카드
전남 여수시 어항단지로 18 (소경도대합실 앞)
전남 여수시 어항단지로 18 (소경도대합실 앞)
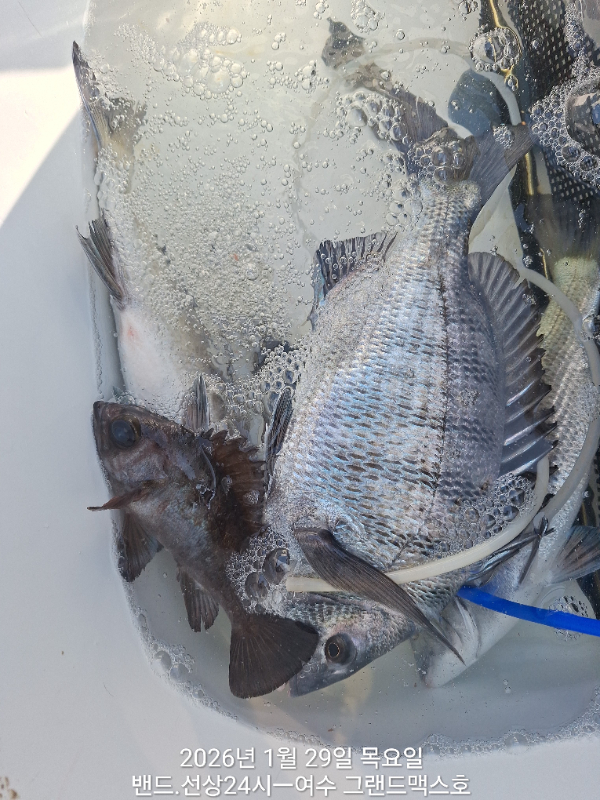
#감성돔조황
순수 갯바위조황입니다.선상조황 한컷도 없는~~~
10분출조에 5팀손맛 보셨네요.
오늘은 입질이 약아 걸려 쑥들어갈때 챔질해서 빠져나간 고기가 있었답니다.
모두 수고들하셨습니다.
잡어 미끼 꼭 챙기세요.
날씨가 추워질수록 씨알급 감성돔들의 손맛이
더 좋아질것같습니다.
======================================
대표전화(꼭 선장님폰으로) : 010.3608.2308
네비주소:여수시 돌산읍 성두길 43번지
밴드와.선상24시 가입하시면 실시간 조황과 빠른 조황 확인가능합니다.
밴드 - http://band.us/@grandmax
선상24시 https://grandmax.sunsang24.com/
======================================
안도,금오도.연도 출조
평일 3-4시 출조 -철수 2시부터~~~
주말출조와 철수시간 ㅡ변동 있으니 문의 주십시오
======================================
선비ㅡ6만원
예약시 밑밥 필요하신분
밑밥5.감성천하2.압맥2..백.생 중1 ㅡ90.000원
ㅡ가.감 가능
======================================
***조사님들께서 부탁,양해의 말씀 올립니다***
매일 연도,안도,금오도 쪽으로 출조를 가지만 선장님이 생각하는 코스가 따로 있습니다.
예약을 하실때 혹시 가시고자 하는 자리가 꼭 있으신 분은 여쭤보시고 예약해주세요
그리고 당일 현장 기상이변으로 예약자리 못 내리실수 있으니 날이 좋지않아도 그자리만을 고집하시는분은 예약 자제해주십시요
======================================
출조시 안내사항
여수그랜드맥스호
1. 신분증 꼭 챙겨오세요.ㅡ필수입니다.
신분증 없을시 승선불가 대상입니다.
2. 구명 조끼 .갯바위신발.꼭 착용 부탁드립니다.
=====================================
●네비찍고오시다가 터널 지나면서 향일암방면 좌회전
하지 마시고화태,돌산읍 방면으로직진하심 길이 훨 편합니다.
●민가가 대부분이라 새벽시간 옆집의 소음 피해로
차문살짝.그리고 조용히 해주십시요
●네비찍고 오시면 마트.낚시점이 없으니 미리챙겨오세요
●요즘 돌산 평사길이나 돌산 들어오는길 속도위반,어린이보호구역 카메라가
몇개 설치되어 있으니 안전속도 지키시고 오세요
#감성돔조황




*** 여수 그랜드맥스호 예약안내 ***
예약문의
선상낚시 : 010-9475-2308

|
|
|
|

