20일 금오열도 갯바위 감성돔 조황입니다

신상품 소개


회원 랭킹


공지사항


NaverBand
점주/선장 > 갯바위 + 방파제 조황

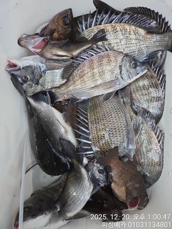
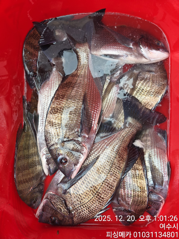
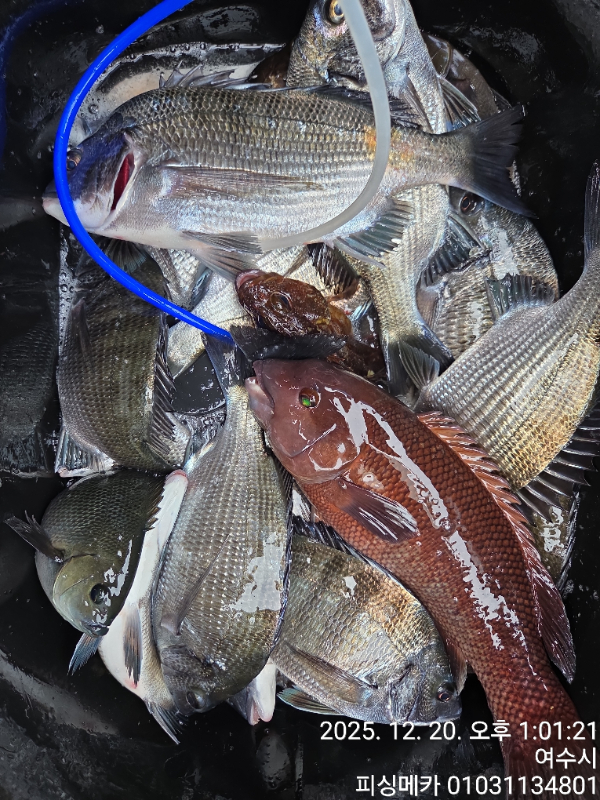
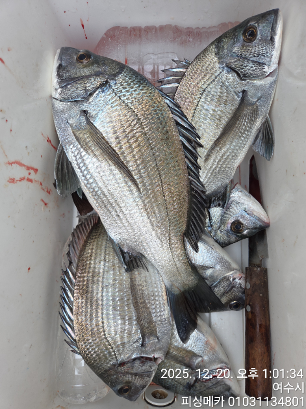
20일 금오열도 갯바위 감성돔 조황입니다

피싱메카호 0 173
● 출항지 : 여수,광양
f46860eed2e1556382866080bfb724a2.jpgc9202524c2798797ada575a0bebc760b.jpgd37e821f4dcac2216c677128c0ca503a.jpg3b4c61f0e14e29b246ec56dd612ecb9d.jpg94963aa590a0bbf9ad08af99020c1c80.jpg5e81283129b09e63474f92d977d9ca99.jpge50696be854caa35b6589f3f34039dcb.jpg
안녕하세요 피싱메카 도경준입니다 

20일 토요일 금오열도
갯바위 감성돔 조황입니다 

오늘은 날씨는 좋은데 남서 너울 때문에 
안도로 갯바위 낚시 즐기고왔습니다 
씨알들이 조금 아쉽네요...

내일은 예약 마감 입니다 
기상이 좋아지는대로
다시출조 공지 올리겠습니다 
오늘도 수고하셨습니다 





*** 여수 피싱메카 예약 안내 ***


예약문의 : 010-3113-4801

오시는길 : 전남 여수시 신월동 국동항 소경도대합실
홈페이지 : https://mecca.sunsang24.com/

모바일.gif

blank.png1


  • 페이스북으로 보내기
  • 트위터로 보내기
  • 구글플러스로 보내기
  • 카카오스토리로 보내기
  • 네이버밴드로 보내기
  • 네이버로 보내기
  • 텀블러로 보내기
  • 핀터레스트로 보내기
0 댓글
포토 제목
 
 

인낚 최신글


인낚 최신댓글


온라인 문의 안내


월~금 : 9:00 ~ 18:00
토/일/공휴일 휴무
점심시간 : 12:00 ~ 13:00