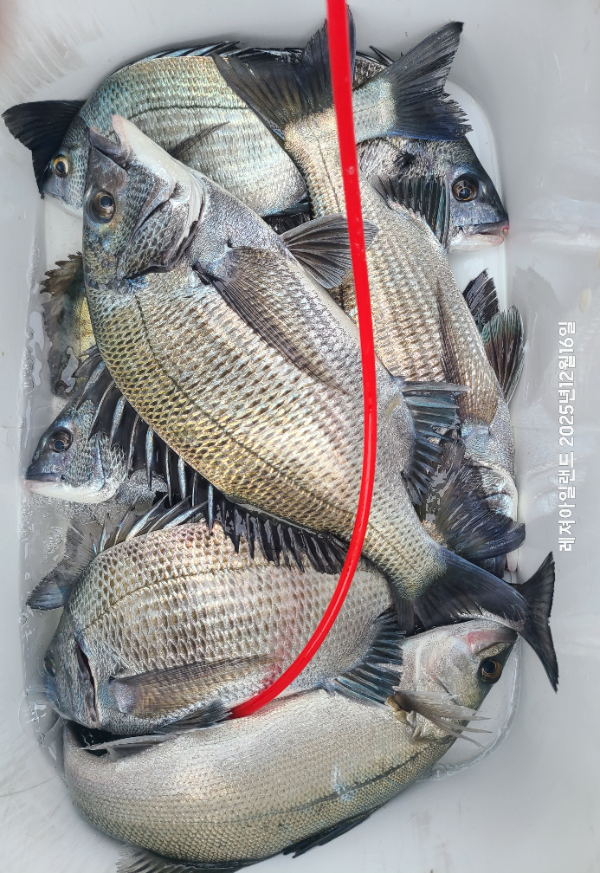
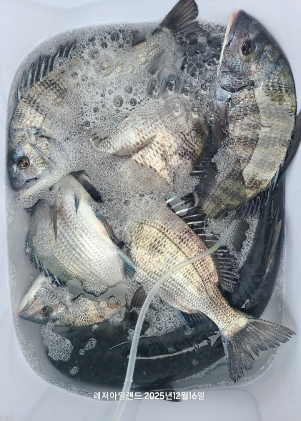
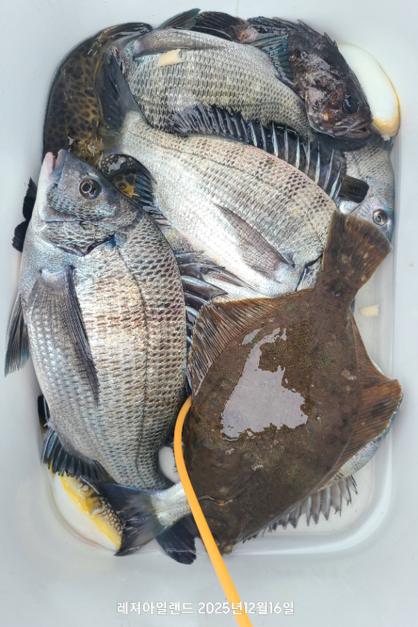
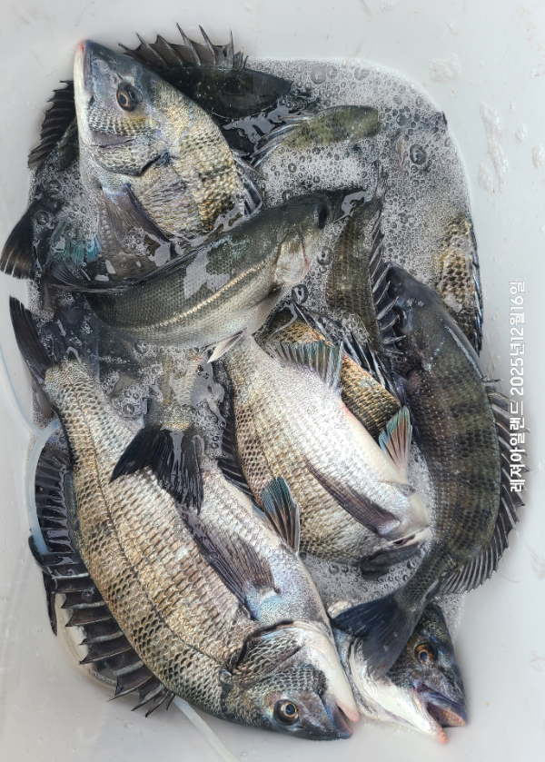
레져아일랜드
전남 장흥군 회진면 해양낚시길 131 레져아일랜드
010-9567-1126
전남 장흥군 회진면 해양낚시길 131 레져아일랜드





















*** 장흥 레져아일랜드 예약 안내 ***
예약문의 : 010-9567-1126

|
|
|
|

