낚시뚜에서 인낚으로 보내는 자동조황 | 녹동갯바위 실전낚시 |  |
내일도 기상여건이 좋습니다 금요일 새벽 감성돔을 대상으로 출항합니다
|
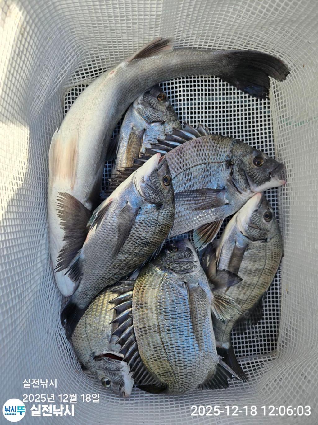
| · 출조일시 | 2025-12-18(목) | | · 출조인원 | 18명 | | · 어종 | 감성돔 |
|
|
실전낚시 입니다
**기상만 허락하면 감성돔,참돔,벵에돔,돌돔에 추적은 계속됩니다. 계절낚시를 좋아하는 갯바위 전문점으로서 돌돔,참돔,벵어돔,감성돔들과의 사랑놀이를 즐기려고 노력 하겠습니다~~~ *^^* *** 신분증 꼬~~옥 지참하셔야 됩니다. *** 구명조끼도 꼬~옥 착용하시구요~~~(매장에 대여용 준비되어 있습니다) *** 손소독제 매장과 배에 비치되어있습니다. ***본인과 타인을 위해서도 마스크 꼭 착용해주세요.
*** 갯바위 전용선으로 (9.77t) 출항 합니다*** *** 단체.동호회팀.야영팀~ 쭈욱 달려보렵니다.*** 먼바다권: 거문도
중내만권: 부도.섭도.다랑도.병풍도.장도.초도
감성돔.돌돔.참돔.벵에돔.볼락을 대상으로 출항합니다 초도.장도.거문도 30년이상 운전하고 낚시한 선장이 직접 가이드 합니다. ***생활낚시 출항합니다~~^^
선단 : 10월~6월- 부쉬리 방어 지깅,파핑,참돔타이라바,먼바다갑오징어 4월~8월- 쏨벵이.붉바리.한치 7월~12월- 문어.갑오징어.쭈꾸미 8월~12월- 칼치. 텐빈 *** 루어 , 애기, 봉돌, 기타채비 준비되어 있습니다. ^---^
↓↓밴드주소↓↓
갯바위낚시 https://band.us/@siljeonfishing
생활낚시 https://band.us/@sgbp 홈페이지 방문 --> Click!!
|
|
금요일 토요일 기상여건이 좋습니다 감성돔을 대상으로 다랑도 부도 섭도 장도권으로 출항합니다 |
           기상만 허락하면 감성돔 참돔 벵에돔 돌돔에 추적은 계속됩니다
|
스마트승선 - 승선명부작성 https://ebk.kr/registration/ |

**포인트 선정에 신중을 기하여 즐거운하루가 될수있도록최선을 다하겠습니다** 조금 여유있게 도착하셔서 따뜻한 커피한잔과 조황 정보와 낚시 이야기를 함께 나누면 더욱 좋겠죠~~*^^*
********* 미리 예약 해주시면 감사하겠습니다*********** **미끼류 (크릴 파우더 압맥 청갯지렁이 성게등등~~) 종류별로 준비되어 있습니다 **돌돔미끼는 (보라성게.말똥성게.전복.참갯지렁이,게고동) 꼭 예약부탁드립니다!!!
매장 주소(네비게이션): 고흥군 도양읍 봉암리 2788-1 (녹동 썬비치 호텔옆). 신 주 소 : 고흥군 도양읍 비봉로 189번지 매장영업시간: 365일 ~~ 24시간 영업
휴대전화 : 0 1 0 - 7 1 1 4 - 1 2 5 5 매장전화 : 0 6 1 - 842 - 3657
↓↓밴드주소↓↓ 갯바위낚시 https://band.us/@siljeonfishing
생활낚시 https://band.us/@sgbp 배타는곳 : 매장 바로 앞~~^^ 주차하시고 바로 승선 하세요~~~*^^* 주차장 : 엄청 넓구요~~~^^ ** 정확한 포인트 설명과 조사님의 입장에서 생각하는 자세로 최선을 다하겠습니다~~*^^** |
|
| 네비주소 : | 고흥군 도양읍 봉암리 2788-1 (녹동 썬비치 호텔옆) |
| |
|  | | 녹동갯바위 실전낚시 김지송 선장 |  | | 항구명 | 녹동항 | | 승선인원 | 22명 | | 출조점명 | 실전낚시 | | 배 타는 곳 | 출조점 앞 선착장 |
| 홈페이지 바로가기 Click |
|
 |
▶ 지켜주세요! ◀
- 당일 조황을 올리셔야 합니다.
- 지난 조황은 2일이내 미등록 조황만 가능합니다.
- 이미 올린 조황을 붙여넣기하여 계속 등재하시면 중복조황에 해당합니다.
- 당일 조황을 올리면서 이전 조황을 같이 올리면 중복조황에 해당합니다.
- 조황없는 출조정보는 출조정보 게시판을 이용하시길 바랍니다.
- 올린 글 삭제하고 다시 올려 상단에 올리려는 방법, 이용규칙 위반입니다.
- 제목에 특수문자 사용하시면 안됩니다. (온점, 쉼표, 느낌표, 괄호, 물결만 허용)
☆ 공지사항에 '조황등재시 유의사항' 게시글을 꼭 확인하시고 조황작성 부탁드리며, 가장 기본적인
규칙이 지켜지지 않을 시 예고없이 글 삭제 및 이용정지 될 수 있음을 알려드립니다.