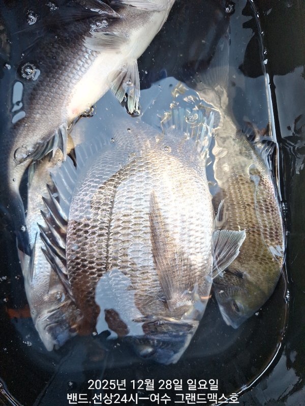
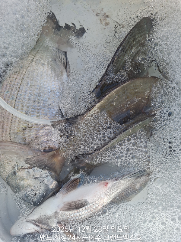
12월28일 씨알.마릿수 대박조황ㅡ1항조황

신상품 소개


회원 랭킹


공지사항


NaverBand
점주/선장 > 갯바위 + 방파제 조황

12월28일 씨알.마릿수 대박조황ㅡ1항조황

여수그랜드맥스호 0 122
● 출항지 : 여수,광양

#감성돔조황

#내일도~~~자리여유

순수 갯바위조황입니다.선상조황 한컷도 없는 ~~~

일요일 출조후 철수중입니다.1항으로 다녀옵니다.

12월28일 감성돔 대박 조황올립니다.

여러포인트서 마릿수 .씨알 대박조황이 나오네요.

오늘도 작은거 낱마리 1마리~~~패스.2마리~~패스 ~~ 

곳곳 여직 사이즈 잔얘들이 많이나오네요.~~패스패스 

날씨가 추워질수록 씨알급 감성돔들의 손맛이
더 좋아질것같습니다.
잡어 미끼 게 꼭 챙기세요.
모두 수고들하셨습니다.
======================================
대표전화(꼭 선장님폰으로) : 010.3608.2308
네비주소:여수시 돌산읍 성두길 43번지
출조하신 조사님들  전원 손맛보는 날까지 열심히해보겠습니다
잡어미끼 챙기세요
밴드와.선상24시 가입하시면 실시간 조황과 빠른 조황 확인가능합니다.
밴드 - http://band.us/@grandmax

선상24시 https://grandmax.sunsang24.com/

======================================
안도,금오도.연도 출조(종일낚시)
평일 3-4시 출조 -철수 ~~~
주말출조와 철수시간 ㅡ변동 있으니 문의 주십시오
======================================
올해는 더더 밑밥원가가 너무 인상되어 부득이
압맥을 감하였습니다.
밑밥5.감성천하2.압맥2..백.생 중1 ㅡ90.000원
예약시 밑밥필요하신분 주문만 받습니다.
​ㅡ가.감 가능
ㅡ배만 승선가능ㅡ환영
​대표전화(선장님) : 010-3608-2308
네비주소:여수시 돌산읍 성두길 43번지
======================================
***조사님들께서 부탁,양해의 말씀 올립니다***
매일 연도,안도,금오도 쪽으로 출조를 가지만 선장님이 생각하는 코스가 따로 있습니다.
예약을 하실때 혹시 가시고자 하는 자리가 꼭 있으신 분은 여쭤보시고 예약해주세요
그리고 당일 현장 기상이변으로 예약자리 못 내리실수 있으니 날이 좋지않아도 그자리만을 고집하시는분은 예약 자제해주십시요
======================================
출조시 안내사항
여수그랜드맥스호 010 3608 2308
1. 신분증 꼭 챙겨오세요.ㅡ필수입니다.
신분증 없을시 승선불가 대상입니다.
2. 배 승선시 선실 안.밖에서 마스크 착용부탁드립니다.
3. 구명 조끼 .신발.꼭 착용 부탁드립니다.
=====================================
●네비찍고오시다가 터널 지나면서 향일암방면 좌회전
하지 마시고화태,돌산읍 방면으로직진하심 길이 훨 편합니다.
●민가가 대부분이라 새벽시간 옆집의 소음 피해로
차문살짝.그리고 조용히 해주십시요
●네비찍고 오시면 마트.낚시점이 없으니 미리챙겨오세요
●요즘 돌산 평사길이나 돌산 들어오는길 속도위반,어린이보호구역 카메라가
몇개 설치되어 있으니 안전속도 지키시고 오세요
#감성돔조황
1000136744.jpg


1000136739.jpg


1000136753.jpg


1000136738.jpg


1000136749.jpg


1000136754.jpg


1000136742.jpg


1000136762.jpg


1000136745.jpg


1000136746.jpg


1000136755.jpg


1000136741.jpg


1000136750.jpg


1000136758.jpg






*** 여수 그랜드맥스호 예약안내 ***


예약문의
 

선상낚시 : 010-9475-2308

갯바위(선장님) : 010-3608-2308

오시는길
선상낚시 : 전남 여수시 어항단지로 18 (소경도대합실 앞)
갯바위 : 전남 여수시 돌산읍 성두길 43

홈페이지 : 

모바일.gif 



blank.png1


  • 페이스북으로 보내기
  • 트위터로 보내기
  • 구글플러스로 보내기
  • 카카오스토리로 보내기
  • 네이버밴드로 보내기
  • 네이버로 보내기
  • 텀블러로 보내기
  • 핀터레스트로 보내기
0 댓글
포토 제목
 
 

인낚 최신글


인낚 최신댓글


온라인 문의 안내


월~금 : 9:00 ~ 18:00
토/일/공휴일 휴무
점심시간 : 12:00 ~ 13:00